Miljø- og Fødevareudvalget 2019-20
MOF Alm.del
Offentligt
2147327_0001.png
MOF, Alm.del - 2019-20 - Endeligt svar på spørgsmål 397: Spm. om de gældende regulativer for Odense Å og Odense Fjord, til miljøministeren
2147327_0002.png
Regulativ
Ordforklaring
Bilag 1
I
2
1:2.000
1:4.000
1:10.000
1:100, 1:25.000
Oversigtskort
Bilag 2.01 - 2.02
Længdeprofil
4
MOF, Alm.del - 2019-20 - Endeligt svar på spørgsmål 397: Spm. om de gældende regulativer for Odense Å og Odense Fjord, til miljøministeren
2147327_0003.png
19
Regulativ for
-
-
Odense
Å
Amtsvandløb nr. 01.00
Fyns Amt
-
Regulativ for Odense
A,
marts 2004
MOF, Alm.del - 2019-20 - Endeligt svar på spørgsmål 397: Spm. om de gældende regulativer for Odense Å og Odense Fjord, til miljøministeren
2147327_0004.png
-
-
FORORD
Hedeselskabet har udarbejdet oplæg til det foreliggende
regulativ.
Hedeselskabet har foretaget opmåling af vandløbet i
1987 - 89 og foretaget hydrometriske undersøgelser til
fastlæggelse af vandløbets vandføringsevne . Hedeselska-
bet har i 1999-2000 opmålt vandløbet på strækningen st.
24 . 982 m - 53 . 991 m.
Regulativet er optaget til revision i 1999, jf . bestem-
melse i det hidtil gældende regulativ vedtaget af Tek-
nik- og Miljøudvalget den 20 . december 1990 . Revisionen
er sket på grundlag af dette regulativ og i henhold til
vandløbslovens bestemmelser .
Regulativ for Odense
Å,
marts 2004
MOF, Alm.del - 2019-20 - Endeligt svar på spørgsmål 397: Spm. om de gældende regulativer for Odense Å og Odense Fjord, til miljøministeren
2147327_0005.png
I
INDHOLDSFORTEGNELSE
-
1.
GRUNDLAGET FOR REGULATIVET . . . . . . . . . . . . . . . . . . . . . . . . . . . . . . . 1
1.1.
Lovgrundlag .. ........ . . . . . . . . . . . . . . . . . . . . . . . . . . . . . . . . . . . 1
1.2.
Klassifikation . . . . . . . . . . . . . . . . . . . . . . . . . . . . . . . . . . . . . . . . . . 1
1.3 .
Tidligere regulativer, landvæsensretskendelser m. m . . . . . . 1
1 .4.
EF-habi tatdirektiv ...... .... . . . . . . . . . . . . . . . . . . . . . . . . . . . . 4
1.5.
Recipientkval i tetsplanlægning . . . . . . . . . . . . . . . . . . . . . . . . . . . 4
2.
BETEGNELSE AF VANDLØBET . . . . . . . . . . . . . . . . . . . . . . . . . . . . . . . . . . 5
3.
VANDLØBETS AFMÆRKNING , SKIKKELSE OG VANDFØRINGSEVNE ...... 6
3 . 1.
Afmærkning og stationering ...... ... . . . . . . . . . . . . . . . . . . . . . 6
3 . 1.1.
GI-fikspunkter ..... . ... .. ...... . . . . . . . . . . . . . . . . . . . . . . . . 6
3.2.
Skikkelse og vandføringsevne . . . . . . . . . .. .. . . . . . . . . . . . . . . 10
4.
BYGVÆRKER ... . . . . . . . . . ...... . . . . . . . . . . . . . . . . . . . . . . . . . . . .. 11
4 . 1.
Broer og overkørsler . . . . . . . . . . . . . . . . . . . . . . . . . . . . . . . . . . . 11
4.3.
Stemmeværker og flodemål . . . . . . . . . . . . . . . . . . . . . . . . . . . . . . . 14
4.4.
Øvrige bygværker . . . . . . . . . . . . . . . . . . . . . . . . . . . . . . . . . . . . . . . 15
4.5.
Placering af synlige drænudløb . . . . . . . . . . . . . . . .... ...... 16
5.
ADMINISTRATIVE BESTEMMELSER . . . . . . . . . . . . . . . . . . . . . . . . . . . . . 17
6.
VEDLIGEHOLDELSESBESTEMMELSER . . . . . . . . . . . . . . . . . . . . . . . . . . . . 18
6 .1 .
Generelle bestemmelser . . . . . . . . . . . . . . . . . . . .. . . . . . . . . . . . . 18
6 . 1.1.
Grødeskæring . . . . . . . . . . . . . . . . . . . . . ... ..... . . . . . . . . . . . .. 18
6 . 1. 2 .
Oprensning . . . . . . . . . . .. . . . . . . . . . . . . . . . . . . . . . . . . . . . . . . . . 1 9
6 .1. 3 .
Bortskaffelse af grøde og oprenset materiale . . . . . . . . . . 21
6 . 1. 4 .
Andr e forho ld . . . . . . . . . . . . . . . . . . . . . . . . . . . . . . . . . . . . . . . . . 22
6.2.
Særlige bestemmelser . . . . . . . . . . . . . . . . . . . . . . . . . . . . . . . . . . . 23
6 . 2 . 1.
Strækningen St . 0 - 2 .4 67 . . . . . . . . . . . . . . . ....... ....... 23
6.2.2.
Strækningen St . 2 . 467 - 9 . 435 . . . . . . . . . . . . . . . . . . . . . . . . . 23
6.2.3 .
Strækningen St . 9 . 435 - 16 . 207 . . . . . . . . . . . . . . . . . . . . . . . . 25
6. 2 . 4 .
Strækningen St . 16 . 207 - 52 . 829 . . . . . . . . . .. ... . ........ 25
6 . 2 .5.
Strækningen St . 52 . 829 - 53 . 758 .... . . . . . . . . . . . . . . . . . . . 83
7.
BESTEMMELSER OM SEJLADS . . . ...... ..... . . . . . . . . . . . . . . . . . . . 84
8.
BREDEJERFORHOLD . . . . . . . . . . . . ... . . . . . . . . . . . . ...... ........ 8 5
9.
TILSYN . . . . . . . . . . . . . . . . . . . . . . . . . . . . . . . . . . . . . . . . . . . . . . . . . . 87
10 .
REVISION . . . . . . . . . . . .... . . . . . . . . . . . . . . . .... . . . . . . . . . . . . . . 87
11.
REGULATIVETS IKRAFTTRÆDEN . . . . . . . . . . . . . . . . . . . . . . . . . . . . . . . 87
Regulativ for Odense
Å,
marts 2004
MOF, Alm.del - 2019-20 - Endeligt svar på spørgsmål 397: Spm. om de gældende regulativer for Odense Å og Odense Fjord, til miljøministeren
2147327_0006.png
-
-
-
BILAGSFORTEGNELSE
1.0 .
1.1.
1.2.
1. 3 .
1 .4.
1 .5 .
1.6.
1.
7 .
1.
8 .
1.
9.
1.10.
1.11.
1.12 .
1 . 13.
1.14 .
2.0.1.
2. 0 . 2 .
2
.1.
2.2.
2.3.
2 . 4.
2.5 .
2 .6 .
2. 7.
2. 8.
2 . 9.
2.10.
2.11 .
2 . 12 .
2.13.
2.14.
2.15.
2.16.
2 .17 .
2 .1 8 .
2.19.
2 . 20 .
2. 21.
2 .2 2 .
2.23 .
2.24.
2 . 25 .
2.26.
2.27.
2.28.
2 . 29 .
Ordforklaring
Oversigtskort/matrikelkort
Oversigtskort/matrikelkort
Oversigtskort/matrikelkort
Oversigtskort/matrikelkort
Oversigtskort/matrikelkort
Oversigtskort/matrikelkort
Oversigtskort/matrikelkort
Oversigtskort/matrikelkort
Oversigtskort/matrikelkort
Oversigtskort/matrikelkort
Oversigtskort/matrikelkort
Oversigtskort/matrikelkort
Oversigtskort/matrikelkort
Oversigtskort/matrikelkort
Længdeprofil
Længdeprofil
Længdeprofil
Længdeprofil
Længdeprofil
Længdeprofil
Længdeprofil
Længdeprofil
Længdeprofil
Længdeprofil
Længdeprofil
Længdeprofil
Længdeprofil
Længdeprofil
Længdeprofil
Længdeprofil
Længdeprofil
Længdeprofil
Længdeprofil
Længdeprofil
Længdeprofil
Længdeprofil
Længdeprofil
Længdeprofil
Længdeprofil
Længdeprofil
Længdeprofil
Længdeprofil
Længdeprofil
Længdeprofil
Længdeprofil
1 : 100,
1 : 100,
1 : 50,
1 : 50,
1 : 50,
1:50,
1 : 50,
1 :5 0,
1 :5 0,
1 :5 0,
1 : 50,
1 : 50,
1 : 50,
1:50 ,
1 : 50 ,
1:50,
1:50,
1 : 50,
1 :50,
1 : 50,
1 :5 0,
1:50,
1:50,
1 : 50,
1 : 50,
1:50,
1:50,
1 : 50 ,
1:50,
1:50,
1 : 50,
1:10 . 000
1 : 2.000
1 : 2 . 000
1 : 2 . 000
1: 2 . 000
1: 2 . 000
1 : 2 . 000
1 : 4 . 000
1 : 10.000
1:10.000
1 : 10 . 000
1 : 10.000
1:10.000
1:10.000
St.
St.
St.
St .
St.
St .
St .
St .
St.
St.
St.
St .
St.
St.
0
7500
8900
10200
11500
12800
14200
15700
17800
24600
31600
38800
47200
42300
-
-
-
-
-
-
-
-
-
-
-
-
-
-
7500
8900
10200
11500
12800
14200
15700
17800
24600
31600
38800
47200
54000
46000
1 : 25 . 000
1 : 25 . 000
1 : 2 . 000,
1: 2 . 000,
1:2.000,
1 : 2 . 000,
1 : 2.000,
1 : 2 . 000,
1 :2. 000 ,
1 : 2 . 000,
1 : 2 . 000,
1 : 2 . 000,
1 : 2 . 000,
1 : 2 . 000,
1:2.000,
1: 2 . 000,
1 : 2 . 000,
1 : 2.000,
1 : 2 . 000,
1 : 2.000,
1 : 2.000 ,
1:2 . 000 ,
1:2.000,
1 : 2 . 000,
1:2 . 000,
1 : 2 .0 00 ,
1 : 2 . 000,
1: 2 . 000,
1 : 2 . 000 ,
1 : 2 . 000,
1 : 2 . 000 ,
St .
0-26000
St . 26000-54000
St .
0- 2000
St . 2000 - 4000
St . 4000- 6000
St . 6000- 8000
St. 8000-10000
St .1 0000-12000
St.12000-14000
St . 14000-16000
St.16000-18000
St . 18000 - 20000
St.20000-22000
St.22000-24000
St.24000-26000
St .2 6000-28000
St .2 8000-30000
St . 30000-32000
St . 32000 - 34000
St.34000-36000
St . 36000-38000
St . 38000-40000
St .4 0000-42000
St .4 2000-44000
St . 44000 - 46000
St . 46000-48000
St . 48000-50000
St . 50000-52000
St . 52000-54000
St . 42000-44000
St . 44000 - 46000
3.0.
3 .1 .
3.2.
4.0
5.0
6.0
7.0
Oplandskort , oversigt, 1 : 100 . 000
Oplandskort, nordlig del, 1 : 25 . 000
Oplandskort, sydlige del, 1:25.000
Generel beskrivelse af Odense
A
Tilløb, v a ndstandsskalaer, opland m.v .
Beplantning langs vandløbet
Redegørelse for regulativets grundlag og konsekvenser
Regulativ for Odense
A,
marts 2004
MOF, Alm.del - 2019-20 - Endeligt svar på spørgsmål 397: Spm. om de gældende regulativer for Odense Å og Odense Fjord, til miljøministeren
2147327_0007.png
- 1 -
-
1.
1.1.
GRUNDLAGET FOR REGULATIVET
Lovgrundlag
Regulativet for Odense Aer udarbejdet i henhold til
kapitel 5 i lov om vandløb jf. Miljøministeriets lov-
bekendtgørelse nr. 404 af 19. maj 1992 med senere æn-
dringer bekendtgjort i lov nr. 402 af 14. juni 1995 og
lov nr. 301 af 24. april 1996 samt kapitel 4 i Miljø-
ministeriets bekendtgørelse nr. 49 af 15. februar
1985.
1.2 .
Klassifikation
Vandløbet er optaget som amtsvandløb
i
Fyns Amt.
1.3.
Tidligere regulativer, landvæsensretskendelser m.m .
Regulativ for Odense A i Svendborg Amt vedtaget af
Svendborg Amtsråd den 12. november 1857 .
Tillæg til regulativ for Odense A i Svendborg Amt ved-
taget af Svendborg Amtsråd den 23. marts 1864.
Regulativ for Odense A på grænsen af og i Odense Amt
stadfæstet af Fyns Stiftamt den 30. april 1886.
Landvæsenskommissionskendelse af 7. maj 1913 vedrøren-
de omlægning af en åstrækning ved Dalum Papirfabrik.
-
-
Landvæsenskommissionskendelse af 26 . januar 1924 vedr.
en sænkning af vandstanden i Arreskov Sø .
Skrivelse af 5. august 1924 fra Hedeselskabet vedr .
anbringelse af flodemål ved Arreskov Mølle.
Naturfredningsnævnets kendelse af 11. februar 1925 om
fredning af Odense A med tilgrænsende arealer mellem
Dalum Papirfabrik og jernbanebroen ved Ejby Mølle.
Landvæsenskommissionskendelse af 12. november 1926 om
fastsættelse af flodemål ved Brobyværk Mølle.
Tilladelse af 29. august 1932 til motorbådssejlads på
Odense A mellem slusen ved Ny Vestergade og Sorgen-
fribroen i Fruens Bøge.
Odense amtsråds tiltrædelse den 29. august 1939 vedr.
optagelse af Odense A's udløb i Seden Strand som amts-
vandløb.
Regulativ for Odense A, marts 2004
MOF, Alm.del - 2019-20 - Endeligt svar på spørgsmål 397: Spm. om de gældende regulativer for Odense Å og Odense Fjord, til miljøministeren
2147327_0008.png
---7
- 2 -
-
Landvæsenskommissionskendelse af 25 . november 1946 om
forskellige sager vedrørende Odense A fra Dalum Papir-
fabrik til udløbet i Seden Strand .
Landvæsenskommissionskendelse af 18. maj 1942 om regu-
lering af Odense A m.v . ved Dalum Papirfabrik .
Skrivelse af 8 . juli 1 942 om flodemålsmærke i lande-
vejsbroen ved Dalum .
Tillæg ti l regulativet stadfæstet af Odense og Assens
amtsråd den 17 . og 18 . juni 1953 vedrørende søer og
mølledamme .
Regul a tiv godkendt af Fyns Stiftamt den 21 . november
1953 for strækningen fra Ulvebæk's tilløb til udløbet
i Seden Strand .
Regulativ godkendt af Svendborg amtsråd den 9 . juli
1954 for s t rækningen fra Arreskov Vandmølle til Broby-
værk Vandmølle .
Fyns Stiftamts tilladelse af 24 . august 1957 til mo -
torbådssejlads på Oden se A mellem Ny Vestergade og
Fruens Bøge .
Landvæsenskommissionskendelse af 2 . maj 1961 vedr . ud-
ledning af kølevand fra Fynsværket til Odense gamle
kanal .
Deklaration af 8 . januar 1962 om fredning af træbe-
voksning langs Odense Aud for matr . Nr . 32 Asum By,
Asum .
Afvandingskommiss i onskendelse af 15 . juni 1963 om åens
u ddybning og regulering fra ca . 2
km
nedstrøms Broby-
værk til Borreby .
Tillæg til regulativerne for amtsvandløbene i Svend-
borg og Odense amter af august og oktober 1963.
Odense kommunes brev af 23 . september 1965 om samle-
kloakkens passage under Odense A ved Fruens Bøge .
Fredningsnævnets kendelse af 19. november 1965 om
fredning af Odense A og tilstødende areal er mellem
Sønder Broby og Allerup .
Landvæsensnævnsforlig af 25 . januar 1966 om reduktion
af opstemningshøjden til kote 32,80 m ved Arreskov
-
-
Mølle .
Regulativ for Odense A, marts 2004
MOF, Alm.del - 2019-20 - Endeligt svar på spørgsmål 397: Spm. om de gældende regulativer for Odense Å og Odense Fjord, til miljøministeren
2147327_0009.png
-
3 -
-
Landvæsenskommissionskendelse af 9. februar 1966 vedr.
udledning af kølevand til Odense gamle kanal.
Amtsvandinspektørens godkendelse af 8. maj 1967 vedr.
Dalum Papirfabriks kloakledninger under Odense
A
i
St.
ca. 17.000 m og 17 . 140 m.
Amtsrådets vejudvalgs godkendelse den 22. april 1968
af overenskomst om passagersejlads på Odense
A
mellem
Ny Vestergade og Sorgenfri
i
Fruens Bøge.
Landvæsenskommissionskendelse af 12. januar 1976 vedr.
fisketrappe ved Ejby frisluse.
Landvæsenskommissionskendelse af 1. august 1978 vedr.
fisketrappe ved Dalum Papirfabriks sluse.
Overenskomst af 19. januar 1981 om motorbådssejlads på
Odense
A
mellem Ny Vestergade og Sorgenfribroen.
Landvæsenskommissionens godkendelse af 20. maj 1983 af
overenskomst om træplantning langs Odense
A
på matr.
Nr. 19~ Fangel By, Fangel.
Landvæsenskommissionskendelse af 15. juli 1987 vedr.
etablering af fiskepassager ved stemmeværket ved Ny
Vestergade .
Fyns Amtsråds godkendelse af 28 . september 1987 vedr.
ombygning af slusebroen og etablering af fiskepassage
ved Ny Vestergade .
-
-
-
Fyns Amtskommunes tilladelse af 16. marts 1988 til
sejlads med vandcykler på Odense
A
mellem Brobyværk
Kro og Brobygårds Alle .
Regulativ vedtaget af Fyns Amtsråd den 20. december
1990 .
Fyns Amtsråds tilladelse af 21 . december 1993 til
etablering af et fri fiske- og faunapassabelt sten-
stryg ved stemmeværket ved Stora Papyrus, Dalum.
Fyns Amtsråds tilladelse af 5 . juli 1999 til etable-
ring af fri fiske- og faunapassage
i
Odense
A
ved
stemmeværket
i
Brobyværk, samt til ændring af flode-
målsbestemmelserne ved samme stemmeværk.
Fyns Amtsråds tilladelse af 5. december 2002 til etab-
lering af vådområdeprojekt langs Odense
A
ved Tørringe
Bæk.
Regulativ for Odense
A,
marts 2004
MOF, Alm.del - 2019-20 - Endeligt svar på spørgsmål 397: Spm. om de gældende regulativer for Odense Å og Odense Fjord, til miljøministeren
2147327_0010.png
-
4 -
-
1. 4.
Miljøministeriets udpegning af habitatområderne nr. 94
Odense Fjord og Nr.
98
Odense A med Hågerup A, Sallin-
ge A og Lindved A i
1998
og Europakommissionens efter-
følgende godkendelse.
I
øvrigt henvises til Fyns Amts register over vand-
løbsretslige afgørelser, tilladelser m.v. vedr. om-
handlende vandløb.
EF-habi tatdirektiv
Direktivet giver medlemslandene en forpligtelse til at
beskytte vilde arter og deres levesteder inden for
grupperne planter, pattedyr , krybdyr, padder, fisk og
hvirvelløse dyr samt at bevare truede naturtyper.
Odense Aer i dag udpege t som EF-habitatområde fra be -
gyndelsen ved Arreskov sø og til Asumbroen nedstrøms
Odense by og igen på strækningen fra Kertemindevejen
og til Odense Fjord.
Administrationsgrundlaget fremgår af Bekendtgørelse om
afgrænsning og administration af internationale natur-
beskyttelsesområder(EF- fuglebeskyttelsesområder, EF-
habitatområder og Ramsarområder) ,bekendtgørelse nr.
477 af 07/06/2003.
I øvrigt henvises til appendiks 1 og 2
i
-
1.5.
bilag 7.
Recipientkvalitetsplanlægning
Recipientkvaliteten af Odense Aer målsat i recipient -
kvalitetsplanen, der er en del af Fyns Amts region-
plan. Regionplan 2001 - 2013 er vedtaget af Fyns Amts-
råd den 2 . juli 2001.
Recipientmålsætningerne for Odense A fremgår af afsnit
6.1.1. i øvrigt henvises til redegørelsen for regula-
tivets grundlag og konsekvenser i bilag 7.
-
Regulativ for Odense A, marts 2004
MOF, Alm.del - 2019-20 - Endeligt svar på spørgsmål 397: Spm. om de gældende regulativer for Odense Å og Odense Fjord, til miljøministeren
2147327_0011.png
-
5 -
-
2.
BETEGNELSE AF VANDLØBET
Nærværende regulativ omfatter strækningen af Odense
A
fra Arreskov Vandmølles bagsluse ca . 450 m ØSØ f or
Ar-
reskov Slot til udløbet i Seden Stran d ca. 500 m ØNØ
for Stige Kirke .
Vandløbet indgår
1
Odense
A
vandløbssystem .
Vandløbet begynder ved udløbet af Arreskov Vandmølles
bagsluse ved matr . nr . 1~ Ar reskov Hoved gård , Øster
Hæsinge og forløbe r ca . 18
km
mod nord og nordvest til
Nørre Broby og herfra ca . 36
km
i overvejende nordøst-
lig retning til udløbet i Seden Strand ved nordspidsen
af matr . nr . la, Seden By , Seden .
Regulativet omfatter i alt 53 . 991 m i Fåb org, Ringe,
Broby, Tommerup og Odense Kommuner .
Vandløbet er åbent, bortset fra broer og overkørsler .
Vandløbe ts endepu nkter har fø l gen de UTM-koordina ter og
bundkoter :
Øverste ende :
Nederste ende :
UTM 32 E 584 . 300 m N 6 . 113 . 990 m
Kote 30 , 2 m
UTM 32 E 590 . 230 m N. 6 . 144 . 725 m
Kote -0 , 83 m
Med hensyn ti l vand løb ets nær mere beliggenhed h envises
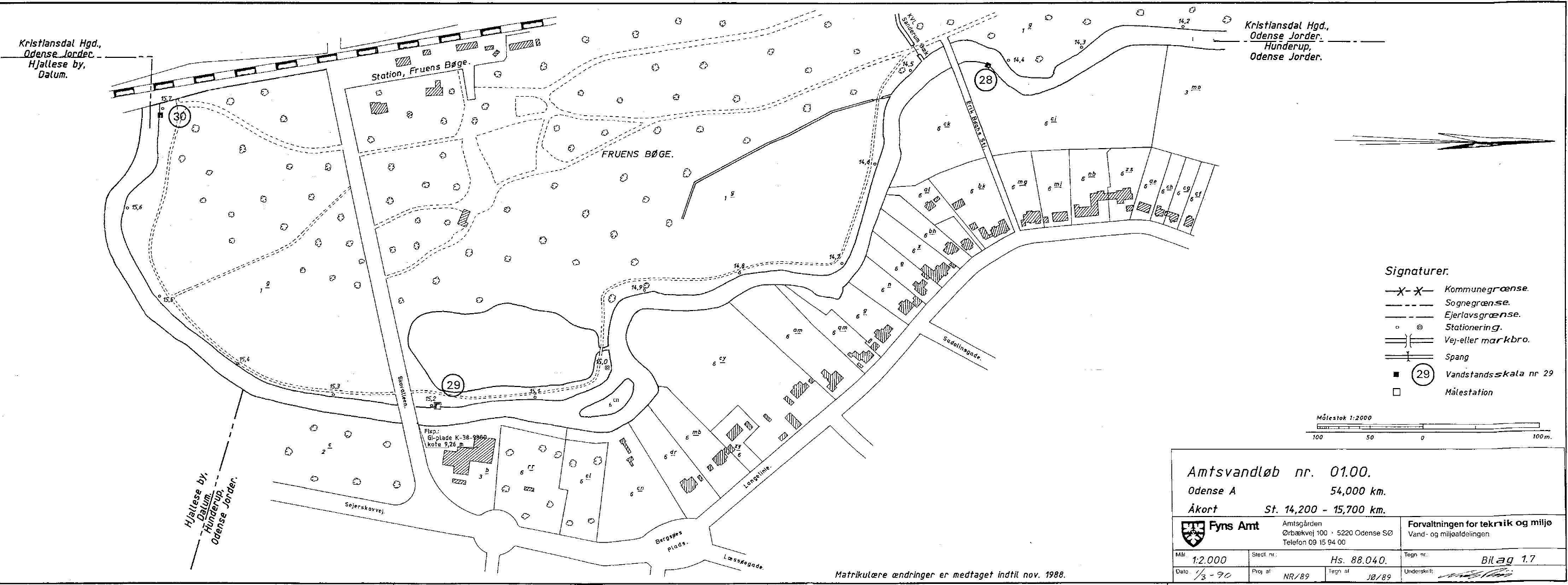
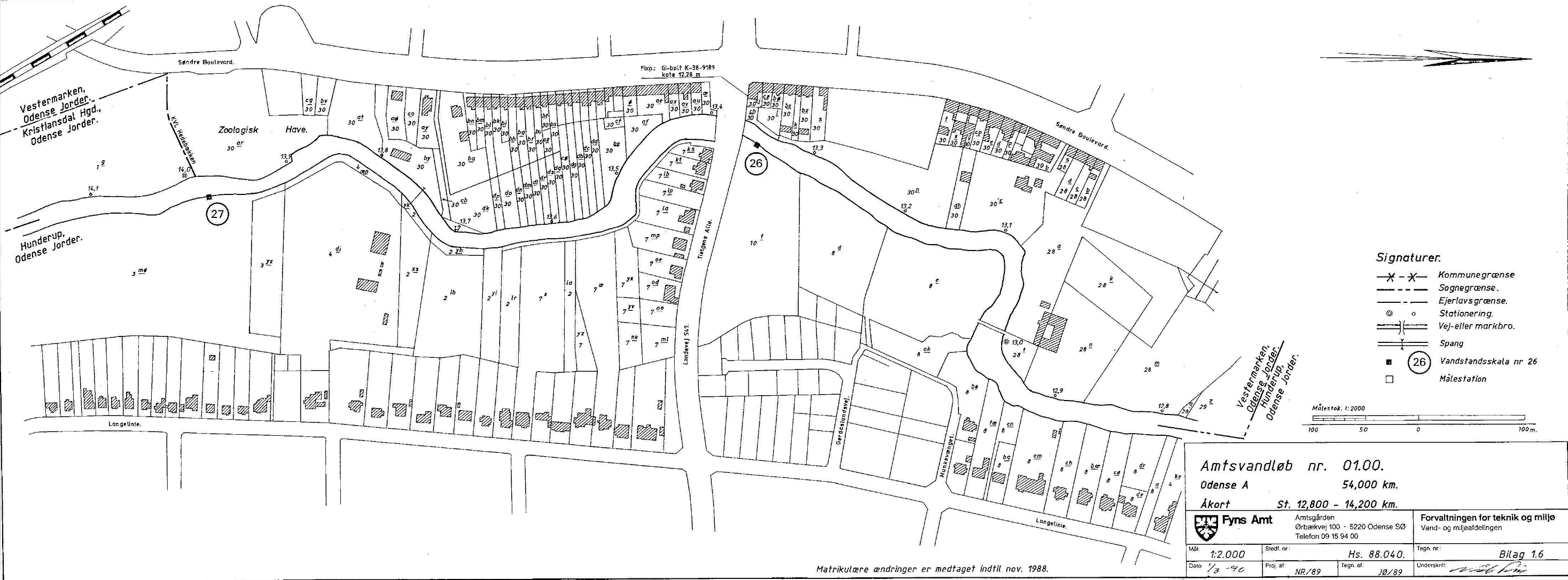
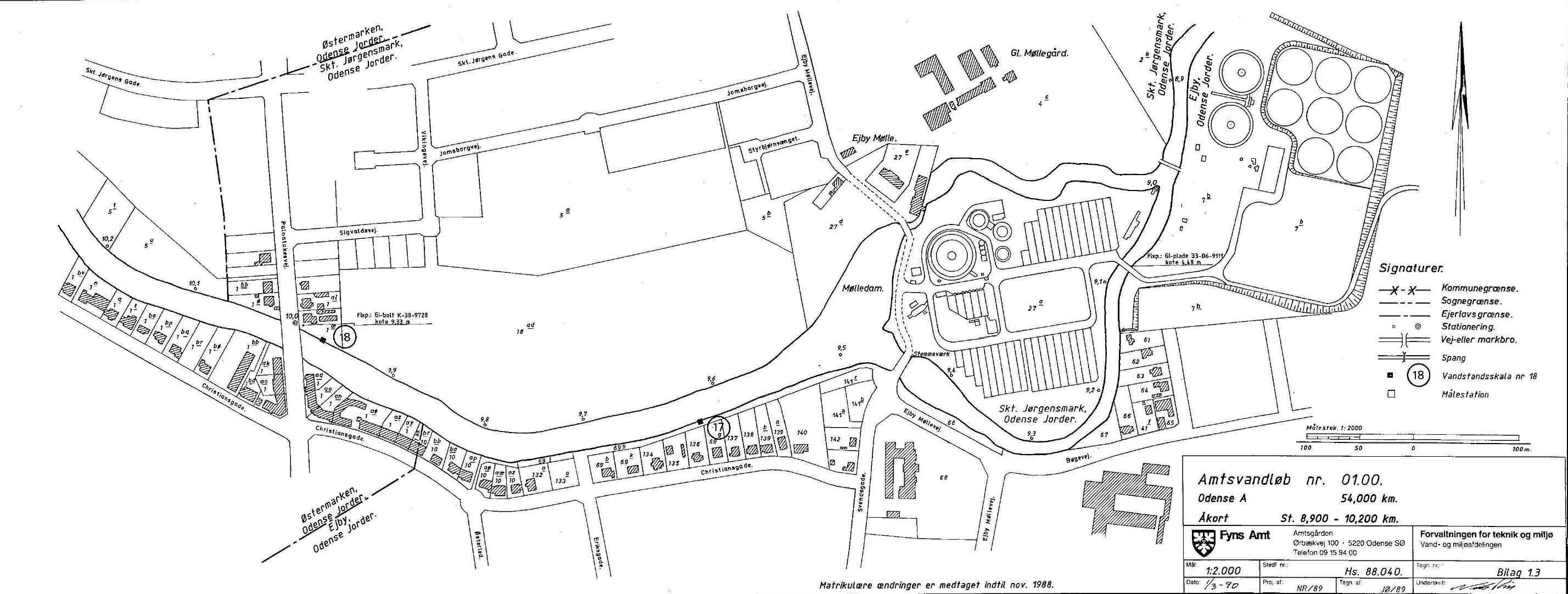
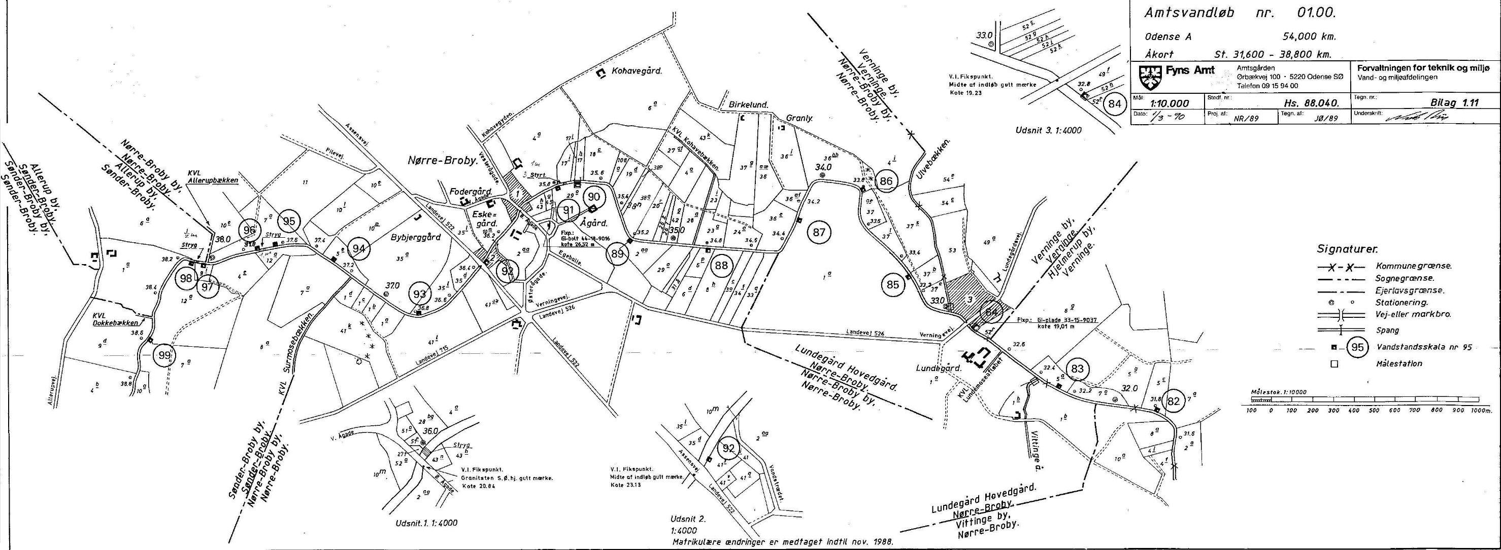
til vedl agte oversigtskort, Bilag 1 . 1 - 1 . 13 samt op -
landskort , Bilag 3 . 0 - 3 . 2, hvoraf vandløbets
UTM-koordinater og nedbørsområde fremgår .
Beliggenheden af d en genslyngende strækning , r egulativ
station 4 2 . 287 - 45 . 940 , fremgå r af vedlagte over-
sigtsk ort , Bilag 1 . 14 .
Regulativ for Odense
A,
marts 2004
MOF, Alm.del - 2019-20 - Endeligt svar på spørgsmål 397: Spm. om de gældende regulativer for Odense Å og Odense Fjord, til miljøministeren
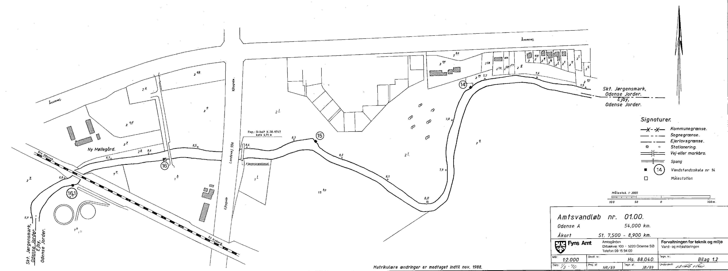
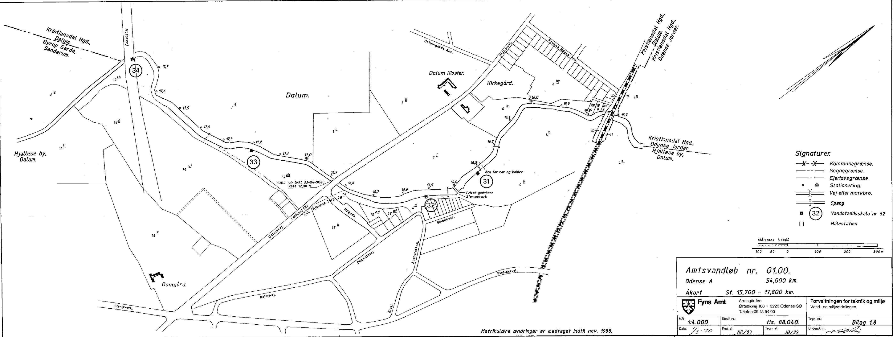
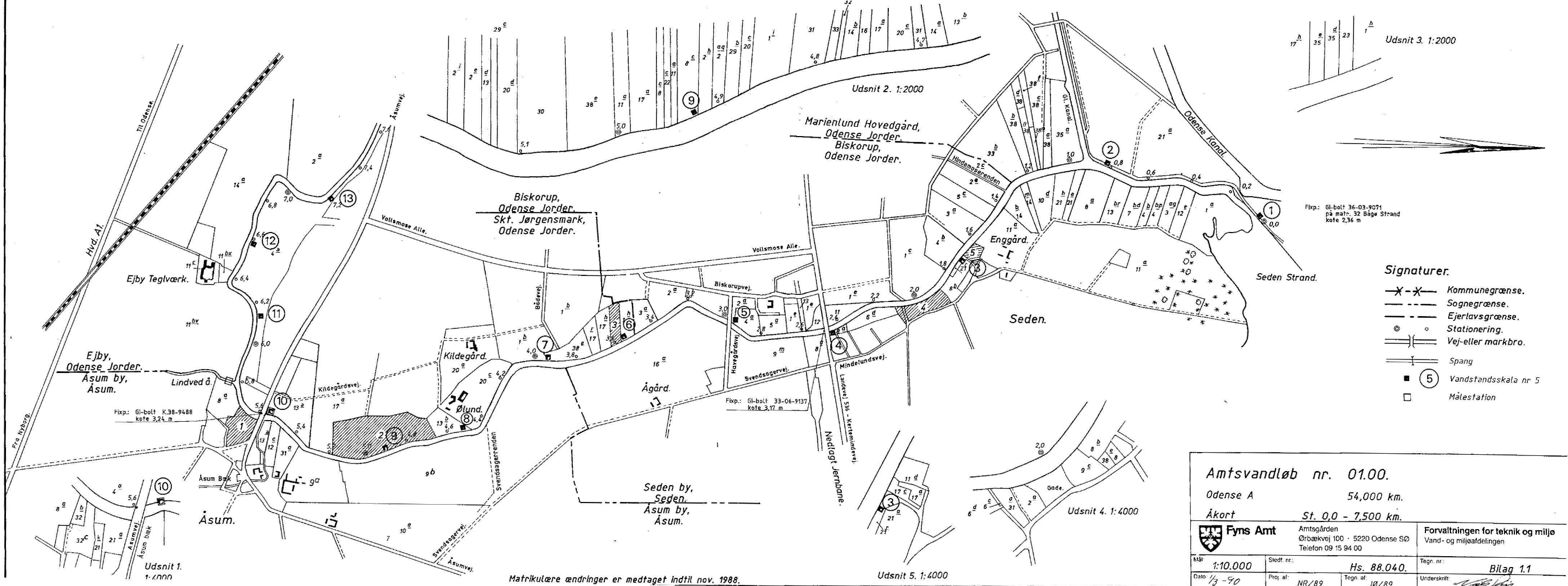
2147327_0012.png
-
6 -
-
3.
VANDLØBETS AFMÆRKNING, SKIKKELSE OG VANDFØRINGSEVNE
3 . 1.
Afmærkning og stationering
Vandløbet er stationeret fra den nederste ende ved ud-
løbet i Seden Strand til den øverste ende ved Arreskov
Vandmølles bagsluse.
Stationeringen svarer til afstanden
ste ende.
i
meter fra neder-
I 2003 er der gennemført et vådområdeprojekt langs
Odense A fra et punkt ca. 435 m nedstrøms for tilløbet
af Sandbolt Møllebæk og videre nedstrøms til tilløbet
af Tørringe Bæk, st. 42 . 287 - 45 . 940 . Odense Aer på
denne strækning blevet genslynget, hvilket har forlæn-
get vandløbet med ca. 1172 m.
I
regulativet er statio-
neringen opstrøms og nedstrøms for den genslyngede
strækning bibeholdt.
Langs vandløbet er som afmærkning anbragt 133 skalapæ-
le.
Skalapælene er overvejende placeret l angs vandløbets
venstre side set i strømretningen.
Skalapælenes stationering og 0-punktskoter fremgår af
den tabellariske oversigt over tilløb, vandstandsska-
laer, opland m. v ., Bilag 5 .
Skalapælenes p lacering er desuden vist på oversigts-
kortene, Bilag 1 .1. - 1.14 .
3 . 1.1.
GI-fikspunkter
De i regulativet med tilhørende bilag anvendte koter
er tilknyttet Dansk Normal Nul ved følgende GI-fiks-
punkter:
36-03 - 9071 - kote 2,46 m
-
Bolt i S gavl af hus på
matr.nr. 32 Bågø Strand,
Østre Kanalvej 6.
Bolt i S vange på bro for
Kertemindevej over Odense
33 -06-9 137 - kote 3,17 m
-
A.
-
K-38-9488
- kote 3,24 m
-
Bolt i SV hjørne af bro
for Asumvej over Odense A.
Regulativ for Odense A, marts 2004
MOF, Alm.del - 2019-20 - Endeligt svar på spørgsmål 397: Spm. om de gældende regulativer for Odense Å og Odense Fjord, til miljøministeren
2147327_0013.png
-
-
-
7 -
K-38-9747
- kote 6,71 m
-
Bolt N-ende af brovange i
Ø-side af bro for Ejbygade
over Odense
Å .
Plade i NØ fløjmur ved bro
over Odense
Å
mellem matr.
nr. 27~ Skt. Jørgensmark
og 7~ Ejby (Ejby Mølle
Kloakværk) .
Bolt i NV-ende af mur
langs trappe til sti ved
Odense
Å
i Ø-side af Pal-
natokesvej.
Bolt NØ støttemur til bro
for Albanigade over Odense
Å.
33-06-9111 - kote 4,48 m
-
K-38-9728
- kote 9,33 m
-
K-38-9715 -
kote
9, 07 m -
K-38-9422 -
kote
6,55 m - Plade i vestside af bro
for Klaregade over Odense
Å.
K-38-9189 -
kote 12,28 m - Bolt i sydlige facade af
hjørneejendom på matr . nr.
30ci,Vestermarken, Ansgar.
kote
9,26 m - Plade i NV frontmur på bro
for Skovalleen over Odense
Å.
K-38-9380 -
33-04-9060 - kote 12,08 m - Bolt i SV- side af bro for
Dalumvej over Odense
Å.
33-04-9106 - kote 20,35 m - Bolt i NØ-side af SV bro-
søjle forDyrup sti over
motorvejen, km 162,5 .
33-11-9017 - kote 28,09 m - Bolt i NØ facade af Skt.
Klemens Fjernvarmecentral,
Møllevej 22, matr.nr.
2cl, Stenløse.
33-01-9032 - kote 22,86 m - Bolt i Ø facade af servi-
cestation, Brogårdsvej 35
matr. Nr . 5bf og 5bg Bel-
linge.
33-01-9012 - kote 15,81 m -
-
Bolt i vestside af Borre-
by Mølles udbygninger.
Regulativ for Odense
Å ,
marts 2004
MOF, Alm.del - 2019-20 - Endeligt svar på spørgsmål 397: Spm. om de gældende regulativer for Odense Å og Odense Fjord, til miljøministeren
2147327_0014.png
-
8 -
33-05-9011 - kote 28 , 03 m - Bolt i N gavl af stuehus
til ftSkovlygård•, matr.
nr. 17~, Fangel.
33-15-9037 - kote 19,01 m - Plade i NØ vange af bro
for Lundegårdsvej over
Odense
A.
44-18-9016 - kote 26,52 m - Bolt is-side af skibet
til Nr. Broby Kirke .
44-21-9028 - kote 24,67 m - Bolt i nordside af bro for
Landevej 715 over Odense
A
i Sønder Broby.
-
44-12-815 - kote 26,70 m
- Universalkalot i skeldige
ca. 30 m syd for Landevej
602, Assensvej, ca . 1 .7 00
m V for Gelskov og ca. 150
m ØSØ for skovfogedbolig .
- Universalkalot i skeldige
4,7 m NV for Hovedlandevej
213 og ca. 230 m SV for
Hillerslev Bro over Odense
44-19-807 - kote 34,59 m
A.
44-28-9015 - kote 35,90 m - Bolt på SV-side af bro
for Arreskovvej over Oden-
se
A.
Disse fikspunkter er angivet på oversigtskortene, Bilag
1 . 1 - 1 . 13 .
3.1.2.
Andre fikspunkter
Endvidere er der indnivelleret følgende faste punkter
langs vandløbet ved opmålingen i 1987 -89, og nye fiks-
punkter i form af indstøbte stålbolte i følgende broer
og punkter i 2000 :
Regulativ for Odense
A,
marts 2004
MOF, Alm.del - 2019-20 - Endeligt svar på spørgsmål 397: Spm. om de gældende regulativer for Odense Å og Odense Fjord, til miljøministeren
2147327_0015.png
-
-
-
9 -
Station
[ml
Lokalitet
Placering
Bolt nr .
Kote
[m DNN]
2393
2493
2816
3983
4095
5582
7172
8256
8417
9445
9993
11016
11874
11883
12682
13368
15227
16202
16320
16882
17359
17803
19597
20145
22160
25420
25851
27788
28601
32837
36023
37719
39809
40268
43280
45900
47883
50102
50103
Frontmur over 50 cm
rørudløb fra højre
Bro , Kertemindevej
NØ-hjørne
Frontmur over 80 cm
rørudløb fra højre
Frontmur over 50 cm
Rørudløb fra højre
Frontmur over 35 cm
Rørudløb fra venstre
Bro, Asumvej
NØ- hjørne
Frontmur over 40 cm
Rørudløb fra venstre
Frontmur over 40 cm
Rørudløb fra venstre
Bro, Ejbygade
SØ-hjørne
NV-hjørne af bro for
Ejby Møllevej
Bro, Palnatok esvej
NØ-hjørne
Bro, Albanigade
SØ-hjørne
Bro , Allegade
SØ-hjørne
Øverste flodemålsmærke
i SV- fløjmur ved sluse-
broen ved Ny Vestergade
Frontmur over 70 cm
rørudløb fra venstre
Bro , Tietgens Alle
NØ-hjørne
Bro , Skovalleen
SV-hjørne
Jernbanebro
NV-hjørne
Bygning
NV- hjørne
Bro, Dalumvej
NV-hjørne
SV- hjørne af bro for
sti over Odense A
Bro , Motorvej
NV-hjørne
Gang- og cykelbro
SØ- hjørne
Overkant 60 cm rør-
udløb fra venstre
Bro, Brogårdsvej
NV-hjørne
Overkant 25 cm rør-
udløb fra venstre
Bro, Borrebyvej
SØ-hjørne
Egepæl, venstre side
Ved skalapæl 74
Frontmur over 60 cm
rørudløb fra højre
Bro, Lundegårdsvej
NØ-hjørne
Bro , Vester Ågade
SØ- hjørne
Egepæl, venstre side
Ved skalapæl 96
Frontmur over 40 cm
rørudløb fra venstre
Bro, Marsk-Billesvej
NV- hjørne
Egepæl , venstre side
Ved skalapæl 109
Transformator
SØ- hjørne
Bro, Hovedlandevej 213 NV-hjørne
Egepæl, højre side
Ved gangbro
Top af cementpæl ved
NV-hjørne af gangbro
102
0 . 70
3 . 00
1. 49
1.00
103
1.17
3 . 52
2 . 12
104
105
106
107
1. 86
5 . 95
5 . 98
6 . 74
7 . 44
7 . 43
6 . 67
108
109
110
111
112
113
114
115
116
117
118
119
120
121
122
123
124
125
6 . 88
10 . 82
8.02
10 . 74
11 . 40
12 . 08
12 . 65
20 . 75
11. 01
10 . 53
14 . 83
12 . 91
14 . 54
15 . 06
14 . 29
19 . 00
20 . 84
20 . 39
20 . 71
24 . 78
25 . 33
26 . 84
30 . 19
29 . 54
29 . 13
Regulativ for Odens e
A,
ma rts 2004
MOF, Alm.del - 2019-20 - Endeligt svar på spørgsmål 397: Spm. om de gældende regulativer for Odense Å og Odense Fjord, til miljøministeren
2147327_0016.png
- 10 -
-
3.2.
Station
(ml
Lokalitet
Pla c ering
Bolt nr.
Kote
[m DNN)
5284 0
52884
Top af cementp æl i
hø j re side , ca . 1 1 m
ops t røms Silke Å ' s
udløb.
Gl.
stemmeværk
S -frontrnur
126
3 0. 71
30.9 0
Skikkelse og vandføringsevne
Vandløbets skikkelse er registreret ved Hedeselskabets op-
måling i 1987 - 89 og 1999 - 2000 . Længdeprofiler fremgår af
Bilag 2 . 0 . og 2 . 1 . - 2.27 .
Dimensionerne på den genslyngende strækning, regulativ
station 42 . 2 87 - 45.940, er udarbejdet i forbindelse med
et vådområdeprojekt i 2003. Længdeprofiler fremgår af Bi -
lag 2.28.-2 . 29 .
Tværprofiler foreligger hos vandl øbsmyndigheden .
I
1989 og 2000 blev vandløbets vandføringsevne bestemt på
grundlag af de udførte opmålinger, observationer af vand-
stand og vandføring ned gennem vandløbet samt beregninger
med Hedeselskabets stationære strømningsmodel VASPBER.
vandføringsevnen blev bestemt for 59 stationer ned gennem
vandløbet. Vandføringsevnen i 1988 og 2000 er beskrevet i
Bilag 7.
-
I 2000 var vandstanden påvirket af træer, der var væltet
ud i vandl øbet ved stormen i december 1999 . Der er derfor
udført nye målinger i 2002. Vandføringsevnen er ikke vur-
deret for målingerne i 2002 .
Regul ativ for Odense
A,
marts 2004
MOF, Alm.del - 2019-20 - Endeligt svar på spørgsmål 397: Spm. om de gældende regulativer for Odense Å og Odense Fjord, til miljøministeren
2147327_0017.png
-
-
- 11 -
4.
4.1.
BYGVÆRKER
Broer og overkørsler
Over vandløbet fører følgende broer og overkørs ler :
Station
[ml
2467
Beskrivelse
Dimensioner for
vandslug
(ml
8,10
+
10,50
8 , 25
4
X
5,00
+
2
X
3,80
3
X
7,60
23,00
24,00
17 ,80
4,05
+
3,55
+
3,65
+
3 , 75
15,60
9,65
+
9,00
23,00
Ejerforhold
Bemærkninger
-
2493
2970
5592
8451
8560
8776
8979
9081
9445
10009
Betonbro
Betonbro
Betonbro
Betonbro
Betonbro
Betonbro
Betonbro
Betonbro
Betonbro
Betonbro
Fodspang
2966 -
5582
-
8417
Landevej
536,
Kertemindevej
Odense Kommune Havegårdsvej
Odense Kommune Asumvej
Fyns Amt
Odense Kommune
DSB
Odense Kommune
Odense Kommune
Odense Kommune
Landevej
556,
Ejbygade
Vej til civil -
forsvaret
Odense- Nyborg
jernbane
Vej for Ejby
kloakværk
Vej for Ejby
Kloakværk
Ejby Møllevej
Fyns Amt
-
8554
-
8765
-
8976
9076
-
-
-
9435
-
9993
Odense Kommune Palnatokesvej
Odense Kommune Off . gangbro
Odense Kommune Frederiksbroen
Odense Kommune Albanigade
Odense Kommune Off . gangbro
Odense Kommune Off . gangbro
10415 - 10417
10715
-
10725
11016
-
11040
11149
-
11152
11400
11522
Jern- / betonbro
13, 80
Betonbro
Fodspang
Fodspang
Betonbro
Betonbro
Betonbro
Betonbro
Betonbro
Betonbro
Fodspang
15,40
3
X
12,00
+
14 ,20
+
11, 30
-
-
11402
11536
Odense Kommune Klaregade
Odense Kommune Slusebro,
V .
Ny
Vestergade
Odense Kommune Kastanievej
Odense Kommune Off . sti
Odense Kommune Off. Sti
Landevej
547,
Tietgens Alle
Odense Kommune Gangbro til Ti-
voli
Odense Kommune Erik Bøghs Sti
Odense Kommune Skovalleen
Fyns Amt
11874 - 11883
12390 - 12401
12784
5,00
-
12789
4,00
+
9,20
+
4,00
18,20
15,70
3,00
+
12 , 00
+
3,00
1,710
8,40
+
8,40
13008 - 13011
13368 - 13394
13750
14451
-
14455
Betonbro
Betonbro
15216 - 15227
-
Regulativ for Odense
Å,
marts 2004
MOF, Alm.del - 2019-20 - Endeligt svar på spørgsmål 397: Spm. om de gældende regulativer for Odense Å og Odense Fjord, til miljøministeren
2147327_0018.png
- 12 -
-
-
-
-
Station
[ml
15704
Beskrivelse
Dimensioner for
vandslug
(ml
Ejerforhold
Bemærkninger
-
-
15709
Granitstensbro 15,30
Granitstensbro 15,70
Betonbro
Fodspang
Betonbro
7 ,80
+
7,80
DSB
DSB
Dalum Papir-
fabrik
Dalum Papir-
fabrik
Dalum Papir-
fabrik
Dalum Papri-
fabrik
Dalum Papir-
fabrik
Fyns Amt
15719
-
15724
16202
16289
16298
16404
16433
16862
17357
16207
Odense- Svend-
borg jernbane
Godsbane
Godsbane
Privat gangbro
Rør- og
kabelbro
Godsbane
Privat markbro
-
-
-
16408
Betonbro
Fodspang
15 ,00
16882
17359
Betonbro
Betonbro
Betonbro
Betonbro
Træbro
Fodspang
Fodspang
Betonbro
Betonbro
Betonbro
Fodspang
Betonbro
Fodspang
8,50
+
8,30
25,00
Landevej 525,
Dalumvej
Odense Kommune Off. sti
Hovedlandevej
40 , Motorvejen
vest
Vejdirektora- Hovedlandevej
tet
40 , Motorvejen
øst
Odense Kommune Off. sti
Odense Kommune Off. sti
Fyns Amt
Off. sti
Vejdirektora-
tet
17790 - 17803
17814
-
17828
19597
20597
22150
22160 - 22168
25851 - 25858
32837 - 32849
35688
36011
-
36023
36251
-
19600
1 , 50
+
12,70
+
1,50
8,80
+
8,80
7,50
+
7 , 50
13, 80
9,80
Bellinge Bro,
Brogårdsvej
Odense og Tom- Borrebyvej
merup kommuner
Fyns Amt
Landevej 526,
Lundgårdsvej
17!!_, 290
Privat gangbro
Nr. Broby
Broby Kommune Vesterågade
Nr. Broby
Privat gangsti
Borgerforening Vandstrædet
Fyns Amt
Regulativ for Odense
Å ,
marts 2004
MOF, Alm.del - 2019-20 - Endeligt svar på spørgsmål 397: Spm. om de gældende regulativer for Odense Å og Odense Fjord, til miljøministeren
2147327_0019.png
- 13 -
-
-
Station
[ml
Beskrivelse
Dimensioner for
vandslug
[ml
17,30
8,50
+
8,50
Ejerforhold
Bemærkninger
36354 - 36364
40268 - 40280
47873 - 47877
47883 - 47895
50102
53242
Betonbro
Betonbro
Stålbro
Betonbro
Fodspang
Fodspang
Fyns Amt
Fyns Amt
5~ Lyndelse,
Sandholt-
Lyndelse
Fyns Amt
27 Ø.Hæsinge
5_g: Hørup
1~, 1_!! Arre-
skov Hvgd .
Landevej 522,
Assensvej
Landevej 602,
Marsk Billesvej
Markvejsbro
Hovedlandevej
213, Odensevej,
Hillerslev Bro
Privat gangbro
Privat gangbro
10,30
Broer, overkørsler eller lignende må ikke anlægges el-
ler ændres uden vandløbsmyndighedens godkendelse , jf .
vandløbslovens§ 47 .
-
-
Regulativ for Odense
A,
marts 2004
MOF, Alm.del - 2019-20 - Endeligt svar på spørgsmål 397: Spm. om de gældende regulativer for Odense Å og Odense Fjord, til miljøministeren
2147327_0020.png
- 14 -
-
-
-
-
4.2.
4.3.
Stemmeværker o g flodemål
Ved vandløbet findes følgende stemmeværker:
Stati- Beskri-
on
velse
(ml
9435
Flademål
Ejerforhold Dato for
kendelser/
godkend-
elser
Odense
13 .
april
Kommune
1993
15 . maj
1854,
16. okt .
1860,
15 . aug .
1862,
9. sept .
1868,
28. sept .
1987
Dalum
29. april
Papirfabrik 1876,
18. maj
1942,
21. dec.
1993
Brobyværk
5. juli
vandmølle
1999
Bemærkninger
[m DNN]
Mekaniske 4,18
-
4,58
stigborde
Ejby Mølles sluse.
Vandkraften udnyt-
tes ikke
Slusen v. Ny Ve-
stergade . Vand-
kraften udnyttes
ikke
11874
Mekaniske 6,51 i tiden
Odense
stigborde 22 .- 30 . juni
Kommune
og 1. - 8 . sept.
Resten af året
6,67
16408
Manuelle
9,70
-
10,12
stigborde
Turbinedrift til
elproduktion
40283
Manuelle
stigbord
53758
Flademål
gældende for
hele året :
Maksimumsflode-
mål : 23,06
Minimumsflode-
mål : 22,70
Manuelle
32,80
Arreskov
stigborde
Vandmølle
26. jan .
1924,
5. aug .
1924,
25. jan.
1966
Flodemålsmærket af-
sat i kote 33,064 m
jf. skrivelse af 5 .
aug. 1924 . Ved
landvæsensnævnsfor-
lig af 25 . jan.
1966 er opstem-
ningshøjden reduce-
ret til kote 32,80
m.
Opstemningsanlæg eller andre anlæg, der kan hindre
vandets frie løb eller i øvrigt være til skade for
vandløbet, må ikke anlægges eller ændres, herunder
driftsmæssigt, uden vandløbsmyndighedens godkendelse,
jf . vandløbslovens§ 48. Det bemærkes således, at ud-
nyttelse af et opstemningsanlæg til andet formål,
f.eks . overgang til udnyttelse af vandkraften til
energiproduktion kræver vandløbsmyndighedens godken-
delse.
Regulativ for Odense
Å,
marts 2004
MOF, Alm.del - 2019-20 - Endeligt svar på spørgsmål 397: Spm. om de gældende regulativer for Odense Å og Odense Fjord, til miljøministeren
2147327_0021.png
- 15 -
4.4.
Øvri ge bygværker
Ved vandløbet findes foruden de under 4 . 1 . og 4.2 .
nævnte bygværker følgende stryg m. v. :
Station
(ml
8567
9331 - 9600
11670 - 11810
11874
Beskrivelse
Ejerforhold
Bemærkninger
Hydrometrisk
målestation
Stenstryg
Stenstryg
Fiskepas af
beton (bassin-
type)
DMU,
Fagdatacen-
ter for Hydrometri
Fyns Amt
Fyns Amt
Odense Kommune
Godkendt 13 / 4 1993
Godkendt 20 / 9 1993
LVK- kendelse af 15/7 1987
og Fyns Amts godkendelse
af 28 / 9 1987
16200 - 16555
22350
26000 - 26400
35793
35741
35757
35770
35783
37663 - 37705
38054 - 38101
40200 - 40420
52869 - 52884
53531
53722 - 53727
Stenstryg
Hydrometrisk
målestation
Sandfang
Hydrometrisk
målestation
Betonstyrt
Betonstyrt
Betonstyrt
Betonstyrt
Betonstryg med
styrt
Betonstryg
Fyns Amt
Fyns Amt
Godkendt 21/12 1993
Udgør en del af vandløbet
DMU,
Fagdatacen-
ter for Hydrometri
Udgør en del af vandløbet
Udgør en del af vandløbet
Udgør en del af vandl øbet
Udgør en del af vandløbet
Udgør en del af vandløbet
Udgør en del af vandløbet
Udgør en del af vandløbet
Udgør en del af vandløbet
Stenstryg ved Brobyværk
Stenstryg
Hydrometrisk
målestation
Stenstryg
Fyns Amt
Udgør en del af vandløbet
-
Regulativ for Odense
Å,
marts 2004
MOF, Alm.del - 2019-20 - Endeligt svar på spørgsmål 397: Spm. om de gældende regulativer for Odense Å og Odense Fjord, til miljøministeren
2147327_0022.png
-
-
-
-
- 16 -
4.5.
Placering af synlige drænudløb
Placering af de ved opmålingen registrerede drænudløb
fremgår af tabellariske oversigt over tilløb, vand-
standsskalaer, opland m. v . , Bilag 5.
Vedrørende placering af nye drænudløb, se endvidere
afsnit om bredejerforhold, Pkt. 8 . 6 og 8.11 .
Regulativ for Odense
A,
marts 2004
MOF, Alm.del - 2019-20 - Endeligt svar på spørgsmål 397: Spm. om de gældende regulativer for Odense Å og Odense Fjord, til miljøministeren
2147327_0023.png
-
-
- 17 -
s.
ADMINISTRATIVE BESTEMMELSER
Vandløbet administreres af Fyns Amt, der er vandløbs-
myndighed.
5
. 1.
Vandløbets vedligeholdelse påhviler Fyns Amt . Vedlige-
holdelsen udføres i det omfang og til de tidsterminer,
der er fastlagt i afsnit 6 .
Vandløbet med bygværker skal vedligeholdes som fastsat
i regulativets afsnit 6 om vedligeholdelse . Vandfø-
ringsevnen skal bibeholdes samtidig med, at de miljø-
mæssige krav til vandløbets fysiske tilstand sikres.
Bygværker, såsom styrt, stryg og skråningssikringer
m. v ., der er udført af hensyn til vandløbet, vedlige-
holdes som dele af vandløbet .
Vedligeholdelsen af øvrige bygværker - broer, stemme-
værker, private diger, overkørsler, stensætninger,
støttemure og vandingsanlæg m.v. - påhviler de respek-
tive ejere eller brugere . Ejerne eller brugerne har
pligt til at optage slam, grene og grøde m.v . , der
samler sig i og ved bygværker, jf. vandløbslovens§
27, stk . 4.
5. 2.
5.3 .
5 . 4.
Beplantningen langs vandløbet skal bevares af hensyn
til dens grødebegrænsende virkning ved skyggegivning.
Bestemmelsen omfatter beplantning på 2,0 m brede ban-
ketter langs vandløbets øverste kant, jf . Bredejerfor-
hold, Afsnit 8 . 1 .
Eventuel vedligeholdelse af beplantningen kan foreta-
ges af amtet, jf . Afsnit 6.1.4.
-
5. 5.
Amtet kan i relevant omfang foretage beplantning langs
vandløbet samt foretage miljøforbedrende foranstalt-
ninger.
Regulativ for Odense
A,
marts 2004
MOF, Alm.del - 2019-20 - Endeligt svar på spørgsmål 397: Spm. om de gældende regulativer for Odense Å og Odense Fjord, til miljøministeren
2147327_0024.png
- 18 -
-
-
-
6.
VEDLIGEHOLDELSESBESTEMMELSER
6.1.
Generelle bestemmelser
Vandløbet foranstaltes vedligeholdt af Fyns Arnt . Amtet
afgør, om vedligeholdelsen skal udføres i entreprise
eller ved egen foranstaltning.
Vandløbet vedligeholdes på grund af jordbrugets afvan-
dingsinteresser. Vedligeholdelsens omfang er fastlagt
af vandløbsmyndigheden ud fra en afvejning af miljøin-
teresser og afvandingsinteresser. Således er der ingen
grund til vedligeholdelse, hvis der ingen afvandingsin-
teresser er, eller afvandingsinteresserne i forvejen er
tilgodeset .
Vandløbet er i recipientkvalitetsplanen, der er en del
af Regionplan 2001-2013, målsat således:
St . 0
m -
8 . 770
m:
Fiskevand til lyst- og / eller erhvervsfiskeri .
St . 8.770 m - 52 . 829 m:
Gyde- og/eller opvækstområde for laksefisk .
St. 52.829 m - 53.758 m:
Fiskevand til lyst- og/eller erhvervsfiskeri .
Vedligeholdelsen af de enkelte vandløbsstrækninger skal
udføres således, at vandløbets fysiske tilstand er i
overensstemmelse med de krav, recipientkvalitetsmålsæt-
ningen stiller hertil .
Kravene til sikring af den fastlagte vandføringsevne
opfyldes ved de i det følgende anførte vedligeholdel-
sesprincipper (Generelle bestemmelser , afsnit 6 . 1.1 -
6 . 1 . 4 samt Særlige bestemmelser , afsnit 6 . 2.1 - 6.2 . 5) .
6 . 1 . 1.
Grødeskæring
-
Vandføringsevnen om sommeren sikres ved grødeskæring .
Der er fastsat krav til hvornår samt hvor meget grøde,
der skal bortskæres i vandløbet . Amtet forbeholder sig
dog ret til at ændre de enkelte grødeskæringsterminer
af hensyn til vedligeholdelsesarbejdets tilrettelæggel-
se samt til at efterlade så megen grøde i vandløbet, at
der opretholdes en rimelig vanddybde af hensyn til
vandløbsfaunaen.
Regulativ for Odense
A,
marts 2004
MOF, Alm.del - 2019-20 - Endeligt svar på spørgsmål 397: Spm. om de gældende regulativer for Odense Å og Odense Fjord, til miljøministeren
2147327_0025.png
- 19 -
-
Eventuel grødeskæring foretages som hovedregel manuelt.
Bortskæring af grøde sker ved skæring af en eller flere
strømrender med en samlet bredde, der er angivet i af-
snit 6.2 . Vandløbets grøde fjernes aldrig fuldstændig,
idet der mindst efterlades grøde svarende til 1/5 del
af vandspejlsbredden.
Bortskæring af grøde foretages overvejende, hvor vand-
løbet er dybest. I tilfælde, hvor en strømrende ikke
umiddelbart kan erkendes, etableres en grødefri strøm-
rende med en bølgelængde på ca. 10 x vandløbsbredden
(b}, jf . nedenstående figur:
-
I•
• I
6.1.2.
Oprensning
-
Såfremt vandløbet ikke opfylder de fastsatte krav til
vandføringsevnen, der er fastlagt i afsnit 6 . 2., fore-
tages oprensning af vandløbet. Oprensningen skal nor-
malt ske i perioden fra 1 . september til 31. oktober.
Oprensningen udføres efter miljøvenlige principper, jf.
nedenstående bestemmelser . Evt. oprensning omfatter
Regulativ for Odense
A,
marts 2004
MOF, Alm.del - 2019-20 - Endeligt svar på spørgsmål 397: Spm. om de gældende regulativer for Odense Å og Odense Fjord, til miljøministeren
2147327_0026.png
-
-
-
- 20 -
normalt kun fjernelse af sand og mudderbanker, hvorimod
grus og sten normalt ikke må fjernes.
Såfremt fjernelse af sand og mudderbanker ikke kan gen-
skabe den kravfastlagte vandføringsevne, kan følgende
yderligere tiltag komme på tale i prioriteret række-
følge:
a.
b.
Fjernelse/begrænsning af dele af kant- og bred-
vegetationen.
Vedligeholdelse af vandløbsprofilet.
Vedligeholdelsen skal i givet fald understøtte det ak-
tuelle forløb af vandløbets strømrende samt tilstræbe
et naturligt vandløbsprofil . Det skal endvidere sikres,
at der ved lave vandføringer om sommeren kan oprethol-
des en rimelig vanddybde af hensyn til vandløbsfaunaen.
Ovenstående hensyn til vandløbsprofilets form ved en
evt . profilvedligeholdelse vil som regel kunne tilgode-
ses, hvis vedligeholdelsen tilstræber et vandløbspro-
fil, som på nedenstående figur. Profilet varierer i
takt med forløbet af vandløbets strømrende.
Ovenstående foranstaltninger skal ske under størst mu-
lig hensyntagen til miljøet i og omkring vandløbet. Op-
rensning må ikke foretages med henblik på at forbedre
vandføringsevnen, udover hvad der er bestemt i afsnit
6.2 .
STR0Mt.ea
"'I
VINTERVANOGPEJl
I
I
SOMMERVANDSP!:JL
:
-
SNIT A- A
Regulativ for Odense
A,
marts 2004
MOF, Alm.del - 2019-20 - Endeligt svar på spørgsmål 397: Spm. om de gældende regulativer for Odense Å og Odense Fjord, til miljøministeren
2147327_0027.png
- 21 -
-
6.1.3.
Bortskaffelse af grøde og oprenset materiale
Grøde
Afskåret grøde mv. opsamles så vidt muligt umiddelbart
efter afskæring, hvor den som hovedregel lægges op på
vandløbets banketter. På strækninger, hvor det ikke er
muligt at opsamle grøden, kan grøden drive frit med
strømmen og opsamles på hensigtsmæssige opsamlings-
steder .
Afskåret grøde er ejeren eller brugeren af de tilstø-
dende jorder pligtig at fjerne mindst 2 m fra vandløbs-
kanten.
Det påhviler den enkelte ejer eller bruger selv at un-
dersøge , om der er oplagt grøde m. v., som skal fjernes
eller spredes . Undlader en ejer eller bruger at fjerne
grøden, kan amtet efter 2 ugers skriftligt varsel til
ejeren eller brugeren lade arbejdet udføre på den på-
gældendes bekostning.
Afskåret grøde m.v. må ikke udlægges/spredes i mere end
10 cm tykkelse af hensyn til faren for ensilering med
efterfølgende udvaskning til vandløbet.
Oprenset materiale
Alle for vandløbet fremmede emner, såsom plastic, sæk-
ke, flasker og lignende, opsamles fra vandløbet og op-
lægges på vandløbsbanketten, hvorfra det fjernes af
lodsejeren /brugeren.
Oprenset fyld, der fremkommer ved vandløbets regulativ-
mæssige vedligeholdelse, lægges uden for 2 m banketten,
jf . Afsnit 8.1. Ejerne eller brugerne af de tilstødende
jorder er pligtige til at fjerne eller sprede fylden
hvert år inden 1 . maj .
Opgravning og bortskaffelse af store mængder fyld fra
naturlige eller anlagte sandfang aftales med de berørte
lodsejere .
Det påhviler den enkelte ejer eller bruger selv at un-
dersøge, om der er oplagt fyld, som skal fjernes eller
spredes . Undlader en ejer eller bruger at fjerne eller
sprede fylden, kan amtet med 2 ugers skriftligt varsel
til ejeren eller brugeren lade arbejdet udføre på den
pågældendes bekostning .
-
Regulativ for Odense
Å,
marts 2004
MOF, Alm.del - 2019-20 - Endeligt svar på spørgsmål 397: Spm. om de gældende regulativer for Odense Å og Odense Fjord, til miljøministeren
2147327_0028.png
- 22 -
-
-
-
-
6.1.4.
Andre forhold
Afbrækkede grene, væltede træer og udskredne brinker,
der er af afgørende betydning for vandføringsevnen,
fjernes fra vandløbet.
Vedligeholdelse og pleje af vegetation langs vandløbet
kan foretages af amtet
i
en afstand af indtil 2 m fra
vandløbskanterne.
Ved gennemførelsen af vedligeholdelsesarbejdet skal
ulemper, som ejere og brugere skal tåle, søges fordelt
på begge bredder af vandløbet . Ensidig oplægning af
fyld m. v . kan dog forekomme, hvor beplantning m.v . fo-
rekommer på modstående bred, eller hvis terrænforhold
eller andet gør det påkrævet .
Lodsejere - eller andre med interesse i vandløbet - der
måtte finde vandløbets vedligeholdelsestilstand eller
specielle forhold vedrørende vandløbet utilfredsstil-
lende, kan rette henvendelse herom til amtet .
Regulativ for Odense
Å,
marts 2004
MOF, Alm.del - 2019-20 - Endeligt svar på spørgsmål 397: Spm. om de gældende regulativer for Odense Å og Odense Fjord, til miljøministeren
2147327_0029.png
- 23 -
-
6.2.
6.2 . 1 .
Særlige bestenunelser
Strækningen St. 0 - 2 . 467
Vandløbet gennemgås 1 gang årligt, hvor affald mv . op-
samles fra vandløbet . Yderligere vedligeholdelse fore -
tages normalt ikke .
6.2.2.
Strækningen St . 2.467 - 9.435
Grødeskæring
Vandløbsstrækningen gennemgås 2 gange, og der udføres
om nødvendigt grødeskæring :
1 . gang :
2 . gang :
Uge 22 - 27
Uge 31 - 40
Grødeskæringen foretages i følgende bredde:
St . 2 . 467 - 9 . 435
6 , 0 - 10 , 0
m
Oprensning
På denne strækning er der et krav til vandføringsevnen
om vinteren . Kravet er angivet i form af en kravkurve
og en vedligeholdelseskurve , der udtrykker en sammen-
hæng mellem vandstandskote i m og vandføring i m
3
/s .
Kravkurven angiver den vandføringsevne, der mindst skal
være til stede, mens vedligeholdelseskurven angiver
grænsen for, hvor stor vandføringsevnen må være efter
en eventuel oprensning .
Vandføringsevnen kontrolleres mindst en gang hvert 5 .
år . Kontrollen gennemføres normalt i perioden 1 . febru-
ar til 31 . marts .
Overskrides kravet til vandføringsevnen foretages op-
rensning følgende efterår .
Krav- og vedligeholdelseskurver er fastlagt for følgen-
de station :
8 . 567 m
-
Regulativ for Odense
Å,
marts 2004
MOF, Alm.del - 2019-20 - Endeligt svar på spørgsmål 397: Spm. om de gældende regulativer for Odense Å og Odense Fjord, til miljøministeren
2147327_0030.png
-
24 -
ODENSE
Å,
ST. 8567
3.
2.
2.
-
-
2.
1.
0
5
10
15
20
25
30
-----
Vedligeholdelseskurve
Kravkurve
Krav-
kurve
Vandføring
(m3/s)
13.917
14.978
16.070
17.194
18.349
19.534
20.749
21.994
23.268
24.571
25.903
27.263
28.652
30.068
31.513
32.985
34.484
35
40
Q(m3/s)
Vedligeholdelses-
kurve
Vandspejlskote
(m
DNN)
2.15
2.20
2.25
2.30
2.35
2.40
2.45
2.50
2.55
2.60
2.65
2.70
2.75
2.80
2.85
2.90
2.95
Vandspejlskote
(m
DNN)
2.25
2.30
2.35
2.40
2.45
2.50
2.55
2.60
2.65
2.70
2.75
2.80
2.85
2.90
2.95
3.00
3.05
-
Regulativ for Odense
Å,
marts
2004
MOF, Alm.del - 2019-20 - Endeligt svar på spørgsmål 397: Spm. om de gældende regulativer for Odense Å og Odense Fjord, til miljøministeren
2147327_0031.png
- 25 -
-
6.2 . 3 .
Strækningen St. 9.435 - 16.207
Vandløbet gennemgås 1 gang årligt, normalt i uge 24 -
25, hvor affald mv . opsamles fra vandløbet.
6.2.4.
Strækningen St. 16.207 - 52.829
Grødeskæring
Vandløbsstrækningen gennemgås 2 gange, og der udføres
om nødvendigt grødeskæring :
1. gang :
2. gang:
Uge 22 - 27
Uge 31 - 40
På den genslyngede strækning st. 42.287 - 45.940, gen-
nemgås strækningen 1 gang årligt, og om nødvendigt fo-
retages der grødeskæring .
Grødeskæringen foretages i
St. 16.207 - 28 . 336
St. 28 . 336 - 42 . 287
St . 45.940 - 52 . 829
følgende bredder:
6,0 - 10,0
m
5,0 -
8,0
m
3,0 -
5,0
m
Oprensning
På denne strækning er der krav til vandføringsevnen om
vinteren. Kravene er angivet i form af kravkurver og
vedligeholdelseskurver, der udtrykker en sammenhæng
mellem vandstandskote i m og vandføring i m
3
/ s. Krav-
kurverne angiver den vandføringsevne, der mindst skal
være til stede, mens vedligeholdelseskurverne angiver
grænsen for , hvor stor vandføringsevnen må være efter
en eventuel oprensning .
Vandføringsevnen kontrolleres mindst en gang hvert 5.
år ved alle kravkurvestationer . Kontrollen gennemføres
normalt i perioden 1 . februar til 31 . marts.
Overskrides kravet til vandføringsevnen foretages op-
rensning følgende efterår.
-
Regulativ for Odense
A,
marts 2004
MOF, Alm.del - 2019-20 - Endeligt svar på spørgsmål 397: Spm. om de gældende regulativer for Odense Å og Odense Fjord, til miljøministeren
2147327_0032.png
-
26
-
-
-
-
-
Krav- og vedligeholdelseskurver er fastlagt for følgen-
de stationer:
21.431
23.790
26 .27 8
28.795
31.289
33.797
36.338
38.572
44.669
47.869
50.402
52.813
m,
m,
m,
m,
m,
m,
m,
m,
m,
m,
m,
m.
21.831
24.186
26.686
29.283
31.796
34.294
36.791
38.976
45.232
48.396
50.908
m,
m,
m,
m,
m,
m,
m,
m,
m,
m,
m,
22 .35 2
24.599
27.285
29.782
32.286
34.793
37.305
39.463
46.277
48.898
51. 391
m,
m,
m,
m,
m,
m,
m,
m,
m,
m,
m,
22.977
25.214
27.788
30.286
32.793
35.198
37.642
40.066
46.798
49.402
51.880
m,
m,
m,
m,
m,
m,
m,
m,
m,
m,
m,
23.382
25.814
28.336
30.792
33.308
35.698
38.026
44.075
47.398
49.891
52.395
m,
m,
m,
m,
m,
m,
m,
m,
m,
m,
m,
Regulativ for Odense
A,
marts 2004
MOF, Alm.del - 2019-20 - Endeligt svar på spørgsmål 397: Spm. om de gældende regulativer for Odense Å og Odense Fjord, til miljøministeren
2147327_0033.png
- 27 -
-
11 .
ODENSE
Å,
ST. 21431
I
I
I
(
I
I
I
I
I
I
I
I
I
I
I
I
I
I
I
I
I
I
I
I
I
:
:
:
:
:
:
:
.
.
:
:
:
:
:
_
.Q\/e_
rs_v~111~ ~l::.e_ g{~n~E! ____
.i.___________
j ___ .... ........ j .. _. __ . _
.! ________ _
s_
/
/
/
/
I
-
-
10.
10.
10.
/
10.2 I
/
I
I
I
I
I
/
/
/
/
I
/
/
/
/
/
-co l
ol
,.... I
El
El
~I
cu l
-C-0 :
C\(
l[) .
o:
.... .
5
10
15
20
25
30
35
40
Q(m3/s)
Vedligeholdelseskurve
Kravkurve
Krav-
kurve
Vandføring
(1113/s)
0.703
0.956
1.239
1.550
1.889
2.253
2.643
3.056
3.494
3.954
4.436
4.940
5.466
6.012
6.579
7.165
7.772
Vedligeholdelses-
kurve
Vandspejlskote
(m
DNN)
10.35
10.40
10.45
10.50
10.55
10.60
10.65
10.70
10.75
10.80
10.85
10.90
10.95
11.00
11 .05
11 .10
11.15
Vandspejlskote
(m
DNN)
10.45
10.50
10.55
10.60
10.65
10.70
10.75
10.80
10.85
10.90
10.95
11 .00
11.05
11 .10
11 .15
11 .20
11 .25
-
Regulativ for Odense
Å,
marts
2004
MOF, Alm.del - 2019-20 - Endeligt svar på spørgsmål 397: Spm. om de gældende regulativer for Odense Å og Odense Fjord, til miljøministeren
2147327_0034.png
-
11 .
11.
-
28 -
ODENSE
Å,
ST. 21831
-
-
11 .
5
-----
10
15
20
25
30
35
40
Q(m3/s)
Vedligeholdelseskurve
Kravkurve
Krav-
kurve
Vedligeholdelses-
kurve
Vandspejlskote
(m
DNN)
Vandføring
(m3/s)
Vandspejlskote
(m
DNN)
1.185
1.583
2.004
2.447
2.908
3.386
3.879
4.387
4.909
5.443
5.989
6.546
7.114
7.692
8.280
8.878
9.485
10.70
10.75
10.80
10.85
10.90
10.95
11.00
11 .05
11.10
11.15
11 .20
11.25
11 .30
11 .35
11 .40
11.45
11 .50
10.60
10.65
10.70
10.75
10.80
10.85
10.90
10.95
11.00
11.05
11.10
11 .15
11.20
11.25
11 .30
11.35
11.40
Regulativ for Odense
Å ,
marts
2004
MOF, Alm.del - 2019-20 - Endeligt svar på spørgsmål 397: Spm. om de gældende regulativer for Odense Å og Odense Fjord, til miljøministeren
2147327_0035.png
-
-
-
-
- 29 -
H(m)
11 .7
11 .
ODENSE A, ST.
22352
,(
0
/i
/ I
I
I
I
I
11 .
I
I
I
I
I
I
11 .
I
I
I
I
I
I
I
I
I
I
I
I
I
I
I
I
I
I
I
11.
I
I
._ I
I
•ro
I
I
10.
C\J
I
I
ai l
I
El
10.8
I
11 .
I
I
I
I
I
I
I
I
I
I
I
I
I
I
I
I
I
I
._ I
•<U f
L() f
·1
· ···· •·· · •
---- - - ···· · ··· · ·· ···
:
:
:
:
:
:
~I
El
~I
ai l
El
El
15
20
-ro :
C\J :
.... .
•ro :
I.() :
.... :
•ro :
O:
.-- :
....
:
5
-----
10
25
30
40
35
Q(m3/s)
Vedligeholdelseskurve
Kravkurve
Krav-
kurve
Vandføring
(m3/s)
Vandspejlskote
(m
DNN)
Vedligeholdelses-
kurve
Vandspejlskote
(m
DNN)
0.037
0.205
0.452
0.761
1.123
1.532
1.985
2.478
3.008
3.573
4.172
4.804
5.466
6.158
6.879
10.85
10.90
10.95
11 .00
11 .05
11 .10
11 .15
11 .20
11 .25
11.30
11 .35
11.40
11.45
11 .50
11.55
10.75
10.80
10.85
10.90
10.95
11.00
11.05
11.10
11 .15
11 .20
11 .25
11 .30
11.35
11.40
11.45
Regulativ for Odense
A,
marts
2004
MOF, Alm.del - 2019-20 - Endeligt svar på spørgsmål 397: Spm. om de gældende regulativer for Odense Å og Odense Fjord, til miljøministeren
2147327_0036.png
-
30 -
-
11 .
ODENSE
Å,
ST. 22977
. .Qye_ v'1'rll~~t~~-~9.J. .n~El ....
J. .......... .: ..............:
rs_
'~
........
I/
I
I
:
:
i.
:
/
/
/1
1
1
i
.
:
.
I
/
/
/
I
/
-
11.
11.
I
/
/
/
/
I
/
/
/
/
/
/
/
/
/
I
-ro
I
ol
I
I
I
I
I
I
I
I
I
I
I
I
I
I
I
I
I
I
:
:
.
:
..-1
El
El
~I
5
øl
~ :
....
:
O;
0
10
15
20
25
30
35
40
Q(m3/ s)
-----
Vedligeholdelseskurve
Kravkurve
Krav-
kurve
Vedligeholdelses-
kurve
Vandspejlskote
Vandføring
(m3/s)
Vandspejlskote
(m
DNN)
11.20
11.25
11 .30
11.35
11.40
11.45
11 .50
11.55
11.60
11.65
11.70
11 .75
11 .80
11.85
11.90
11.95
12.00
(m
DNN)
11.10
11.15
11.20
11.25
11 .30
11.35
11.40
11.45
11.50
11.55
11.60
11 .65
11.70
11.75
11.80
11.85
11.90
0.739
1.009
1.308
1.636
1.991
2.371
2.776
3.204
3.654
4.127
4.620
5.134
5.668
6.222
6.795
7.387
7.997
Regulativ for Odense
Å,
marts
2004
MOF, Alm.del - 2019-20 - Endeligt svar på spørgsmål 397: Spm. om de gældende regulativer for Odense Å og Odense Fjord, til miljøministeren
2147327_0037.png
-
12.
- 31 -
ODENSE
Å,
ST . 23382
_Qye_
rsv~111~_l~e_
e sgfce_~~ ....
J . . . . . . . . . .
n
_
I
I
I
I
I
I
-
-
-
11 .
11.
I
11 .
I
I
I
I
I
I
I
I
/
/
/
/
/
I
I
I
I
I
I
I
I
I
I
I
I
I
I
I
I
I
I
I
I
._I
oeu1
l.OJ
El
El
~I
ci>I
I
I
I
I
I
I
I
I
I
I
I
I
I
I
!.
5
10
15
20
25
30
35
Q(m3/s)
40
-----
Vedligeholdelseskurve
Kravkurve
Krav-
kurve
Vedligeholdelses-
kurve
Vandspejlskote
(m DNN)
11.25
11.30
11.35
11.40
11.45
11.50
11.55
11.60
11.65
11.70
11.75
11.80
11.85
11.90
11.95
12.00
Vandføring
(m3/s)
0.039
0.137
0.279
0.458
0.669
0.912
1.184
1.483
1.809
2.159
2.534
2.932
3.353
3.796
4.261
4.747
Vandspejlskote
(m Dl\t-J)
11.35
11.40
11.45
11.50
11 .55
11.60
11.65
11.70
11.75
11 .80
11.85
11.90
11.95
12.00
12.05
12.10
Regulativ for Odense
A,
marts
2004
MOF, Alm.del - 2019-20 - Endeligt svar på spørgsmål 397: Spm. om de gældende regulativer for Odense Å og Odense Fjord, til miljøministeren
2147327_0038.png
-
12.
12.
-
32 -
ODENSE
Å,
ST. 23790
········ ···,··
··· •·······••,•·· · ··--·,· •• ·· ·····
-
-
-
11.
,._ :
-<U:
Q) :
>i
N:
,._ :
,._ :
-<U :
I.{) :
Q) :
,._ :
>i
30
.....
C ·
,._ .
-<U :
0 :
.~ :
>:
Q) :
.....
:
,._
5
10
15
20
25
35
Q(m3/s)
40
- -- - -
Vedligeholdelseskurve
Kravkurve
Krav-
kurve
Vedligeholdelses-
kurve
Vandspejlskote
(m
DNN)
11.65
11.70
11.75
11 .80
11 .85
11.90
11.95
12.00
12.05
12.10
12.15
12.20
12.25
12.30
12.35
12.40
12.45
Vandføring
(m3/s)
0.501
0.743
1.017
1.321
1.652
2.008
2.389
2.794
3.220
3.667
4.135
4.623
5.130
5.655
6.199
6.760
7.339
Vandspejlskote
(m
DNN)
11.75
11 .80
11 .85
11.90
11.95
12.00
12.05
12.10
12.15
12.20
12.25
12.30
12.35
12.40
12.45
12.50
12.55
2004
Regulativ for Odense
A,
marts
MOF, Alm.del - 2019-20 - Endeligt svar på spørgsmål 397: Spm. om de gældende regulativer for Odense Å og Odense Fjord, til miljøministeren
2147327_0039.png
-
12.
- 33 -
ODENSE
Å,
ST. 24186
I
I
I
I
I
I
l
I
I
~ I
øl
El
El
~I
11.
.-1
ol
«u :
N :
1... :
«u:
lO:
Q) ·
1... :
1... :
--
>i > i
I.. '
«u:
O;
.- :
Q) ·
1... :
5
10
15
20
25
30
35
40
Q(m3/s)
-----
Vedligeholdelseskurve
Kravkurve
Krav-
kurve
Vedligeholdelses-
kurve
Vandspejlskote
(m
DNN)
-
-
Vandføring
(m3/s)
Vandspejlskote
(m
DNN)
0.064
0.165
0.306
0.485
0.701
0.953
1.239
1.559
1.911
2.296
2.712
3.160
3.639
4.147
4.686
5.255
5.852
11.85
11 .90
11.95
12.00
12.05
12.10
12.15
12.20
12.25
12.30
12.35
12.40
12.45
12.50
12.55
12.60
12.65
11.75
11.80
11.85
11.90
11.95
12.00
12.05
12.10
12.15
12.20
12.25
12.30
12.35
12.40
12.45
12.50
12.55
Regulativ for Odense
Å,
marts
2004
MOF, Alm.del - 2019-20 - Endeligt svar på spørgsmål 397: Spm. om de gældende regulativer for Odense Å og Odense Fjord, til miljøministeren
2147327_0040.png
-
12.
- 34 -
ODENSE
Å,
ST. 24599
-
12.
....
:
o('IJ :
C\J:
,._ :
Q) ;
......
....
:
o('IJ :
lO:
Q) :
o('IJ :
.... :
>i
>i
30
......
,._ .
.- :
Q) :
o :
>:
,._ :
C.
0
5
10
15
20
25
35
40
Q(rn3/s)
- - -- -
Vedligeholdelseskurve
Kravkurve
Krav-
kurve
Vedligeholdelses-
kurve
Vandspejlskote
(m
DNN)
12.20
12.25
12.30
12.35
12.40
12.45
12.50
12.55
12.60
12.65
12.70
12.75
12.80
12.85
12.90
12.95
13.00
Vandføring
(rn3/s)
0 .757
1.044
1.360
1.705
2.075
2.470
2.889
3 .329
3.790
4.272
4.773
5.293
5.831
6.387
6.961
7.551
8.157
Vandspejlskote
(m
DNN)
12.30
12.35
12.40
12.45
12.50
12.55
12.60
12.65
12.70
12.75
12.80
12.85
12.90
12.95
13.00
13.05
13.10
-
Regulativ for Odense
Å ,
marts
2004
MOF, Alm.del - 2019-20 - Endeligt svar på spørgsmål 397: Spm. om de gældende regulativer for Odense Å og Odense Fjord, til miljøministeren
2147327_0041.png
-
13.
13.
12.
- 35 -
ODENSE
Å,
ST. 25214
I
I
I
I
I
I
I
I
I
I
I
I
I
I
I
I
I
I
I
I
I
I
I
I
._ I
········ -•·;·•· ·······
............ ..
.
.
.
_Q1Je_
rs_vl31"f!~!~~?9. .:i~E)
~ r
I /
.
-
12.
12.
12.
;I
I
I
I
I
I
I
I
I
I
I
I
I
I
I
I
I
I
I
I
I
I
I
I
I
I
I
I
I
I
I
I
I
I
l
om1
1/)j
01
Cl)
0
5
10
15
20
ci>I
El
El
...
:
om:
(I) :
>:
.~ :
C\I:
...
:
...
...
:
:
om :
:
om
I!):
o :
....
...
:
,....
:
(I) ·
(I) ·
>i >i
25
30
35
40
Q(m3/s)
-----
Vedligeholdelseskurve
Kravkurve
Krav-
kurve
Vedligeholdelses-
kurve
Vandspejlskote
(m
DNN)
12.50
12.55
12.60
12.65
12.70
12.75
12.80
12.85
12.90
12.95
13.00
13.05
13.10
13.15
13.20
13.25
13.30
Vandføring
(m3/s)
0.443
0.726
1.058
1.434
1.852
2.308
2.801
3.328
3.888
4.481
5.104
5.758
6.440
7.150
7.888
8.652
9.442
Vandspejlskote
(m
DNN)
12.60
12.65
12.70
12.75
12.80
12.85
12.90
12.95
13.00
13.05
13.10
13.15
13.20
13.25
13.30
13.35
13.40
Regulativ for Odense
Å,
marts
2004
MOF, Alm.del - 2019-20 - Endeligt svar på spørgsmål 397: Spm. om de gældende regulativer for Odense Å og Odense Fjord, til miljøministeren
2147327_0042.png
- 36 -
-
13.
13.
ODENSE
Å,
ST. 25814
I
I
I
.
.
.
.9\'.~X~.v~rllrrjel?~s_ ~
g ~~~ .... I ........... :.............. _:_ ....... ) ...... __
I /
I
.
.
.
/
I
I/
I
/
I
/
I
/
I
I
I
/
I
-
12.
12.
I
I
I
I
I
I
I
I
I
I
I
I
I
I
I
I
o<U:
..- :
O:
....
:
5
10
15
20
25
30
35
- - ---
Vedligeholdelseskurve
Kravkurve
Krav-
kurve
Vandføring
(m3/s)
Vandspejlskote
Q(m3/s)
40
Vedligeholdelses-
kurve
Vandspejlskote
(m DNN)
12.65
12.70
12.75
12.80
12.85
12.90
12.95
13.00
13.05
13.10
13.15
13.20
13.25
13.30
13.35
13.40
13.45
(m DNN)
12.55
12.60
12.65
12.70
12.75
12.80
12.85
12.90
12.95
13.00
13.05
13.10
13.15
13.20
13.25
13.30
13.35
-
0.659
0.923
1.223
1.560
1.930
2.334
2.770
3.238
3.737
4.267
4.826
5.414
6.031
6.676
7.349
8.050
8.778
Regulativ for Odense
A,
marts
2004
MOF, Alm.del - 2019-20 - Endeligt svar på spørgsmål 397: Spm. om de gældende regulativer for Odense Å og Odense Fjord, til miljøministeren
2147327_0043.png
-
-
- 37 -
ODENSE
Å,
ST. 26278
.Qy~~~.v~. .n~,~~~.Qf.~. ).~ ...... , ···········,······························
~r
n
I
I
I
I
I
I
I
I
I
/I
/ I
/
I
/
I
/
I
/
I
/
I
/
I
/
I
/
I
I
,.._
I
oeo
I
NI
El
El
~I
/
I/
/
/ I
/f
/
I/
I
I
/
/
m
l
10
15
o('O :
,.._ :
oeo :
Q) ;
C ·
C\J :
c:
>i
20
,.._ :
Q) :
o :
LO:
..-
:
,.._ :
,.._ ,
,.._ :
oeo:
,.._ :
>:
5 :
25
c:
30
35
Q(m
3
/s)
Q) :
0
5
40
-----
VedIigeholdelsesku rve
Kravkurve
Krav-
kurve
Vedligeholdelses-
kurve
Vandspejlskote
(m
DNN)
Vandføring
(m
3
/s)
Vandspejlskote
(m
DNN)
-
3.811
4.333
4.882
5.457
6.058
6.684
7.334
8.009
8.708
9.430
10.176
10.944
11 .735
12.548
13.383
14.239
15.117
13.30
13.35
13.40
13.45
13.50
13.55
13.60
13.65
13.70
13.75
13.80
13.85
13.90
13.95
14.00
14.05
14.10
13.20
13.25
13.30
13.35
13.40
13.45
13.50
13.55
13.60
13.65
13.70
13.75
13.80
13.85
13.90
13.95
14.00
Regulativ for Odense
Å,
marts 2004
MOF, Alm.del - 2019-20 - Endeligt svar på spørgsmål 397: Spm. om de gældende regulativer for Odense Å og Odense Fjord, til miljøministeren
2147327_0044.png
- 38 -
ODENSE
Å,
ST. 26686
_
Qve_ vfJ1IT.1. l~~!;,g_ ~~~ ........:. ..... ___ . _ _
rs_
~
r_
æ
. ...................... .
I
I
I
I
I
I
I
/
/
;I
l
I
I
I
I
I
I
I
I
I
I
I
/
/
)/
/ I
I
I
I
I
I
/
/
/
:
I
I
I
I
I
I
I
I
I
I
I
/
I
-
-
-
/
/
/
/
/
I
I
,._ I
~I
LO
i
El
El
~I
øl
~ :
l() :
....
:
Q) :
:
~ :
....
o :
-r- :
..... .....
Q) :
i..... :
.._ ;
C ·
5:
15
20
25
C ·
>i
5
10
30
35
-----
Vedligeholdelseskurve
Kravkurve
Krav-
kurve
Q(rn3/s)
40
Vedligeholdelses-
kurve
Vandspejlskote
(m
DNN)
13.20
13.25
13.30
13.35
13.40
13.45
13.50
13.55
13.60
13.65
13.70
13.75
13.80
13.85
13.90
13.95
14.00
Vandføring
(rn3/s)
2.829
3.280
3.760
4.268
4.803
5.366
5.955
6.570
7.212
7.879
8.571
9.289
10.031
10.797
11 .588
12.403
13.242
Vandspejlskote
(m
DNN)
13.30
13.35
13.40
13.45
13.50
13.55
13.60
13.65
13.70
13.75
13.80
13.85
13.90
13.95
14.00
14.05
14.10
Regulativ for Odense
A,
marts
2004
MOF, Alm.del - 2019-20 - Endeligt svar på spørgsmål 397: Spm. om de gældende regulativer for Odense Å og Odense Fjord, til miljøministeren
2147327_0045.png
- 39 -
ODENSE
Å,
ST. 27285
I
I
I
:
. .9':-".~.~~x~rnr:i:i~l~eis_ r_en~~ ........ '. ...... _ :.......
gc
.....
I
I
I
I
I
I
I
I
I
I
I
/
I
/
/
/
/
/
/
I
I
I
I
I
I
/
I
l
1/
/
/
/
}./
/
/
//
r
.
·
i
:
.............. .
:
:
.
-co
I
I
I
I
I
I
I
._
I
<i>I
C\J
I
....
:
-CO:
C\J :
.... :
-CO :
IL) :
oC'O :
..... :
....
:
O :
El
El
5
~ I
10
15
20
25
30
-----
Vedligeholdelseskurve
Kravkurve
Krav-
kurve
35
40
Q(m3/ s)
Vedligeholdelses-
kurve
Vandspejlskote
(m
DNN)
Vandføring
(m3/s)
Vandspejlskote
(m
DNN)
-
3.781
4.275
4.797
5.345
5.919
6.520
7.147
7.799
8.477
9.181
9.909
10.662
11.441
12.243
13.070
13.922
14.797
13.55
13.60
13.65
13.70
13.75
13.80
13.85
13.90
13.95
14.00
14.05
14.10
14.15
14.20
14.25
14.30
14.35
13.45
13.50
13.55
13.60
13.65
13.70
13.75
13.80
13.85
13.90
13.95
14.00
14.05
14.10
14. 15
14.20
14.25
Regulativ fo r Odens e
A,
mar ts
200 4
MOF, Alm.del - 2019-20 - Endeligt svar på spørgsmål 397: Spm. om de gældende regulativer for Odense Å og Odense Fjord, til miljøministeren
2147327_0046.png
-
40 -
ODENSE
Å,
ST. 27788
._Qye_
rsv!()rT"IIJ1~.~~s_ r_En!5
7..
.I. ...........
1
l
gc
...... .
I
I
I
I
I
I
I
I/
/(
/ I
/
I
I
I
I
:
/
/
:
14.0
I
/
/
I
I
I
I
I
I
I
I
I
I
I
I
I
0
5
10
15
20
25
30
Q(m3/s)
35
-----
Vedligeholdelseskurve
Kravkurve
Krav-
kurve
Vedligeholdelses-
kurve
Vandspejlskote
(m
DNN)
13.45
13.50
13.55
13.60
13.65
13.70
13.75
13.80
13.85
13.90
13.95
14.00
14.05
14.10
14.15
14.20
14.25
Vandføring
(m3/s)
2.830
3.259
3.714
4.197
4.706
5.241
5.802
6.390
7.002
7.640
8.303
8.991
9.704
10.441
11.203
11.989
12.799
Vandspejlskote
(m
DNN)
13.55
13.60
13.65
13.70
13.75
13.80
13.85
13.90
13.95
14.00
14.05
14.10
14.15
14.20
14.25
14.30
14.35
Regulativ for Odense
A,
marts
2004
MOF, Alm.del - 2019-20 - Endeligt svar på spørgsmål 397: Spm. om de gældende regulativer for Odense Å og Odense Fjord, til miljøministeren
2147327_0047.png
- 41 -
-
-
-
7
14 7
·
H(m)
ODENSE
Å,
ST. 28336
14.2
. _Q\le_ v~rrirn. l~e_ g r_ _~~ ........:.. ,. ......... [ ............... ,........... .
rs_
f
s_ , n
I
I
/(
:
I
I
/
I
I
//
I
/
_i/
I
I
/
I //
;
I
/
;
/
/
I
I
I
/
I
/
I
I
I
I
I
I
I
I
I
I
._
I
-cu1
Ni
<i>I
~ I
i
I
I/
/
El
El
._I
-cu I
l()
I
<i> I
Cl)
-rol
ol
.....
,
o(1j
....
o
,
El
El
~ I
ail
El
El
0
>
20
25
30
Q(m3/s)
c
.....
....
<l>
0
5
10
15
-----
Ved ligeho Id elseskurve
Kravkurve
Krav-
kurve
Vedligeholdelses-
kurve
Vandspejlskote
(m
DNN)
13.75
13.80
13.85
13.90
13.95
14.00
14.05
14.10
14. 15
14.20
14.25
14.30
14.35
14.40
14.45
14.50
14.55
Vandføring
(m3/s)
4.206
4.694
5.207
5.743
6.304
6.889
7.497
8.129
8.784
9.462
10.163
10.888
11.635
12.404
13.197
14.011
14.848
Vandspejlskote
(m
DNN)
13.85
13.90
13.95
14.00
14.05
14.10
14.15
14.20
14.25
14.30
14.35
14.40
14.45
14.50
14.55
14.60
14.65
2004
Regulat iv for Odense
Å,
marts
MOF, Alm.del - 2019-20 - Endeligt svar på spørgsmål 397: Spm. om de gældende regulativer for Odense Å og Odense Fjord, til miljøministeren
2147327_0048.png
- 42 -
-
ODENSE
Å,
ST. 28795
I
I
I
I
-
. _Q\/ersv~rrirn. l~e.s_ ri.n~~ .......
~
g
I
I
I
,,,
7
I
I
I ,,,,,,
I
I
,-,1
I
I
,,, I
I
,-, ,,,
I
I
)/
I
I
/ I
I
I
/ I
I
/ /
I
I
/(
I
I
/ I
I
I
/
I
I
I
/
I
I
I
/
I
I
I
/
I
I
I
;
I
I
I
/
I
I
I
/
I
I
I
I
,.._ I
,__ I
oeijl
/
OCIJ I
OCIJ I
o l
C\JI
I.Ol
.-1
øl
øl
øl
El
El
El
El
El
El
~ I
~ I
~ I
5
l.......
I
I
.:............ . ....:... .
.
.
,.._
o('IJ
-
>
>i
,.._
C
Q) :
Q)
I.O:
,.._ .
0
10
15
20
25
30
Q(m3/s)
- - - --
Vedligeholdelseskurve
Kravkurve
Krav-
ku rve
Vedligeholdelses-
kurve
Vandspejlskote
(m
DNN)
Vandføring
(m3/s)
Vandspejlskote
(m
DNN)
5.319
5.863
6.431
7.022
7.636
8.273
8.932
9.614
10.318
11.044
11.792
12.562
13.353
14.166
15.000
15.856
16.732
14.10
14.15
14.20
14.25
14.30
14.35
14.40
14.45
14.50
14.55
14.60
14.65
14.70
14.75
14.80
14.85
14.90
14.00
14.05
14.10
14.15
14.20
14.25
14.30
14.35
14.40
14.45
14.50
14.55
14.60
14.65
14.70
14.75
14.80
Regulativ for Odense
A,
marts
2004
MOF, Alm.del - 2019-20 - Endeligt svar på spørgsmål 397: Spm. om de gældende regulativer for Odense Å og Odense Fjord, til miljøministeren
2147327_0049.png
-
15.0
14.7
14.2
14.0
13.7
13.5
-
43 -
ODENSE A, ST.
29283
0
._()ye_ VR)rTlrTI_ l~esgr_ n~~
rS_
f
,
I
I
I
I
I
I
I
I
I
I
I
...... j · ..........
•:;:~ ..
·-···••· • ·-••······
I
....
I
I
/
/
J/
/
/
/ :
:
/.
//
/
/j
,.(
I /
/
/
I
I
I
I
/ I
/ I
/
I
I
I
I
I
I
I
I
I
I
,__ I
I
N j
X
~
~
,
,
I{)
I
I
I
I
I
I
I
I
I
I
,__ I
I
ci> I
oml
ol
,....,
El
El
ci> I
...
:
•~ :
N :
'- ·
(/)
o, o,
(/)
El
El
ci>I
El
El
~I
Q) :
......
.
~ :
>:
:
...
:
:
,__
~
...
:
....
..... .
c
C ·
>: >
~
I{) :
,-
Q)
0
Q) :
5
-----
10
15
20
25
Q(m3/s)
30
Vedligeholdelseskurve
Kravkurve
Krav-
kurve
Vedligeholdelses-
kurve
Vandspejlskote
(m
DNN)
14.25
14.30
14.35
14.40
14.45
14.50
14.55
14.60
14.65
14.70
14.75
14.80
14.85
14.90
14.95
15.00
15.05
Vandføring
(m3/s)
6.556
7.165
7.796
8.449
9.124
9.821
10.539
11.278
12.037
12.817
13.618
14.438
15.278
16.138
17.018
17.917
18.835
Vandspejlskote
(m
DNN)
14.35
14.40
14.45
14.50
14.55
14.60
14.65
14.70
14.75
14.80
14.85
14.90
14.95
15.00
15.05
15.10
15.15
Regulativ for Odense
A,
marts
2004
MOF, Alm.del - 2019-20 - Endeligt svar på spørgsmål 397: Spm. om de gældende regulativer for Odense Å og Odense Fjord, til miljøministeren
2147327_0050.png
-
44 -
H(m)
15.2:-)o--t-~ ~ ~ ~ ~ ~ ~ ~ ~ ~
~ ~ _ _ . _ . ~ ~ . . . _ . . . . . ~...........
-'--'-'-t-
1
ODENSE
Å,
ST. 29782
1
I
I
I
I
. Q\/ers_ "~rn. l~e_ æ_§~ ....... : ............ ( ...............
j............ .
v
f
sgr_ n
I
J/
I
:
:
/
I
:
:
I
/
.
.
I /
I
:
:
/
I
:
:
i/
I
:
:
14.5
/ i'
I
:
:
/ I
I
:
/
I
I
I
I
I
/
I
I
1
I
I
/
I
I
/
I
I
/
I
I
/
I
I
/
I
I
13.75 /
._I
._
,cijl
....
o('!j l
o('!jl
o l
/
o('!j
NI
I.Ol
..-1
0
15.0
El
El
~I
5
<i> I
El
El
~I
<i> I
El
El
~I
<i> I
-
>
C
.....
....
Q)
10
15
20
25
30
Q(m3/s)
-----
Vedligeholdelseskurve
Kravkurve
Krav-
kurve
Vedligeholdelses-
kurve
Vandspejlskote
(m DNN)
13.95
14.00
14.05
14.10
14.15
14.20
14.25
14.30
14.35
14.40
14.45
14.50
14.55
14.60
14.65
14.70
14.75
-
-
Vandføring
(m3/s)
1.536
1.865
2.223
2.607
3.019
3.457
3.921
4.411
4 .926
5.466
6.031
6.620
7.233
7.870
8.531
9.216
9.923
Vandspejlskote
(m DNN)
14.05
14.10
14.15
14.20
14.25
14.30
14.35
14.40
14.45
14.50
14.55
14.60
14.65
14.70
14.75
14.80
14.85
Regulativ for Odense
A,
marts
2004
MOF, Alm.del - 2019-20 - Endeligt svar på spørgsmål 397: Spm. om de gældende regulativer for Odense Å og Odense Fjord, til miljøministeren
2147327_0051.png
- 45 -
H(m)
15.51 J-1-L.L..LL.L.LL.J....LILLI...J...LI...L..L.LI-'-LI...LLI...L..L...L.L..L.L.IJ...L..LLL.LLJ,....LJLLI...J...LI...L...L..J..J,J...LL..l...J....L,-'--'--'+-
I
. _()ve
rs_v'1Jr11rnr
!~~- grt.:i~)'-. ___
-l · _... __
~ r
_______ _ ______ . _. _
.
...... __ ...... _.
I
I
1
ODENSE
Å,
ST. 30286
I
I
I
I
/
//
/
A/
/
I
/(
/
/
/
I
I
-
14.0
I
I
I
I
I
I
I
oeu1
C\J
I
'-
oeu1
IOI
ci> I
'-
,rol
ol
I
I
I
I
o<U:
13.2
~I
El
El
ci>I
.-1
~ I
El
El
~I
El
El
15
ci> I
(\J:
Q) :
,._. ,
....
:
>- :
>i
20
25
30
Q(m3/s)
C: ·
0
5
10
-----
VedligeholdelseskuNe
KravkuNe
Krav-
ku rve
Vedligeholdelses-
kurve
Vandspejlskote
(m
DNN)
14.25
14.30
14.35
14.40
14.45
14.50
14.55
14.60
14.65
14.70
14.75
14.80
14.85
14.90
14.95
15.00
15.05
Vandføring
{m3/s)
2.199
2.577
2.982
3.413
3.870
4.352
4.860
5.392
5.948
6.529
7.133
7.762
8.414
9.089
9.787
10.509
11.253
Vandspejlskote
(m
DNN)
14.35
14.40
14.45
14.50
14.55
14.60
14.65
14.70
14.75
14.80
14.85
14.90
14.95
15.00
15.05
15.10
15.15
Regulativ for Odense
A,
marts
2004
MOF, Alm.del - 2019-20 - Endeligt svar på spørgsmål 397: Spm. om de gældende regulativer for Odense Å og Odense Fjord, til miljøministeren
2147327_0052.png
-
- 46 -
16.011-+..__.__._..__.__._..__.__._..__.__._..__.__._..__.__._....._,_....._,_....._,_....._,_l....._,_....._,_........_....._,_....._,_......__._....._,_......__._.L..1.-L-~
15.7
15.5
'_Qye_ VQJrTllTI-r-i~e_
rS_
sgrrn~~ ...... -: .......
';: ; ...............
-f ........ -:-... .
-
I
I
,,,,,,
:
:
I
I
I
I
I
I
/
H(m)
ODENSE
Å,
ST. 30792
I
I
I
.
.
.
I
I
I
/(
I
I
.,,,.,,,
.,,,
,,,.,,,
l,/
I
:
:
:
:
14.7
1
1
/i
/ I
// I
/
I
I
I
I
I
v/
/
I
I
I
I
I
I
I
I
~I
ol
..-1
El
El
01
Cl)
<i> I
I
/
14.2
_
I
/
/
14.0
I
._
I
-<Il
I
NI
I
._ I
oeu
I
lD I
El
El
~ I
<i>I
El
El
~ I
<i> I
0
-----
5
10
15
20
25
30
Q(m3/s)
Vedligeholdelseskurve
Kravkurve
Krav-
kurve
Vedligeholdelses-
kurve
Vandspejlskote
(m
DNN)
-
-
Vandføring
(m3/s)
Vandspejlskote
(m
DNN)
5.344
5.897
6.473
7.073
7.696
8 .343
9.013
9.706
10.422
11 .160
11.920
12.703
13.508
14.335
15.183
16.054
16.945
14.90
14.95
15.00
15.05
15.10
15.15
15.20
15.25
15.30
15.35
15.40
15.45
15.50
15.55
15.60
15.65
15.70
14.80
14.85
14.90
14.95
15.00
15.05
15.10
15.15
15.20
15.25
15.30
15.35
15.40
15.45
15.50
15.55
15.60
Regulativ for Odense
Å,
marts
2004
MOF, Alm.del - 2019-20 - Endeligt svar på spørgsmål 397: Spm. om de gældende regulativer for Odense Å og Odense Fjord, til miljøministeren
2147327_0053.png
-
-
-
1
- 47 -
ODENSE
Å,
ST. 31289
I
I
I
I
I
I
,
:
··:·······••:•-···
.
.
.
. Q\/ers_ ~~~~!~E?_
v
sgr~n~E! ......[ ........... [
.;,r .. . .
I
I
I
I
I
I
I
I
I
I
/
I
,,/
,,/
,,,
// :
),,,/
:
I
:
I
:
I
:
I
·
I
I
I
I
I
I
I
I
.
.
.
/(
/ I
/
I
//
I
/
I
I
I
I
I
I
I
/
/_,,
/
/
14.2
/
oecs1
C\JI
._I
~ I
lO I
~ I
I
I
I
I
El
El
0
-----
5
øl
El
El
~ I
ci> I
,-I
o l
El
El
ci> I
~ I
~ I
>i
Q);
.....
'- .
>i
25
Q) :
.....
'- .
10
15
20
30
Q(m3/s)
Vedligeholdelseskurve
Kravkurve
Krav-
kurve
Vedligeholdelses-
kurve
Vandspejlskote
(m
DNN)
Vandføring
(m3/s)
Vandspejlskote
(m
DNN)
6.008
6.590
7.195
7.824
8.476
9.150
9.847
10.567
11.309
12.072
12.858
13.665
14.494
15.344
16.216
17.108
18.022
15.15
15.20
15.25
15.30
15.35
15.40
15.45
15.50
15.55
15.60
15.65
15.70
15.75
15.80
15.85
15.90
15.95
15.05
15.10
15.15
15.20
15.25
15.30
15.35
15.40
15.45
15.50
15.55
15.60
15.65
15.70
15.75
15.80
15.85
Regulativ for Odense
A,
marts 2004
MOF, Alm.del - 2019-20 - Endeligt svar på spørgsmål 397: Spm. om de gældende regulativer for Odense Å og Odense Fjord, til miljøministeren
2147327_0054.png
-
48 -
ODENSE
Å,
ST. 31796
_Qye_ V'1lrT1rTI~_ sgr~ .t:J~~ .......
.I.
~S_
l!;e_
I
I
I
I
I
I
I
I
I
I
I
I
I
I
I
I
I
I
I
I
I
I
I
I
I
I
I
·---~---···········
:
.
.
'
'
;·;;..·.,-·-~·-···
/
/'
;,,--
/
/
/
/
/:
:
.
:
.
:
'
/
/ I
/ I
/
I
/
I
/
I
/
I
-<1l
I
C\J j
:v
I
l
/
i
._I
),.,
/ I
/"
I
I
I
I
I
I
I
I
I
._I
-<1l
I
lOI
<iil
El
El
,.,,.,
,.,
I
I
I
I
I
I
I
I
I
I
I
I
I
o<il l
o
I
<ii l
El
El
,,,.,-1
/
/
...-1
o(1l :
Cl)
o,
<ii l
El
El
01
Cl)
10
01
Cl)
15
5:
--
Q) :
.....
--
>
....
:
;
Q)
c
0:
....
:
0
-----
5
20
25
30
Q(m3/s)
Vedligeholdelseskurve
Kravkurve
Krav-
kurve
Vedligeholdelses-
kurve
Vandspejlskote
(m
DNN)
15.65
15.70
15.75
15.80
15.85
15.90
15.95
16.00
16.05
16.10
16.15
16.20
16.25
16.30
16.35
16.40
16.45
Vandføring
(m3/s)
10.215
10.936
11.679
12.446
13.234
14.046
14.879
15.735
16.613
17.514
18.436
19.380
20.346
21 .334
22.344
23.375
24.428
Vandspejlskote
(m
DNN)
15.75
15.80
15.85
15.90
15.95
16.00
16.05
16.10
16.15
16.20
16.25
16.30
16.35
16.40
16.45
16.50
16.55
-
Regulativ for Odense
A,
marts
2004
MOF, Alm.del - 2019-20 - Endeligt svar på spørgsmål 397: Spm. om de gældende regulativer for Odense Å og Odense Fjord, til miljøministeren
2147327_0055.png
-
16.2
16.0
15.5
/
/
-
49 -
ODENSE
Å,
ST.
32286
I
I
.Qye_ v "rllrnf l?esgr_-~~~ ......
·I
rs_
f
I
I
I
I
I
I
I
I
I
I
I
I
I
/
I
I
I
I
/
- . - . . . . . . . . ,, .
· y
.
'
'
. . . .
. . . . ·•· ·,- . • • . . . --~-- . . .
/ :
:/
,,,,
/
/
/
I
I
I
I
I
I
/
I
I
I
I
I
I
._I
o<"O
I
N[
<i> I
~I
/1
I/
/
/
/
El
El
,,,,(
I
I
I
I
I
I
I
I
I
I
._I
o<"O
I
I{)
I
<i> I
I
I
I
I
I
I
I
I
I
I
I
I
I
~ I
,....I
<i> I
"Y
1
/
/
ol
....
:
o('O :
....
:
·
Q)
~I
El
El
~I
El
El
15
>:
20
N:
....
:
o('O :
I{) :
o('O :
>:
> :
'
Q) :
....
..- :
:
0:
....
:
Q)
:
....
:
-~ :
5
10
25
Q(m3/s)
30
-----
Vedligeholdelseskurve
Kravkurve
Krav-
kurve
Vedligeholdelses-
kurve
Vandspejlskote
(m
DNN)
-
-
Vandføring
(m3/s)
Vandspejlskote
(m
DNN)
6.203
6.783
7.385
8.009
8.654
9.320
10.008
10.716
11.444
12.193
12.962
13.751
14.560
15.389
16.237
17.104
17.990
15.55
15.60
15.65
15.70
15.75
15.80
15.85
15.90
15.95
16.00
16.05
16.10
16.15
16.20
16.25
16.30
16.35
15.45
15.50
15.55
15.60
15.65
15.70
15.75
15.80
15.85
15.90
15.95
16.00
16.05
16.10
16.15
16.20
16.25
Regulativ for Odense
A,
marts
2004
MOF, Alm.del - 2019-20 - Endeligt svar på spørgsmål 397: Spm. om de gældende regulativer for Odense Å og Odense Fjord, til miljøministeren
2147327_0056.png
-
50 -
ODENSE
Å,
ST. 32793
_
_Qy~-~~- ~fT)f.1:l_l~~sgr_en~~
.1. ....... ___
~
__ / ...... .
v
e
c
I
I
I
I
/
I
i/,,
16.0
I
/I
I // I
/
I
/f
I
/ I
I
/
I
I
/
I
I
1
I
I
/
I
I
/
I
I
/
I
I
I
,.._
I
,_I
~
-<Il
I
-<Il
I
14.75 "
Ni
lO
I
<i>
I
<i>
I
~I
I
I
I
I
I
I
I
I
I
I
:
:
16.5
;,,.,-
1
,.,.,.,.
/
/
,,.V
~ I
<i>
I
..-1
ol
El
El
-<Il :
C\J :
......
;
El
El
01
Cl)
El
El
~ I
>i
15
c
::
...... .
Q) ·
-
>
Q)
I.{)
......
C
5
- ----
10
20
25
Q(m'3/s)
30
Vedligeholdelseskurve
Kravkurve
Krav-
kurve
Vedligeholdelses-
kurve
Vandspejlskote
(m
DNN)
15.70
15.75
15.80
15.85
15.90
15.95
16.00
16.05
16.10
16.15
16.20
16.25
16.30
16.35
16.40
16.45
16.50
-
Vandføring
(m'3/s)
5.849
6.380
6.930
7.499
8.088
8.695
9.321
9.966
10.629
11.310
12.010
12.727
13.462
14.214
14.984
15.772
16.576
Vandspejlskote
(m
DNN)
15.80
15.85
15.90
15.95
16.00
16.05
16.10
16.15
16.20
16.25
16.30
16.35
16.40
16.45
16.50
16.55
16.60
Regulativ for Odense
A,
marts
2004
MOF, Alm.del - 2019-20 - Endeligt svar på spørgsmål 397: Spm. om de gældende regulativer for Odense Å og Odense Fjord, til miljøministeren
2147327_0057.png
-
-
- 51 -
ODENSE
Å,
ST. 33308
I
I
I
I
I
I
. _Qye_
rsy~~~ _)~~.sg(f-3.n~~ ..... [ ..........
i......
e
I
I
I
,.,.-"."
I
I
,.,..,.,..
16.5
I
I
j/
I
I
,.,.- I
I
I
_,,/
I
I
_,,,
I
,.,l,..-
I
I
I
,..- I
I
16.0
// I
I
I
I
/ I
I
I
15.7
/ I
I
I
/
I
I
I
/
I
I
I
15.5
/
I
I
I
/
I
I
I
/
I
I
I
/
I
I
I
I
._I
._I
orol
15 00 /
o<t! I
o<t! I
o l
.
C\J i
1.()1
.--1
............................. .
~
V
'551
0
- - -- -
El
El
5
<i> I
'55 I
10
El
El
<i> I
'55 I
15
20
25
Q(m3/s)
El
El
<i> I
Vedligeholdelseskurve
Kravkurve
Krav-
kurve
Vedligeholdelses-
kurve
Vandspejlskote
(m
DNN)
15.75
15.80
15.85
15.90
15.95
16.00
16.05
16.10
16.15
16.20
16.25
16.30
16.35
16.40
16.45
16.50
16.55
Vandføring
(m3/s)
4.566
5.036
5.524
6.030
6.554
7.095
7.653
8.228
8.819
9.426
10.049
10.688
11.343
12.013
12.698
13.399
14.114
Vandspejlskote
(m
DNN)
15.85
15.90
15.95
16.00
16.05
16.10
16.15
16.20
16.25
16.30
16.35
16.40
16.45
16.50
16.55
16.60
16.65
-
Regulativ for Odense
A,
marts
2004
MOF, Alm.del - 2019-20 - Endeligt svar på spørgsmål 397: Spm. om de gældende regulativer for Odense Å og Odense Fjord, til miljøministeren
2147327_0058.png
-
- 52 -
ODENSE
Å,
ST. 33797
I
I
_
Q\/ersy~1T11_l~e- g_ . ~E3 __
e ~_ r n
I
I
I
I
I
I
I
I
I
I
I
I
+·····
,,/'
:
··-}··········
--1_,,,
I _,,,
I
··<·······
:
·>·····
:
_,,,,,,, I
/
I
1//
I
/I
I
/ I
I
// I
I
)./
I
I
/ I
I
I
/ I
I
I
/
I
I
I
1
I
I
I
1
I
I
I
/
I
I
I
/
I
I
I
/
I
I
I
/
I
I
I
I
.._I
.._I
-<U l
oCt:S I
oCl:SI
o l
C\J I
l.{)I
.--1
El
El
~I
<i> I
....
:
o('lj :
....
:
C ·
o('lj :
El
El
~I
<i> I
El
El
~I
<i>I
C\J:
<l>:
5:
15
--
20
O:
....
:
:
<l>
....
:
--
51
25
Q(m3/s)
0
5
10
-----
Vedligeholdelseskurve
Kravkurve
Krav-
kurve
-
-
Vedligeholdelses-
kurve
Vandspejlskote
(m
DNN)
Vandføring
(m3/s)
4.044
Vandspejlskote
(m
DNN)
4.503
4.982
5.481
6.000
6.539
7.096
7.672
8.266
8.879
16.00
16.05
16.10
16.15
16.20
15.90
15.95
16.00
16.05
16.10
16.25
16.30
16.35
16.15
16.20
16.25
16.30
16.35
9.510
10.159
10.825
11 .509
12.210
12.929
13.664
16.40
16.45
16.50
16.55
16.60
16.65
16.70
16.75
16.80
16.40
16.45
16.50
16.55
16.60
16.65
16.70
Regulativ for Odense
Å,
marts
2004
MOF, Alm.del - 2019-20 - Endeligt svar på spørgsmål 397: Spm. om de gældende regulativer for Odense Å og Odense Fjord, til miljøministeren
2147327_0059.png
-
16.2
- 53 -
ODENSE
Å,
ST. 34294
I
I
. _Q\/e_
rsx~~1 - !~~~g- -n~~ ....
·i· ........ -;·/ ........... _.........:........ _
~
r
;
I
I
I
I
I
I
I
I
I
I/ /
/J
// I
/
I
/
I
/
I
1
I
/
I
,._I
/
/
-«S J
C\J J
I
I
I
I
I
/
I
I
/r
I
I
I
I
I
I
I
I
I
I
I
I
//
,,/ :
/
/
-
-
-«SJ
IO J
I
,._I
) /
I
I
I
I
I
I
I
I
I
,,/
I
~ I
ol
.-I
El
El
<i>l
g1 g1
0
El
EJ
<i>l
El
El
<i>I
-«l : .
C\J :
....
:
IO ·
-«l :
0 :
....
:
....
:
:
Q)
g1
10
15
20
>i
25
Q(m3/s)
.- :
5
- - ---
Vedligeholdelseskurve
Kravkurve
Krav-
kurve
Vedligeholdelses-
kurve
Vandspejlskote
(m
DNN)
Vandføring
(m3/s)
Vandspejlskote
(m
DNN)
4.394
4.870
5.367
5.885
6.423
6.981
7.558
8.156
8.773
9.409
10.064
10.738
11.431
12.142
12.872
13.619
14.385
16.25
16.30
16.35
16.40
16.45
16.50
16.55
16.60
16.65
16.70
16.75
16.80
16.85
16.90
16.95
17.00
17.05
16.15
16.20
16.25
16.30
16.35
16.40
16.45
16.50
16.55
16.60
16.65
16.70
16.75
16.80
16.85
16.90
16.95
Regulativ for Odense
Å ,
marts
2004
MOF, Alm.del - 2019-20 - Endeligt svar på spørgsmål 397: Spm. om de gældende regulativer for Odense Å og Odense Fjord, til miljøministeren
2147327_0060.png
-
-
-
-
-
54 -
18.0
1
1--+..L...L.JL.L.L..L...L.JL.L.L..L...L.JL.L.L...._._L.L.L...,_._L.L.L...,_._L.L.L...,_._L.L.L...,_._.........,_...,_._L.L.L_.__._'-'--1-
H(m)
ODENSE
Å,
ST. 34793
/
,
17.5
.
·
/
/
/
/
/
~,.....
/
1/
'
/
:
.
.
:
.
:
.
.
/
1/
16.2
16.0
15.5
15.2
,..,,.., I
,,,_,..-
I
_,,,-r
I
,..- I
I
/,,,
I
I
/-1
I
I
/
I
I
I
/
I
I
I
/
I
I
I
/
I
I
I
/
I
I
I
..._ I
..._ I
oeijl
I
I
-<UJ
-<UJ
ol
C\I J
lOJ
.,....1
a,I
a,J
a,I
El
El
El
EJ
El
El
~I
~I
~I
0
-----
J,/
//
:
-<U :
lO :
O:
....
:
5
10
15
20
25
Q(m3/ s)
Vedligeholdelseskurve
Kravkurve
Krav-
kurve
Vedligeholdelses-
kurve
Vandspejlskote
(m
DNN)
Vandføring
(m3/s)
Vandspejlskote
(m
DNN)
11.025
11.729
12.450
13.187
13.942
14.714
15.502
16.307
17.128
17.965
18.818
19.687
20.572
21.472
22.388
23.319
24.265
16.95
17.00
17.05
17.10
17.15
17.20
17.25
17.30
17.35
17.40
17.45
17.50
17.55
17.60
17.65
17.70
17.75
16.85
16.90
16.95
17.00
17.05
17.10
17.15
17.20
17.25
17.30
17.35
17.40
17.45
17.50
17.55
17.60
17.65
Regulativ for Odense
A,
marts
2004
MOF, Alm.del - 2019-20 - Endeligt svar på spørgsmål 397: Spm. om de gældende regulativer for Odense Å og Odense Fjord, til miljøministeren
2147327_0061.png
-
16.0
- 55 -
ODENSE
Å,
ST. 35198
_
.Qx~-
~~Xf?!~~~l~e_
sg.ticB. ~~ ....
J
n
I
I
I
I
I
I
I
I
I
/ I
// I
/
I
1
I
1
I
1
I
/
I
/
I
/
I
.._I
-«l
I
Ni
El
El
~I
I
I
I
I
I
I
I
........ _ ; _"
_ .... ... ___ ......... _
,,,-:"'
,,,. :
,,,.,,,.
.
//
,,,-(
,,,. I
//
I
I/
I
/l
I
/ I
I
I
I
I
I
I
I
I
I
.._ I
I
I
I
Y
-«l
I
a51
lOi
El
El
~I
a51
I
I
I
I
I
I
I
I
-«il
o
I
.-,
a51
El
El
~I
I
I
I
5
-----
10
15
20
Vedligeholdelseskurve
Kravkurve
Krav-
kurve
25
Q(m3/s)
-
Vedligeholdelses-
kurve
Vandspejlskote
(m
DNN)
Vandføring
(m3/s)
4.243
4.733
Vandspejlskote
(m
DNN)
5.245
5.778
6.333
6.909
7.505
8.122
8.759
9.417
10.093
10.789
11.505
12.239
12.993
13.765
14.555
16.55
16.60
16.65
16.70
16.75
16.80
16.85
16.90
16.95
17.00
17.05
17.10
17.15
17.20
17.25
17.30
17.35
16.45
16.50
16.55
16.60
16.65
16.70
16.75
16.80
16.85
16.90
16.95
17.00
17.05
17.10
17.15
17.20
17.25
Regulativ for Odense
A,
marts
2004
MOF, Alm.del - 2019-20 - Endeligt svar på spørgsmål 397: Spm. om de gældende regulativer for Odense Å og Odense Fjord, til miljøministeren
2147327_0062.png
- 56 -
-
17 5
·
17.2
17.0
ODENSE
Å,
ST. 35698
I
I
I
I
I
I
I
..QY'.et~X~!T!~~l~e.sg~f-9. ~~ ...
J . . . . ./
n
/ I
i
I // I
I
I
[, /
I
/I
I
I / / I
I
/
I
I
/(
I
I
1
I
I
I
I
I
I
I
1
I
I
I
1
I
I
I
..
I
I
I
I
,t/
/
·:············••»:••····••-:••
:
:
:
:
:
:
:
:
:
:
.
:
:
:
:
:
:
i
:
:
:
.
-
16
2
.
I
16
·
00
I
15.7
/
I
;
/
-ro 1
C\J I
I
I
I
I
.._I
-CU J
I
I
I
I
.._I
I
I
I
I
~I
El
El
~I
0
-----
m
i
5
l.() J
El
El
~I
m
i
10
o l
-.- 1
El
El
~I
m
i
15
20
25
Q(m-3/s)
Vedligeholdelseskurve
Kravkurve
Krav-
kurve
Vedligeholdelses-
kurve
Vandspejlskote
(m
DNN)
16.45
16.50
16.55
16.60
16.65
16.70
16.75
16.80
16.85
16.90
16.95
17.00
17.05
17.10
17.15
17.20
17.25
Vandføring
(m-3/s)
2.645
3.058
3.495
3.956
4.441
4.948
5.478
6.030
6.604
7.200
7.816
8.454
9.112
Vandspejlskote
(m
DNN)
16.55
16.60
16.65
16.70
16.75
16.80
16,85
16.90
16.95
17.00
17.05
17.10
17.15
17.20
17.25
17.30
17.35
-
9.790
10.488
11.206
11.944
Regulativ for Odense
A,
marts
2004
MOF, Alm.del - 2019-20 - Endeligt svar på spørgsmål 397: Spm. om de gældende regulativer for Odense Å og Odense Fjord, til miljøministeren
2147327_0063.png
-
18.5
18.0
- 57 -
ODENSE
Å,
ST. 36338
I
I
I
I
I
I
I
I
I
.9Y~~~Y~- - - l~es_ fa:l_ _~ ...
J
~~e
g ns
__
_
<>r-__
... _
................... .
I
I
I
:r
I
I
,,,,,, :
I
I
I ,,,,,,
I
I
,,,-1
I
I
/
I
,,,.,,,,
I
I
)''
I
I
I
/ I
I
/
I
I
I/
I
I
/(
I
I
/ I
I
I
/
I
I
I
/
I
I
I
/
I
I
I
/
I
I
I
._I
._I
~ I
I
....
:
-
-
17.25
I
I
0
I
1
/
oC1J I
NI
mi
El
El
~I
l{)I
ml
El
El
~I
oC1JI
.--1
ml
El
El
~I
o l
oC1J :
C\I :
...
:
oC1J :
--
>:
--
>:
....
:
:
Q)
I{):
....
:
oC1J:
o:
.....
:
....
:
:
Q)
5
10
15
20
Q(m
3
/s)
25
-----
Vedligeholdelseskurve
Kravkurve
Krav-
kurve
Vedligeholdelses-
kurve
Vandspejlskote
(m
DNN)
Vandføring
(m
3
/s)
Vandspejlskote
(m
DNN)
3.006
3.467
3.960
4.487
5.047
5.640
6.266
6.926
7.619
8.345
9.104
9.897
10.723
11.582
12.475
13.401
14.361
17.80
17.85
17.90
17.95
18.00
18.05
18.10
18.15
18.20
18.25
18.30
18.35
18.40
18.45
18.50
18.55
18.60
17.70
17.75
17.80
17.85
17.90
17.95
18.00
18.05
18.10
18.15
18.20
18.25
18.30
18.35
18.40
18.45
18.50
Regulativ for Odense
A,
marts
2004
MOF, Alm.del - 2019-20 - Endeligt svar på spørgsmål 397: Spm. om de gældende regulativer for Odense Å og Odense Fjord, til miljøministeren
2147327_0064.png
-
-
- 58 -
1
9. 0
J-+-L.....__._._._._..,_,__,__,__,_.......__._........,_._._.__._._,'-'---'-
.,_,_,_........,_.,_._._-'--'-._._._..,_,._,__,__,_.._._......__._'---'-+-
l
I
H(m)
ODENSE
Å,
ST. 36791
I
I
I
g ~
,. '.. ····••·••····:········:··········
_
Qye_ v "rT1t!~~-~- f-~ - ~~.
rs_
7
I
I
/
I
I
,,/-/
I
I
// I
··l··
I
I
I
18.2
18.0
/
/
/
I
I
I
I
/
/ I
I
I
I
I
I
I
I
)/
/
/
1/
/
//1
/
/
/
/
/
/
/
-«l
I
C\J
I
._I
-<Ol
-<Ol
17.2
m
l
El
El
5
i.o1
ol
m
1
01
,.... I
~I
El
El
m
1
El
El
-«l :
....
:
C\J :
Cl)
~I
>i
15
20
Q(rn3/s)
....
:
:
Q)
.....
·
.
C
0
-----
10
25
Vedligeholdelseskurve
Kravkurve
Krav-
kurve
Vedligeholdelses-
kurve
Vandspejlskote
(m
DNN)
-
-
Vandføring
(rn3/s)
Vandspejlskote
(m
Df\l\J)
2.560
2.978
3.425
3.902
4.408
4.943
5.507
6.100
6.721
7.370
8.047
8.753
9.486
10.247
11.036
11 .852
12.696
17.90
17.95
18.00
18.05
18.10
18.15
18.20
18.25
18.30
18.35
18.40
18.45
18.50
18.55
18.60
18.65
18.70
17.80
17.85
17.90
17.95
18.00
18.05
18.10
18.15
18.20
18.25
18.30
18.35
18.40
18.45
18.50
18.55
18.60
Regulativ for Odense
A,
marts
2004
MOF, Alm.del - 2019-20 - Endeligt svar på spørgsmål 397: Spm. om de gældende regulativer for Odense Å og Odense Fjord, til miljøministeren
2147327_0065.png
-
18.7
- 59 -
ODENSE
Å,
ST. 37305
. _Qye_
~s_vø.rr,rp_l?~s_r_ce_~E3 ..
J. ...... ____ ......,,. .. .
e
g n
I
I
I
I
I
I
I
I
I
I
I
I
I
I
I
I
I
I
I
I
I
//
/
I
I
I
: /
.
/
/(
I/
I
I
I
I
//
-
17.5
/
/I
/ I
/
I
/
I
/
I
1
I
/
I
/
... I
•CCS I
1
C\I
I
v
//
/
'551
0
-----
El
El
cii l
I
I
I
I
I
I
I
I
I
I
... I
oCCS I
LO
I
/l
I/
'551
10
El
El
cii l
I
I
I
I
I
I
I
I
I
I
-co l
o l
...... I
'551
El
El
øl
•C'CS :
C\I :
Q)
'- ·
>i
--
.... .
5
15
20
25
Q(m3/s)
Vedligeholdelseskurve
Kravkurve
Krav-
kurve
Vedligeholdelses-
kurve
Vandspejlskote
(m
DNN)
18.1 0
18.15
18.20
18.25
18.30
18.35
18.40
18.45
18.50
18.55
18.60
18.65
18.70
18.75
18.80
18.85
18.90
Vandføring
(m3/s)
3.477
3.954
4.459
4.990
5.548
6.132
6.741
7.377
8.038
8.724
9.436
10.172
10.932
11.717
12.527
13.360
14.217
Vandspejlskote
(m
DNN)
18.20
18.25
18.30
18.35
18.40
18.45
18.50
18.55
18.60
18.65
18.70
18.75
18.80
18.85
18.90
18.95
19.00
-
Regulativ for Odense
Å,
marts
2004
MOF, Alm.del - 2019-20 - Endeligt svar på spørgsmål 397: Spm. om de gældende regulativer for Odense Å og Odense Fjord, til miljøministeren
2147327_0066.png
- 60 -
ODENSE
Å,
ST. 37642
I
I
I
:
~
I
:
·
:
I
.Qx~.~~X~~~elsesg f.l:!n~~ ....
J... . ..:. .............. :..... ·........ .
I
I
,,/
:
:
I
I
I ,,,
I
I
,.-f,,.,.
I
I
,,.,.
I
//
I
I/
I
I
/ I
//
I
V
I
/1
I
/ 1
I
/
I
I
/
I
I
I
I
I
1
I
I
/
I
I
/
I
I
/
I
I
I
..._
I
..._ I
~I
..._ :
-ro1
-ro I
ol
-ro :
C\J I
IOI
.--I
0:
ci5 1
ci51
ci51
..._ :
El
El
El
(1) :
El
El
El
C ·
01
01
Cl)
Cl)
Cl)
/r
18.2
17.5
o,
5:
5
10
15
20
-----
Vedligeholdelseskurve
Kravkurve
Krav-
kurve
25
Q(rn3/s)
Vedligeholdelses-
kurve
Vandspejlskote
(m
DNN)
Vandføring
(m3/s)
Vandspejlskote
(m
DNN)
-
2.765
3.200
3.662
4.152
4.668
5.211
5.780
6.374
6.995
7.640
8.310
9.005
9.725
10.469
11.236
12.028
12.843
18.25
18.30
18.35
18.40
18.45
18.50
18.55
18.60
18.65
18.70
18.75
18.80
18.85
18.90
18.95
19.00
19.05
18.15
18.20
18.25
18.30
18.35
18.40
18.45
18.50
18.55
18.60
18.65
18.70
18.75
18.80
18.85
18.90
18.95
Regulativ fo r Odense
A,
marts
2004
MOF, Alm.del - 2019-20 - Endeligt svar på spørgsmål 397: Spm. om de gældende regulativer for Odense Å og Odense Fjord, til miljøministeren
2147327_0067.png
- 61 -
20. 001--f-L..J...J...JW-L..L...L....l-'--'-.L...L...l.-'-'-L-1...J...-'-'--'---L
I
I..J...J...Ju....L..J.....,Li-'--'-1.....1-L-'--'-'W-L-'--'-'.....I-L.L...L...l.+-
H(m)
ODENSE
Å,
ST. 38026
I
I
I
I
I
I
I
.9Y~.~~.:'~1!d~!~~-
'
~g{~ .n~El .. .:...... ·;;-: .............. ·: ....... :·.......... .
19.5
18.5
/ I
I
/
I
1
I
/
I
1
I
/
I
I
~I
/
o<tl
I
/
Ni
/
/
/
ci>I
1.,,,,.,,,,
/1
/ I
/
I
)/
I
I
I
I
I
I
I
I
I
I
I
.,,,,
1
,./
.,,,,,..,,
/
I
I
I
I
I
I
I
~I
o<tl
I
lDI
~ I
o l
.--1
ci>I
~.
El
El
El
(l) :
.....
El
El
El
C :
~I
~I
~I
18.251-+-r--r-r-,-r-rm-+-r-m-r+,rr,-m-,,..,...m--,--,-,.-r-rm~..-.-...,........,.............-,-,--,-+-
0
5
10
15
20
25
Q(m3/s)
ci> I
>:
-----
Vedligeholdelseskurve
Kravkurve
Krav-
kurve
Vedligeholdelses-
kurve
Vandspejlskote
(m
DNN)
18.75
18.80
18.85
18.90
18.95
19.00
19.05
19.10
19.15
19.20
19.25
19.30
19.35
19.40
19.45
19.50
19.55
Vandføring
(m3/s)
1.568
1.913
2.298
2.722
3.186
3.691
4.237
4.826
5.457
6.132
6.850
7.613
8.420
Vandspejlskote
(m
DNN)
18.85
18.90
18.95
19.00
19.05
19.10
19.15
19.20
19.25
19.30
19.35
19.40
19.45
19.50
19.55
19.60
19.65
2 004
-
9.273
10.172
11.117
12.109
Regulativ for Odense
A,
marts
MOF, Alm.del - 2019-20 - Endeligt svar på spørgsmål 397: Spm. om de gældende regulativer for Odense Å og Odense Fjord, til miljøministeren
2147327_0068.png
-
62 -
-
H(m)
20. 25,-1-L--L...L...J'-'-'-.,_,._,,-'-1-'--'-'-'--'--'-'-'-'---'--'-'-'--1
--'-L...J'-'-'-.,_._.,-'-'-.I....L.L-'-,.J.....J'-'-'---'-'-'-'-'-J-J....L+-
1
I
I
I
. .9Y.~.~~X~ITlrJD_lse;5gr_e_~~ .. I... .................... .
e
c n
I ; I
I
20.00
I ;
I
I
;
I
I
I;
I
I
Y
I
I
li
I
I
/ I
I
/
/
/
I
I
I
I
I
I
I
I
I
I
I
I
I
I
I
I
I
I
I
I
I
I
1
I
I
ODENSE
Å,
ST. 38572
/
/
/
/
I
/
/
/
/
/
/
,.._
I
-m1
C\J I
El
El
El
Cl)
El
El
El
C
~I
~I
~I
18,75,-h-~~~-+-,-m---,.--r-r--r-r-,-+-r--m---,-,-.--,-,--r-r-,~m.,....,.....--r-r--r-r-,.......+-
o
5
10
15
20
25
Q(m3/s)
- - -- -
Vedligeholdelseskurve
a,I
,.._ I
-m l
LO!
a,I
~I
ol
.....
,
a,I
om
,.._
,.._
-
>
C\J
Kravkurve
Krav-
kurve
Vandføring
(m3/s)
0.445
0.635
0.848
1.085
1.342
1.619
1.915
2.230
2.561
2.910
3.276
3.657
4.054
4.466
4.892
5.333
5.788
Vandspejlskote
(m DNN)
19.20
19.25
19.30
19.35
19.40
19.45
19.50
19.55
19.60
19.65
19.70
19.75
19.80
19.85
19.90
19.95
20.00
Vedligeholdelses-
kurve
Vandspejlskote
(m DNN)
19.10
19.15
19.20
19.25
19.30
19.35
19.40
19.45
19.50
19.55
19.60
19.65
19.70
19.75
19.80
19.85
19.90
-
Regulativ for Odense
Å ,
marts
2004
MOF, Alm.del - 2019-20 - Endeligt svar på spørgsmål 397: Spm. om de gældende regulativer for Odense Å og Odense Fjord, til miljøministeren
2147327_0069.png
-
-
-
-
- 63 -
20.75
J,, , , , , , , , / , , , , ,
1'
I
I
H(m)
ODENSE
Å,
ST. 38976
, , ,
1, ,
1 , , , , , ,
'
1,,, , , , , , , 1 , , , , , , , , ,
I
0.So-1
2
Qversv~l/ ,'?/"''"~~.
I
I
_ ................ .
I_
20.25
I
I
I
I
·~
I
li
20.0
I
19.7
'I
I
I
I
I
I
I
19.5(}j //
1,
19.2J/
~ I
C\J
I
o(O
'-
LO
'-
I
I
I
I
I
I
~ I
ol
I
I
19.00 1
01
Cl)
I
<i,I
El
El
<I>
Cl)
0
E
E
1C
<i, I
El
El
~I
..-1
o(t
-
>
(Il
...
C\I
...
c
o(O
'-
'-
o(O
-
-
>
>
LO
'-
......
<I>
C
0
<I>
C
'-
0
-----
5
15
20
Q(m3/ s)
25
r
Vedligeholdelseskurve
Kravkurve
Krav-
kurve
Vedligeholdelses-
kurve
Vandspejlskote
(m
DNN)
Vandføring
(m3/s)
Vandspejlskote
(m
DNN)
1.265
1.468
1.686
1.920
2.170
2.436
2.719
3.018
3.333
3.665
4.014
4.380
4.762
5.162
5.578
6.012
6.462
19.75
19.80
19.85
19.90
19.95
20.00
20.05
20.10
20.15
20.20
20.25
20.30
20.35
20.40
20.45
20.50
20.55
19.65
19.7C
19.75
19.8C
19.85
19.9C
19.95
20.0C
20.05
20.1C
20.15
20.2C
20.25
20.3C
20.35
20.4C
20.45
Regulativ for Odense
Å,
marts 2004
MOF, Alm.del - 2019-20 - Endeligt svar på spørgsmål 397: Spm. om de gældende regulativer for Odense Å og Odense Fjord, til miljøministeren
2147327_0070.png
- 64 -
H(m)
21 .0v+..L-L...1-'-'---'-'--'-........._'--1....L..,___.__.__.__,__.L..L...L--'-:'-I-'-'--'---'--'-' ,-LJ.....L-L...1-'-'--J...J.-L........._....,__,_--'-'-'-'--'-+--
I
I
I
1
................. _._ .. __
i_ ._.
ODENSE
Å,
ST. 39463
I
1
_ ~- ~x~~t -1~~- - r.~- ~~ ..
Q\.' ~
~ ~ ~
q
20.5
20.2
;I
/ I
; I
/
I
/
I
/
I
/
I
/
I
/
I
/
I
/
I
/
I
/
I
/
I
/
I
/
I
__
:
:
:
:
:
:
19.5
I
I
-ro1
C\J
I
.._ I
øl
-ro1
lOI
....
~ I
ol
~ I
El
El
5
øl
.--1
-ro:
C\J
.... :
~I
El
El
10
øl
El
El
~ I
>
15
20
25
Q(m3/s)
c
....
Q)
O:
-----
Vedligeholdelseskurve
Kravkurve
Krav-
ku rve
Vedligeholdelses-
kurve
Vandspejlskote
(m
DNN)
Vandføring
(m3/s)
Vandspejlskote
(m
DNN)
0.817
0.955
1.104
1.265
1.438
1.623
1.820
2.030
2.251
2.484
2.730
2.989
3.260
3.543
3.839
4.148
4.470
19.80
19.85
19.90
19.95
20.00
20.05
20.10
20.15
20.20
20.25
20.30
20.35
20.40
20.45
20.50
20.55
20.60
19.70
19.75
19.80
19.85
19.90
19.95
20.00
20.05
20.10
20.15
20.20
20.25
20.30
20.35
20.40
20.45
20.50
Regulativ for Odense
A,
marts
2004
MOF, Alm.del - 2019-20 - Endeligt svar på spørgsmål 397: Spm. om de gældende regulativer for Odense Å og Odense Fjord, til miljøministeren
2147327_0071.png
- 65 -
-
-
H(m)
21 .2~ ..I....L..J-'-L.l-l..-.L....W...LLL..1....L..Jl-'-L.J....l....J.....W...'-'-'-...L...1....,L.-L-L..1....L..J-'-L.l.,..L...L....W...1-1-L..1....L..JL.L.L.f-
I
l
I
ODENSE
Å,
ST. 40066
I
21.00 ..Qye_ vørr1~ _)~~-
rs_
e ~~r~. ~~ __
n
I
I
I
I
1
i_____ ._
.............. _. _, ___________ .......... _
1
1
I
/
/
/
/
I
I
I
/
/
I
/
/
I
I
/
/
oCtl
I
C\J
I
....
19.50
~ I
øl
El
El
øl
El
El
01
(/)
I
I
I
I
I
I
I
I
I
I
I
I
I
I
I
I
.._ I
oCtl
I
i.o1
I
I
om l
~ I
.--1
øl
El
El
ol
oCtl
C\J
....
....
C
oCtl :
lO .
....
:
oCtl :
.- :
.... :
-
>
<I>
-~ :
:
--
--
>:
....
:
:
Q)
....
:
:
Q)
O:
5:
0
5
10
15
20
25
Q(m3/s)
-----
Vedligeholdelseskurve
Kravkurve
Krav-
kurve
Vedligeholdelses-
kurve
Vandspejlskote
(m
DNN)
19.85
19.90
19.95
20.00
20.05
20.10
20.15
20.20
20.25
20.30
20.35
20.40
20.45
20.50
20.55
20.60
20.65
Vandføring
(m3/s)
0.130
0.179
0.239
0.310
0.392
0.486
0.593
0.712
0.846
0.994
1.156
1.334
1.527
1.737
1.963
2.206
2.466
Vandspejlskote
(m
DNN)
20.15
20.20
20.25
20.30
20.35
20.40
20.45
20.50
20.55
20.60
20.65
20.70
20.75
20.80
20.85
20.90
20.95
Regulativ for Odense
Å,
marts
2004
MOF, Alm.del - 2019-20 - Endeligt svar på spørgsmål 397: Spm. om de gældende regulativer for Odense Å og Odense Fjord, til miljøministeren
2147327_0072.png
-
-
-
-
- 66 -
25.00
- - - - t - - ' " ~ ~ ~ ~........................" . ' - ' - ~ ~ ~
~_._._,.,_._'-'-''--'--'---'----.--'--'--'---'--'-....1......J..-+-
1
H(m)
ODENSE
Å,
ST. 44075 m
I
I
I
I
1
.. y~~~Y. .rn. n. !~es_ r_ f_ s ~ _,, ... : ........... ) ...... _____ ................... .
~ r +
g c n_
I
I //
I
:
I /
I
:
I
)./
I
.
I
/
I
I
/
I
24.50
I /
I
I /
I
I
; I
I
/ I
I
I
I
I
1
I
I
1
I
I
/
I
I
/
I
I
/
I
I
/
I
I
._I
/
I
24.75
l
/
/
/
/
/
'- I
oeol
~I
'- I
oeol
~I
oeo1
01
':I
a, I
,!::
23.501---+-r--.-r.....-r-.--r'~ ...,...,....,..,,,,.,- 'r-,,-,-.-"TL+---,-,,--,,,....~r""T"',-.",-.-,.----r"T-,-,.......+
0
5
10
15
20
3
Q(m /s)
51 51
E1
<1>1
E1
<1>1
(\J .
51
E1
.....
<l> :
......
-----
Ved ligeholdelsesku
Ne
KravkuNe
Krav-
kurve
Vedligeholdelses-
kurve
Vandspejlskote
(m DNN)
23.65
23.70
23.75
23.80
23.85
23.90
23.95
24.00
24.05
24.10
24.15
24.20
24.25
24.30
24.35
24.40
24.45
Vandføring
(m
3
/s)
0.244
0.371
0 .523
0.702
0.905
1.134
1.388
1.667
1.971
2.300
2.654
3.033
3.436
3.864
4 .316
4.793
5.294
Vandspejlskote
(m DNN)
23.95
24.00
24.05
24.10
24.15
24.20
24.25
24.30
24.35
24.40
24.45
24.50
24.55
24.60
24.65
24.70
24.75
2 00 4
Regulativ for Odense
A,
marts
MOF, Alm.del - 2019-20 - Endeligt svar på spørgsmål 397: Spm. om de gældende regulativer for Odense Å og Odense Fjord, til miljøministeren
2147327_0073.png
- 67 -
-
25.0
ODENSE
Å,
ST. 44669
I
I
I
I
I
I
I
I
.. Y~rs.vø.n,_n,~ls.e.s. r. l.n.s~ ...... l ............: ............. :··· ·;..~
gq
I
I
I
. _,,, .
I
I
I
_,,,;.---
:
/ .
.
I
I
_,,,.,,-
:
:
I
I
. .,,-
:
_,,-<
:
I
I
I
I
I ,,,,,,,,
I
J,/
I
,,,,,,,,
I
I ,,,,,,
-
-
-
/
/
/
/
/
/
/
/
/
/f
I
/
I/ /
I
I
I
I
I
I
/i/
I
I
I
I
I
I
I
I
"- I
-ml
~I
24.0
/
-ml
~I
<ll l
..... J
§1
5
E1
§1
10
15
Q(m
3
/s)
20
E1
<lll
om:
1o... :
om:
C\J:
LO:
O:
T"" :
.....
:
-----
Ved Iigeholdelsesku rve
Kravkurve
Krav-
kurve
Vedligeholdelses-
kurve
Vandspejlskote
(m
DNN)
Vandføring
(m
3
/s)
Vandspejlskote
(m
DNN)
3.095
3.490
3.909
4.353
4.821
5.315
5.833
6.376
6.945
7.538
8.157
8.801
9.470
10.165
10.885
11.630
12.401
24.85
24.90
24.95
25.00
25.05
25.10
25.15
25.20
25.25
25.30
25.35
25.40
25.45
25.50
25.55
25.60
25.65
24.55
24.60
24.65
24.70
24.75
24.80
24.85
24.90
24.95
25.00
25.05
25.10
25.15
25.20
25.25
25.30
25.35
Regulativ for Odense
Å,
marts 2004
MOF, Alm.del - 2019-20 - Endeligt svar på spørgsmål 397: Spm. om de gældende regulativer for Odense Å og Odense Fjord, til miljøministeren
2147327_0074.png
-
-
- 68 -
26.
0
H(m)
ODENSE
Å,
ST. 45232
...........
_._..__._.._.......,_.L.J.._L---'----''--'--,Jc....J-l--'--.L-'--..L-+-
,
I
J-j--'--'-'_.___._.___.--'-:-'--'-----'-----'------'-~1
~
I
I
.. \/~r~.v. .~ - , ,~e.s_ r_ n_ ~ ......
r........... ·:·,,.-.......
~ ~
g, s
I
I
I
,,..--':
I
I ,,..,,,..-
:
I
1
24.7
24.00
I
/
I
I
J,-.,,
/I
I // I
I/
I
/(
I
/ I
I
/
I
I
1
I
I
/
I
I
;
I
I
/
I
I
/
I
I
/
I
I
/
~,
~1
I
I
I
/
I
.,/
I
/
I
/
:
:
:
om l
~I
El
El
ol
oml
~I
El
El
ol
~ ,
I
I
I
I
I
I
I
I
I
I
I
I
I
o1
::1
El
El
ol
om:
~:
C\J:
5
10
15
-----
Ved Iigeholdelsesku rve
Kravkurve
Krav-
kurve
20
Q(m
3
/s)
Vedligeholdelses-
kurve
Vandspejlskote
(m DNN)
24.55
24.60
24.65
24.70
24.75
24.80
24.85
24.90
24.95
25.00
25.05
25.10
25.15
25.20
25.25
25.30
25.35
-
-
Vandføring
(m
3
/s)
1.748
2.033
2.339
2.666
3.015
3.385
3.775
4.187
4.621
5.075
5.550
6.047
6.564
7.103
7.662
8.243
8.844
Vandspejlskote
(m DNN)
24.85
24.90
24.95
25 .00
25.05
25.10
25.15
25.20
25.25
25.30
25.35
25.40
25.45
25.50
25.55
25.60
25.65
2004
Regulat i v for Odense
Å,
marts
MOF, Alm.del - 2019-20 - Endeligt svar på spørgsmål 397: Spm. om de gældende regulativer for Odense Å og Odense Fjord, til miljøministeren
2147327_0075.png
-
I
I
- 69 -
ODENSE
Å,
ST. 46277
lQ\le_ ~rni:n. !~~-~g.r.<??.r:i. ~ ...
.I. .......... ;"/ ...... .... .
rs_v_ ~
~
I
I
I
I
I
I
I
I
/(
I
I
I
I
I
I
I //
/ :
,,;r
·v
// I
/
/
/
//
/
/I
-
-
-
I/
/
/1
I
/
I
/
I
/
I
'-I
I
;
-<tl
C\J I
i/
.... I
<1>
I
-<tl
LC)I
I
I
I
I
I
'-i
:
~I
51 51
2.5
5.0
E1
.... I
<1>
I
E1
:
Q)I
1
51
7 .5
E1
01
-<tl
....
C\J
....
-<tl :
lC):
-
-<tl
,-
....
0
10.0
12.5
15.C
Q(m3/s)
-----
VedligeholdelseskuNe
KravkuNe
Krav-
ku rve
Vedligeholdelses-
kurve
Vandspejlskote
(m
DNN)
Vandføring
(m3/s)
Vandspejlskote
(m
DNN)
1.669
1.936
2.220
2.521
2.840
3.176
3.529
3.899
4.286
4.688
5. 108
5.543
5.995
6.462
6 .945
7.445
7.959
Regulativ for Odense
25.35
25.40
25.45
25.50
25.55
25.60
25.65
25.70
25.75
25.80
25.85
25.90
25.95
26.00
26.05
26.10
26.1 5
25.25
25.3C
25.35
25.4C
25.45
25.5C
25.55
25.6C
25.65
25.7C
25.75
25.8C
25.85
25.9C
25.95
26.0C
26.05
A,
marts 2004
MOF, Alm.del - 2019-20 - Endeligt svar på spørgsmål 397: Spm. om de gældende regulativer for Odense Å og Odense Fjord, til miljøministeren
2147327_0076.png
-
-
70 -
26.
7 :-,-t-~~'-L...L~-'--'--'--'-'-~'-L...L~'-'-'--
-'--'--'-'--'-.L..L-L-'--L-'-L...L..L..L.'~-'-'-'-'-'-1-
1
26.50
I
I
.
Qy~~~Y~!n~__
e l:5~5K.1
r.ce__~ ........ _
_
ns
1.......... :.
-
1
H(m)
ODENSE
Å,
ST. 46798
I
.
I
.
I
I
I
I
I
I
/
I//
I
I
I
I
I
I
I
I
1
I ,,.,/
/
/(
,,.,
,,.,/
_,,/
.,,,.,,, :
I
I _,,,,,,
:
-i"
1
:,,,
. . . . . . . • • . . . : • • . . . . . . _:_ . .
:
:
:
:
:
:
:
i
:
:
:
:
:
:
:
i
I
//J
/
I
I
1
/
I
I
I
I
'-
I
-ro
I
~I
<1>
I
I
I
I
I
I
I
I
I
I
I
i
51 51
2.5
- - -- -
E1
I
I
..._ I
-ro
I
~I
<1>
I
E1
5.0
7.5
10.0
12.5
Q(m3/s)
Vedligeholdelseskurve
Kravkurve
Krav-
kurve
Vedligeholdelses-
kurve
Vandspejlskote
(m
DNN)
25.45
25.50
25.55
25.60
25.65
25.70
25.75
25.80
25.85
25.90
25.95
26.00
26.05
26.10
26.15
26.20
26.25
-
-
Vandføring
(m3/s)
1.125
1.368
1.631
1.913
2.213
2.531
2.866
3.218
3.587
3.972
4.374
4.792
5.225
5.673
6.137
6.615
7.109
Vandspejlskote
(m
DNN)
25.55
25.60
25.65
25.70
25.75
25.80
25.85
25.90
25.95
26.00
26.05
26.10
26.15
26.20
26.25
26.30
26.35
Regulativ for Odense
A,
marts
2004
MOF, Alm.del - 2019-20 - Endeligt svar på spørgsmål 397: Spm. om de gældende regulativer for Odense Å og Odense Fjord, til miljøministeren
2147327_0077.png
-
-
-
-
- 71 -
ODENSE
Å,
ST. 47398
I
I
I
:
Q11e_
rs_v~t.rn.~_l~~$r~.n_~ __ _ .
-1-... ·-;;,,, .
!
......... .
s
____
26.75
I
I
/,,,,
:
I
I
)/
:
I
I
,,,,,,,,1
I
I
,,/
I
I
I
/
I
I
//
I
I
) /
I
I
/ I
I
26.2
/
I
I
1//
I
I
A'
I
I
1
I
I
I
26.0
1
I
I
I
/
I
I
I
;
I
I
I
/
I
I
I
/
I
I
I
/
I
I
I
/
I
I
I
25.50
I
I
._I
'-I
'-I
o<tll
oCtl
I
oCtl
I
o
I
~I
~I
:::1
25.2
a>I
a>1
a> I
E1
E1
E1
§1
§1
§1
2.5
5.0
7.5
10.0
12.5
Q(m3/s)
-----
Vedligeholdelseskurve
Kravkurve
Krav-
kurve
Vedligeholdelses-
kurve
Vandspejlskote
(m
DNN)
25.90
25.95
26.00
26.05
26. 10
26.15
26.20
26.25
26.30
26.35
26.40
26.45
26.50
26.55
26.60
26.65
26.70
Vandføring
(m3/s)
1.024
1.233
1.461
1.708
1.973
2.256
2.558
2.877
3.215
3.571
3.944
4.336
4.745
5.172
5.616
6.078
6.558
Vandspejlskote
(m
DNN)
26.00
26.05
26.10
26.15
26.20
26.25
26.30
26.35
26.40
26.45
26.50
26.55
26.60
26.65
26.70
26.75
26.80
2004
Regulativ for Odense
A,
marts
MOF, Alm.del - 2019-20 - Endeligt svar på spørgsmål 397: Spm. om de gældende regulativer for Odense Å og Odense Fjord, til miljøministeren
2147327_0078.png
-
-
-
-
- 72 -
ODENSE
Å,
ST. 47869
27.00,--+-'--'--'--'-'-'-J....J...J.-'-'--LJ-L..J....W...J...J.....L...J.....l-1...J_J....J...J...J....W._._,_..L...J.....l_,_._J....J...J....J...-L-LJ-L..J....W-'-1--
Q\/e_ ø,t,~. . ~d.gr.~.n_e ... .
-r.: ............ [
rs_v_ el
s
H(m)
I
I
I
I
I
I
I
I
I
I
1
/ I
/ I
I
I
I
I
I
I
I
I
I
"- I
o('!jl
~I
a,I
J
I/
/
/
)/
/ I
I
//
/
/
//
/
/
/
/
/
/
51 51
2.5
-----
E1
"- I
o('!jl
~I
a,I
E1
I
I
I
I
I
I
I
I
._I
o('!j l
0 1
::::1
a,I
I
I
I
I
I
I
I
I
I
I
I
I
.
51
5.0
7.5
10.0
12.5
Q(rn3/s)
E1
Vedligeholdelseskurve
Kravkurve
Krav-
kurve
Vedligeholdelses-
kurve
Vandspejlskote
(m
DNN)
Vandføring
(rn3/s)
Vandspejlskote
(m
DNN)
0.335
0.466
0.617
0.787
0.976
1.183
1.409
1.652
1.912
2.191
2.486
2.798
3.127
3.473
3.835
4.214
4.609
26.05
26.10
26.15
26.20
26.25
26.30
26.35
26.40
26.45
26.50
26.55
26.60
26.65
26.70
26.75
26.80
26.85
25.95
26.00
26.05
26.10
26.15
26.20
26.25
26.30
26.35
26.40
26.45
26.50
26.55
26.60
26.65
26.70
26.75
Regulativ for Odense
A,
marts
2004
MOF, Alm.del - 2019-20 - Endeligt svar på spørgsmål 397: Spm. om de gældende regulativer for Odense Å og Odense Fjord, til miljøministeren
2147327_0079.png
- 73 -
ODENSE
Å,
ST. 48396
27.50
27.2
27.0
26.7
26.5
26.2
26.0
Q11ersv~r.rne_ gr.~ .r:i~~ .......
·f ....
l~~l
I
I
,,,
I
I
.r.,.-
1
I
.,.-.,.-I
I
I
,,,/
I
I
I
,,.
I
,,.,,.
I
I
I
,,.V
I
I
/ I
I
/
I
I
1//
I
I
11
I
I
/ I
I
I
/ I
I
I
1
I
I
I
/
I
I
I
/
I
I
I
I
I
I
~I
-<tl l
I
~1
~1
-<tl
I
-<tl
I
o
I
':I
~I
~I
<ll
I
<ll
I
<ll
I
I
I
I
I
I
I
>,,,.: ...............: ......
··:··
... .
o(tl :
~ :
E1
E1
E1
~I
~I
~I
2.5
-----
5.0
7.5
10.0
Q(m3/s)
12.5
Vedligeholdelseskurve
Kravkurve
Krav-
kurve
Vedligeholdelses-
kurve
Vandspejlskote
(m
DNN)
-
Vandføring
(m3/s)
Vandspejlskote
(m
DNN)
0.939
1.146
1.372
1.616
1.878
2.158
2.455
2.769
3.100
3.448
3.813
4.194
4.591
5.005
5.434
5.880
6.341
26.55
26.60
26.65
26.70
26.75
26.80
26.85
26.90
26.95
27.00
27.05
27.10
27.15
27.20
27.25
27.30
27.35
26.45
26.50
26.55
26.60
26.65
26.70
26.75
26.80
26.85
26.90
26.95
27.00
27.05
27. 10
27. 15
27.20
27.25
Regulativ for Odense
Å,
marts
2004
MOF, Alm.del - 2019-20 - Endeligt svar på spørgsmål 397: Spm. om de gældende regulativer for Odense Å og Odense Fjord, til miljøministeren
2147327_0080.png
- 74 -
H(m)
2 8.01 1-t-..L..L..J-'--'--,.__.__._....._._._.__._-'--'--'___.__._,.__.__._....._._1._.__._-'--'--''--'.--'-..L..L..J--'-'-.L-1..+...L..L.L...L.-L..L..L..J---'--'-+-
I
I
I
I
.
. .
'!_e_
r~v~lnrne_
.. l~e,~g(~.f:1. ~ ..... _......... .; ...............
~
1
_
1
1
/ .
.
.,,,. .,,,. :
.
I
I
I
I
J ., ,.
:
I
I
.,,,. I
:
I
I
// I
:
I
I
/
I
:
I
//
I
:
)/
I
:
I
I
/ I
I
I / I
I
/
I
I
)/
I
I
/ I
I
I
/ I
I
I
/
I
I
I
1
I
I
I
/
I
I
I
/
I
I
I
/
I
I
I
~1
~1
~1
-<Il
I
-<Il
I
-<Il
I
~I
~I
~I
(1)1
(1)1
(1)1
E1
E1
E1
ODENSE
Å,
ST. 48898
i....... ).......... .
.
:
:
-
26.5
26.0ll-+~ ~?4-r~ ~ ~ ~ m..UJ.~~_,,;..,....m~,.......;,.~,....._;_,_m--.--.-l=-
O,O
2.5
5.0
7.5
10.0
12.5
Q(m3/s)
-----
51 51
51
Vedligeholdelseskurve
Kravkurve
Krav-
kurve
Vedligeholdelses-
kurve
Vandspejlskote
(m
DNN)
26.80
26.85
26.90
26.95
27.00
27.05
27. 10
27. 15
27.20
27.25
27.30
27.35
27.40
27.45
27.50
27.55
27.60
Vandføring
(m3/s)
1.090
1.306
1.539
1.789
2.057
2.341
2.643
2.960
3.294
3.644
4.010
4.393
4.790
5.204
5.633
6.077
6.537
Vandspejlskote
(m
DNN)
26.90
26.95
27.00
27.05
27.10
27.15
27.20
27.25
27.30
27.35
27.40
27.45
27.50
27.55
27.60
27.65
27.70
-
Regulativ for Odense
A,
marts
2004
MOF, Alm.del - 2019-20 - Endeligt svar på spørgsmål 397: Spm. om de gældende regulativer for Odense Å og Odense Fjord, til miljøministeren
2147327_0081.png
-
-
-
- 75 -
H(m)
28. 2 ~
ODENSE
Å,
ST. 49402
I
I
I
I
I
I
I
I
..1.....1....1_L..J...~--'---'-L..L.LI---LJ._J'-'--'-..l.....l....1--'---'-L..L.L..L..J-L....1,J....1.....1....1-'-'--.L..L.-L...L.LL..J...L..1.....1....1_L..J...-1-
I
1
I
I
I
I
I
I//
I
__ ~~-~~- ~Mi:i:-i. !~~~- _r_~ __El ___
v
~
g ns _
,,,..
j ___ _-_; - ~ _____ ._ ______ ;__ ._______ _
__
...... ;. ..
1,,/·
.,,-
I
.
·
,,,..1
:
·
i
:
·
i
,,,..
,,,..,,,..
I
I
/ I
)/
/
/
27.0
/
I
/
/
/
/
I
26.5
I
I
I
I
I
I
I
,._I
-ro
I
~I
<l>
I
E1
§1
I
I
I
I
I
I
I
I
I
I
I
,._I
-ro
I
~I
<l>
I
E1
/1
§1
5.0
7.5
10.0
12.5
Q(m-'3/s)
2.5
-----
VedligeholdelseskuNe
KravkuNe
Krav-
kurve
Vedligeholdelses-
kurve
Vandspejlskote
(m
DNN)
Vandføring
(m-'3/s)
Vandspejlskote
(m
0.892
1.091
1.308
1.544
1.797
2.067
2.354
2.659
2.980
3.318
3.672
4.043
4.430
4.833
5.251
5.686
6.136
Df\l\J)
27.15
27.20
27.25
27.30
27.35
27.40
27.45
27.50
27.55
27.60
27.65
27.70
27.75
27.80
27.85
27.90
27.95
27.05
27.10
27.15
27.20
27.25
27.30
27.35
27.40
27.45
27.50
27.55
27.60
27.65
27.70
27.75
27.80
27.85
Regulativ for
Odense
A,
marts 2004
MOF, Alm.del - 2019-20 - Endeligt svar på spørgsmål 397: Spm. om de gældende regulativer for Odense Å og Odense Fjord, til miljøministeren
2147327_0082.png
- 76 -
28.50-j--'-~~~
~
1
I
H(m)
ODENSE
Å,
ST. 49891
I
1
~
I
1
~
.............
~
............
~_.__._._~~-1--
/
/
.. ~~-~~Y~Mm~1~1s__r~nsE! .. .-~ ......
-;;-·: ..............
:...... .. ........... .
g
/
'
:
I
I
I
I
1,,,.,,,.
\
,,,.--r
I
I
I
I
/ I
I
I
/
I
//
I
I
I
I
/
I
I
I /
I
I
I
I
/ I
I
/
I
I
1/
I
I
11
I
I
/ I
I
I
1
I
I
I
1
I
I
I
/
I
I
I
/
I
I
I
/
I
I
/r
-rol
C\J I
.... I
Q) I
E1
-rol
IDI
.... I
51 51
2.5
5.0
7.5
10.0
Q)I
E1
-----
Vedligeholdelseskurve
Kravkurve
Krav-
kurve
Q(m3/s)
12.5
Vedligeholdelses-
kurve
Vandspejlskote
Vandføring
(m3/s)
Vandspejlskote
(m
DNN)
(m
DNN)
0.886
1.082
1.297
1.528
1.777
2.043
2.327
2.626
2.943
3.276
3.625
3.990
4.372
4.769
5.182
5.611
6.055
27.45
27.50
27.55
27.60
27.65
27.70
27.75
27.80
27.85
27.90
27.95
28.00
28.05
28.10
28.15
28.20
28.25
27.35
27.40
27.45
27.50
27.55
27.60
27.65
27.70
27.75
27.80
27.85
27.90
27.95
28.00
28.05
28.10
28. 15
Regulativ for Odense
Å,
marts
2004
MOF, Alm.del - 2019-20 - Endeligt svar på spørgsmål 397: Spm. om de gældende regulativer for Odense Å og Odense Fjord, til miljøministeren
2147327_0083.png
-
- 77 -
H(m)
28. 501-+-1-..L..L.J....L.L.L...IL..LJ....L..L.JI_L..J....L...L..,L-'-'-.1...L.LI..L.L.JL.L.J.....L..L,J_L..J....L...L....l-'-'-L..LJ....L..L.J_L..J....._._.,-+-
1
I
I
:
1
e
g
)
....
.....
Qyers_ _ f ~ . !~i~- .r.~.n~~
:;r. _
________
_
___________ . __ : _. _ _:__ . _ .
I
I
/
:
.
.
I
I
/
:
ODENSE
Å,
ST. 50402
28.2
I
I
I
I
28.00
I
I
/
/
/r
I/
/
//
:
:
.
27.5
/
/
/
/
; I
/ I
/ I
/
I
/
I
/
I
I
I
l
I
I /
27.25
-<Il
I
'- I
~I
Q)I
~I
-<Il :
E1
2.5
5.0
7.5
O:
-.-- :
12.5
.... .
10.0
--- --
Vedligeholdelseskurve
Kravkurve
Krav-
kurve
Q(m3/s)
Vedligeholdelses-
kurve
Vandspejlskote
Vandføring
(m3/s)
Vandspejlskote
(m DNN)
27.50
27.55
27.60
27.65
27.70
27.75
27.80
27.85
27.90
27.95
28.00
28.05
28.10
28.15
28.20
28.25
28.30
(m Dl\l'.J)
27.40
27.45
27.50
27.55
27.60
27.65
27.70
27.75
27.80
27.85
27.90
27.95
28.00
28.05
28.10
28.15
28.20
-
0.204
0.320
0.459
0.619
0.800
1.000
1.219
1.457
1.713
1.987
2.279
2.588
2.913
3.256
3.615
3.990
4.381
Regulativ for Odense
Å,
marts
2004
MOF, Alm.del - 2019-20 - Endeligt svar på spørgsmål 397: Spm. om de gældende regulativer for Odense Å og Odense Fjord, til miljøministeren
2147327_0084.png
-
- 78 -
H(m)
29.25--t-'--'-'--'-.....L.L.L.L.J..""--'--'-'-'--'-'-'-'-'--'-'-'-....l...-'-'--'--'-'-.L.,J-C-'-'-'-'-'--'-'-''--'---'-J.....L-1.....L.LJ...J....!.+
1
I
I
I
I
I
I
I
:
__ \le_ vør.ir:i:i. .~~~- _ _ s~ ... _
__________ : __ _____ • __ ............ __ . _
rs_
~1 g r_ ,:i_
~
.1.
I
I
: .,.,-,~
I
I
)/
I
/
I
I//
I
/-(
I
/ I
//
I
/
ODENSE
Å,
ST. 50908
28.25
I/
/
/
/r
I
I
I
I
'-I
oeol
~I
I
I
I
I
1 //
; I
/
I
/
I
/
I
I
'-I
/
oeol
/
~I
1{
51 51
2.5
5.0
7.5
10.0
a, I
Er
a,I
E1
-----
VedligeholdelseskuNe
KravkuNe
Krav-
kurve
12.5
Q(rn3/s)
-
-
Vedligeholdelses-
kurve
Vandspejlskote
(m DNN)
Vandføring
(rn3/s)
Vandspejlskote
(mDl\l'J)
1.074
1.317
1.581
1.865
2.170
2.495
2.839
3.202
3.585
3.985
4.404
4.841
5.296
5.769
6.259
6.766
7.290
28.15
28.20
28.25
28.30
28.35
28.40
28.45
28.50
28.55
28.60
28.65
28.70
28.75
28.80
28.85
28.90
28.95
28.05
28.10
28.15
28.20
28.25
28.30
28.35
28.40
28.45
28.50
28.55
28.60
28.65
28.70
28.75
28.80
28.85
Regulativ for Odense
A,
marts 2004
MOF, Alm.del - 2019-20 - Endeligt svar på spørgsmål 397: Spm. om de gældende regulativer for Odense Å og Odense Fjord, til miljøministeren
2147327_0085.png
- 79 -
H(m)
29.1J-t-~~~...._._.............~~~...._._~...._._..,_._._~~ .............
...._._.._._._~~1-
I
I
I
ODENSE
Å,
ST. 51391
;[
I
28
.
_
yers__ }n~. )~~- g_ _?~ ___
J ____ .. __ ............................. __ _
vø ~ ~- r_ n
~
1
I
I
:
:
I
I
I /
I/
/
/
/
I
/
; I
; I
I
I
I
I
I
I
I
I
I
I
I
28.
28.
28.2
/
/
/
/
/
/
/
I
/
:
I
/
~:
~I
a>1
I
28.
§1
l--"h--.-r-r-r"r''-t---r-r-r-?''+-',--,-,----,-m---.-r"A-r-r-r,----'F,---r-r,--,----,-~
-,-,-,r'F,,--m-,----,-,---,+--
E1
0. 0
2.5
5.0
7.5
10.0
-- ---
Vedligeholdelseskurve
Kravkurve
12.5
Q(m3/s)
-
-
Krav-
kurve
Vandføring
(m3/s)
0.010
0.051
0.121
0.216
0.337
0.481
0.649
0.840
1.053
1.288
1.545
1.822
2.121
2.440
2.780
Vedligeholdelses-
kurve
Vandspejlskote
(m
DNN)
28.10
28.15
28.20
28.25
28.30
28.35
28.40
28.45
28.50
28.55
28.60
28.65
28.70
28.75
28.80
Vandspejlskote
(m
DNN)
28.20
28.25
28.30
28.35
28.40
28.45
28.50
28.55
28.60
28.65
28.70
28.75
28.80
28.85
28.90
Regulativ for Odense
A,
marts
2004
MOF, Alm.del - 2019-20 - Endeligt svar på spørgsmål 397: Spm. om de gældende regulativer for Odense Å og Odense Fjord, til miljøministeren
2147327_0086.png
-
80 -
ODENSE
Å,
ST. 51880
I
I
_. Ye..~?Y~IT!rTI_ _ !!l.r.~.r:i~~
e l~e.~.
I
I
I
I
29.
I
I
I
I
I
I
/
I
I
.I. .. ·_;., · ..... -~ ........................ .
I ,,,
I
I
.
I"'
.
:
/,,,
/
//I
29.
28.
28.
I
/
I
I
I
I
I
/
/1
I
I
I
I
I
I
'- I
-«1
I
lO
a,I
I/
I
I
I / /
I
I
I
I
I
I
I
I
l
I
/
I
I
I
I /
/
/
I
28.
f
;
;
1
28.4
t
28.
/
I
I
I
'- I
-«1
I
C\J
...
I
a, I
I
I
I
I
I
I
I
I
._I
-«l i
o
I
..-
a,I
I
I
I
... I
... I
E1
51
E1
51
2
E1
51
3
4
Q(m3/s)
5
- - ---
Vedligeholdelseskurve
Kravkurve
Krav-
kurve
Vedligeholdelses-
kurve
Vandspejlskote
(m
DNN)
28.55
28.60
28.65
28.70
28.75
28.80
28.85
28.90
28.95
29.00
29.05
29.10
29. 15
29.20
29.25
29.30
29.35
-
-
Vandføring
(m3/s)
0.195
0.267
0.350
0.442
0.545
0.658
0.780
0.912
1.053
1.203
1.363
1.531
1.709
1.895
2.090
2.294
2.507
Vandspejlskote
(m
DNN)
28.65
28.70
28.75
28.80
28.85
28.90
28.95
29.00
29.05
29.10
29.15
29.20
29.25
29.30
29.35
29.40
29.45
Regulativ for Odense
Å,
marts
2004
MOF, Alm.del - 2019-20 - Endeligt svar på spørgsmål 397: Spm. om de gældende regulativer for Odense Å og Odense Fjord, til miljøministeren
2147327_0087.png
- 81 -
-
29.
29.
ODENSE A, ST.
52395
I
I
.. ~e.r~v~mrnel~~~- .r.~.1:1. ~ ...
. . . ... j. ............
i .......... ,.
~
~
,/
I
I
I
,/
:
I
I
I
:,,,
, /
,.;-
I
I
I
/:
,/
I
I
/
I
I
I
I
I
I
I
I
I
I
0
I
...
:
:
I
I
I
I
I
I /
/
/
/
/
/
I
/
_,.,.(
_,.,. I
I
I
I
-
-
29.
28.
28.
I
I
I
I
/(
/ I
/
I
/
I
I/
y
I
/I
I
I
I
I
I
I
I
I
I
I
I
.._ I
'--1
I
otil
I
otil
I
-<1l
I
I
I
.._ I
I
I
I
I
I
I
I
~ I
(]) I
E1
1
~I
(]) I
~I
01
::1
a, I
.._
:
.
oC1l :
C\J :
otil ·
Q) ·
28.
~I
E1
2
E1
3
~I
.S :
-- :
....
:
Q) ·
-~:
4
lO:
.._ .
....
:
oC1l :
....
:
.S :
..-- :
....
:
·
Q)
-- :
o :
0
5
Q(m3/s)
-----
Vedligeholdelseskurve
Kravkurve
Krav-
kurve
Vedligeholdelses-
kurve
Vandspejlskote
(m
DNN)
Vandføring
(m3/s)
Vandspejlskote
(m
DNN)
-
0.562
0.676
0.799
0.931
1.073
1.225
1.385
1.554
1.732
1.919
2.114
2.318
2.531
2.752
2.982
3.220
3.466
28.95
29.00
29.05
29.10
29.15
29.20
29.25
29.30
29.35
29.40
29.45
29.50
29.55
29.60
29.65
29.70
29.75
28.85
28.90
28.95
29.00
29.05
29.10
29.15
29.20
29.25
29.30
29.35
29.40
29.45
29.50
29.55
29.60
29.65
Regulativ for Odense
A,
marts
2004
MOF, Alm.del - 2019-20 - Endeligt svar på spørgsmål 397: Spm. om de gældende regulativer for Odense Å og Odense Fjord, til miljøministeren
2147327_0088.png
- 82 -
ODENSE
Å,
ST. 52813
-
-
29.
28.
~-
l():
,.._ :
,.._
~
0
T""
2
3
4
5
Q(m3/s)
-----
Vedligeho ldelseskurve
Kravkurve
Krav-
kurve
Vedligeholdelses-
kurve
Vandspejlskote
(m
DNN)
Vandføring
(m3/s)
Vandspejlskote
(m
DNN)
-
0.612
0.731
0.859
0.997
1.144
1.299
1.464
1.638
1.820
2.011
2.210
2.418
2.634
2.858
3.091
3.331
3.580
29.05
29.10
29.15
29.20
29.25
29.30
29.35
29.40
29.45
29.50
29.55
29.60
29.65
29.70
29.75
29.80
29.85
28.95
29.00
29.05
29.10
29.15
29.20
29.25
29.30
29.35
29.40
29.45
29.50
29.55
29.60
29.65
29.70
29.75
Regulativ f or Odense
A,
marts 2 00 4
MOF, Alm.del - 2019-20 - Endeligt svar på spørgsmål 397: Spm. om de gældende regulativer for Odense Å og Odense Fjord, til miljøministeren
2147327_0089.png
-
- 83 -
6.2.5.
Strækningen St . 52.829 - 53 . 758
Vandløbet gennemgås 1 gang årligt, hvor affal d mv. op-
samles fra vandløbet. Yderligere vedligeholdelse fore-
tages normalt ikke.
-
Regulativ for Odense
A,
marts 2004
MOF, Alm.del - 2019-20 - Endeligt svar på spørgsmål 397: Spm. om de gældende regulativer for Odense Å og Odense Fjord, til miljøministeren
2147327_0090.png
-
-
- 84 -
7.
BESTEMMELSER OM SEJLADS
Det er forbudt at sejle på vandløbet med følgende und-
tagelser:
1. Det er tilladt at sejle, herunder med motor, fra ud-
løbet i Seden Strand og op til Kertemindevejen . Ha-
stigheden må ikke overstige 3 knob.
2. FDF / FPF ' s åregatta kan efter forudgående meddelelse
til Fyns Amt afvikles 1 dag hvert år i august måned
på strækningen fra Ny Vestergade og til Skovsøens
nordlige side . Deltagerantallet må ikke overstige
200 både.
3. Odense Afart, "O.K . L. af 30. september 1978 ApS",
fortsætter passagersejladsen i henhold til overens-
komst underskrevet af teknik- og miljøudvalget den
19. januar 1981 . Anpartsselskabet må udleje robåde
og 15 vandcykler til sejlads på strækningen fra an-
løbsbroen ved Ny Vestergade og til Erik Bøghs Sti .
4. I perioden 1. juni - 1. apri l må der sejles med ro-
både, kanoer og kajakker på strækningen fra Erik
Bøghs Sti op til Bellinge Bro. Amtet kan i særlige
tilfælde og i begrænset omfang meddele tilladelse
til sejlads på strækningen udenfor denne periode.
I perioden 1. november - 1. april må der sejles med
robåde, kanoer og kajakker på strækningen fra Bel-
linge Bro op til gangbro ved Nørre Broby (st. 35,7
km) .
-
-
5. Dalum Papirfabrik må sejle på vandløbet gennem fa-
briksarealet som led i tilsyn og vedligeholdelse af
tekniske anlæg.
6 . Der må sejles med robåde, kanoer og kajakker på
strækningen fra Erik Bøghs Sti og til udløbet i Se-
den Strand.
7 . Brobyværk Handels- og Håndværkerforening må udleje
og sejle med 2 vandcykler på strækningen fra Broby-
værk Kro og til Brobygårds Alle .
8 . Erhvervsmæssig udlejning af fartøjer kan ikke finde
sted uden forudgående tilladelse fra amtet. Amtet
kan udarbejde nærmere regler for mærkning af fartø-
jer, maksimalt antal fartøjer og sejladstidspunkter
på året og døgnet.
Regulativ for Odense
Å,
marts 2004
MOF, Alm.del - 2019-20 - Endeligt svar på spørgsmål 397: Spm. om de gældende regulativer for Odense Å og Odense Fjord, til miljøministeren
2147327_0091.png
- 85 -
-
-
8.
BREDEJERFORHOLD
8.1 .
Dyrkning, jordbehandling, plantning, jf . dog vandløbs-
lovens§ 34, terrænændring, anbringelse af faste hegn,
jf . dog vandløbslovens§ 29, og opførelse af bygværker
må i landzone ikke foretages i en bræmme på 2 meter
langs vandløbet .
Ejere og brugere af ejendomme langs vandløbet er i øv-
rigt pligtige at tåle det fornødne vedligeholdelsesar-
bejde, herunder transport af materialer og maskiner
og disses arbejde langs vandløbets bredder . Det be-
mærkes, at arbejdsbæltet normalt ikke bliver over 8 m
bredt . Bygninger, bygværker, faste hegn, nye beplant-
ninger, udgravninger og lignende anlæg af blivende art
må ikke uden amtets tilladelse anbringes øverste vand-
løbskant nærmere end 8 m.
Anvendes de tilgrænsende arealer til løsdrift, opsættes
og vedligeholdes et forsvarligt hegn langs med og
mindst 1 m fra øverste vandløbskant. Sådanne hegn er
ejerne pligtige at fjerne inden 2 uger efter tilsynets
meddelelse, såfremt dette er nødvendigt af hensyn til
maskinel udførelse af vedligeholdelsesarbejdet . Amtet
kan dog - uden varsel - på amtets bekostning foretage
midlertidig flytning af hegn.
Tværgående hegn og lignende, der er til hinder for ma-
skiners arbejde og transport langs vandløbet, skal
lodsejerne forsyne med passende passage for gennem-
kørsel .
I henhold til vandløbslovens§ 6 må ingen bortlede van-
det fra vandløbet eller foranledige, at vandstanden i
vandløbet forandres, eller at vandets frie løb hindres.
Regulering af vandløbet, samt etablering af broer og
overkørsler må kun finde sted efter vandløbsmyndighe-
dens forudgående godkendelse .
I
det hele taget må ingen
uden tilladelse fra vandløbsmyndigheden foretage foran -
staltninger ved vandløbet med anlæg, hvorved tilstanden
ved disse kommer i strid med bestemmelserne i dette re -
gulativ eller vandløbsloven .
8.2 .
8. 3.
8 . 4.
8 . 5.
8.6.
-
Vandløbet, herunder sideskråninger og banketter, må ik-
ke uden forudgående godkendelse fra kommunen / amtet til -
føres faste stoffer, haveaffald, spildevand eller andre
væsker, der foranlediger aflejringer i vandløbet eller
forurener dets vand, jf . miljøbeskyttelseslovens be-
stemmelser .
Regulativ for Odense
Å,
marts 2004
MOF, Alm.del - 2019-20 - Endeligt svar på spørgsmål 397: Spm. om de gældende regulativer for Odense Å og Odense Fjord, til miljøministeren
2147327_0092.png
- 86 -
Ved etablering af drænudløb skal der foretages foran -
staltninger til sikring mod tilførsel af sand m. m. til
vandløbet .
8 . 7.
Bredejere kan uden tilladelse opsætte mulepumpe eller
vindpumpe, der forsyner kreaturer med vand fra vandlø-
bet. Amtet kan meddele tilladelse til indretning af
egentlige vandingssteder , der da skal udgraves uden for
vandløbets profil og indhegnes således,
at kreaturer
ikke kan træde ud i vandløbet, samt sikres således,
at
udt rædning af jord i strømløbet ikke finder sted . Anden
vandindtagning må ikke finde sted uden tilladelse, jf .
vandforsyningslovens bestemmelser .
Opmærksomheden henledes på, at åvandet er spildevands -
belastet og derfor kan indeholde bakterier, der gør det
uegnet som drikkevand for kreaturer .
-
-
8.8.
Nye tilløb, og tilløb der reguleres, skal så vidt mu-
ligt forsynes med en overkørsel med 5 m ovenbredde ved
udløbet ti l brug for transport af materiel, der anven-
des ved vandløbets vedligeholdelse .
Den ved vandløbet værende afmærkning med statione-
ringspæle og vandstandsskalaer må ikke beskadiges eller
fjernes . Sker dette, er den for beskadigelsen eller
fjernelsen ansvarlige pligtig at bekoste retableringen.
Beskadiges vandløb , sideskråninger, faskiner, bygværker
eller andre anlæg ved vandløbet , eller foretages der
foranstaltninger i strid med vandløbsloven eller be-
stemmelserne i dette regulativ, kan amtet meddele påbud
om genoprettelse af den tidligere tilstand .
Er et påbud ikke efterkommet inden udløbet af den fast-
satte frist , kan amtet foretage det fornødne på den
forpligtedes regning, jf . vandløbslovens §54 .
Er der fare for, at betydelig skade kan ske på grund af
usædvanlige nedbørsforhold eller andre udefra kommende
usædvanlige begivenheder, kan amtet foretage det for-
nødne uden påbud og på den forpligtedes regning, jf .
vandløbslovens§ 55 .
8 .9.
8 . 10 .
8 . 11 .
Udløb fra drænledninger skal udføres og vedligeh oldes
således, at de ikke gør skade på vandløbets skråninger .
Udførelse af andre rørledninger og lægning af kabler,
rørledninger o. lign . under vandløbet må kun ske efter
forud indhentet tilladelse fra vandløbsmyndigheden .
Overtrædelse af bestemmelserne i regulativet straffes
med bøde, jf . vandløbslovens §85.
8.12.
Regulativ for Odense
A,
marts 2004
MOF, Alm.del - 2019-20 - Endeligt svar på spørgsmål 397: Spm. om de gældende regulativer for Odense Å og Odense Fjord, til miljøministeren
2147327_0093.png
- 87 -
9.
TILSYN
9.1.
9.2.
Tilsyne~ med vandløbet udføres af Fyns Amt.
Amtet foretager normalt syn af vandløbet en gang årligt
i september eller oktober måned. Lodsejerne og andre
med interesse i vandløbet, der har ønske om at deltage
i synet, kan træffe nærmere aftale herom med Fyns Amt,
Natur- og Vandmiljøafdelingen.
REVISION
10.
-
-
-
Dette regulativ skal senest optages til revision
i
år
2015 . Tilladelsen til sejlads er dog tidsbegrænset ind-
til 1 . januar 2010, således at sejladsbestemmelserne
herefter skal indgå
i
en kommende Natura 2000-plan.
11.
REGULATIVETS IKRAFTTRÆDEN
Regulativet har været bekendtgjort og fremlagt til gen-
nemsyn
i
8 uger med adgang til at indgive evt. indsi-
gelser og ændringsforslag inden den 15 . oktober 2004 .
Regulativet er herefter endelig vedtaget på Fyns Amts-
råds vegne af Trafik- og Milj ø udvalget på mødet den
13. april 2005 . Samtidig ophæves regulativet for Odense
A
vedtaget 20 . december 1990 .
Fyns Amt, Natur- og Vandmiljøafdelingen, den
.$.
05,
Ø5~
Sten Nø skov Laursen
D rektør
en Dan Petersen
Vicedirektør
Regulative træder
i
kraft fra datoen for dets endelige
vedtagelse:
Regulativ for Odense
A,
marts 2004
MOF, Alm.del - 2019-20 - Endeligt svar på spørgsmål 397: Spm. om de gældende regulativer for Odense Å og Odense Fjord, til miljøministeren
2147327_0094.png
Regulativ
Ordforklaring
Oversigtskort
Længdeprofil
Bilag 1
Bilag 2.01 - 2.02
1: 100, 1 :25.000
1:2.000
1:4.000
1:10.000
1
2
4
-
MOF, Alm.del - 2019-20 - Endeligt svar på spørgsmål 397: Spm. om de gældende regulativer for Odense Å og Odense Fjord, til miljøministeren
2147327_0095.png
-
ORDFORKLARING TIL REGULATIVET.
Banket
Brink
Bundkote
Flodemål
Grøde
Grødeskæring
Oprensning
Sideskråning
Slåning af
sideskråning
Skæring af
vandkant
Strømrende
Terræn langs vandløbskant.
Stejl sidekråning.
Kote til dybeste opmålte punkt
i
vandløbsprofilet.
Grænse for hvor højt et stemmeværk må hæve vand-
spejlet.
Planter under vandspejl.
Skæring af planter under vandspejl.
Fjernelse af aflejret materiale og fremmedlegemer
fra vandløbet.
Stykket mellem vandkant og vandløbskant.
Slåning af planter på sideskråning.
Skæring af planter ved og omkring vandkant.
Rende i vandløbet hvor grøde bortskæres.
Indvendig underkant af rørledning.
Vandmængde som vandløbet kan transportere ved
en given højde af vandspejlet.
Overgang mellem vandspejl og sideskråning.
Varierer med vandspejlet.
Afstanden mellem vandløbskanterne.
Overgang mellem sideskråning og banket.
Højre/venstre side fastlægges, når man ser
strømmens retning.
1
UK
Vandføringsevne
Vandkant
Vandløbsbredde
Vandløbskant
Vandløbsside
Vandslug
Den vandrette målte afstand mellem sidebegræns-
ningerne i et bygværk.
Grøde
I
I/
I
1
1
I
Vandspe il\\
I
I
" Banket
1
Vandløbs-
ant
Bundkote
Vandløbsbredde
I•
I
Strøm-
rende
•I
Regulativ for Odense A, februar 1990
MOF, Alm.del - 2019-20 - Endeligt svar på spørgsmål 397: Spm. om de gældende regulativer for Odense Å og Odense Fjord, til miljøministeren
2147327_0096.png
Regulativ
Ordforklaring
1
2
1:2.000
1:4.000
J: 0.000
1:100 1 :25.000
Oversigtskort
Bilag 2.01 - 2.02
Bilag l
Længdeprofil
4
-
MOF, Alm.del - 2019-20 - Endeligt svar på spørgsmål 397: Spm. om de gældende regulativer for Odense Å og Odense Fjord, til miljøministeren
2147327_0097.png
'
. ,di;
1
I'
' 1
'
"
Kit'
1
.•
'
,
·o
jt'
)
'
.
,-
,,
,l
"
·l
i)
'
.,
--+----
._,-
''
I
'
,.H'
:.!·
'' ii
. TL
• ·1
+,·
"'
1
~:..;-c-':;
:Ji
I
"'
I
----':::;·
•:
"
"
,
.
.
,.
"
m't''"~'
'T-- j
~-"'.:
,,
I
.
V
f
~
'
r
"
.'--,--4
-,,..
~
..
'i
'
-"'~
"
~
'
·•te:
~
\
.
rP't
·-.
'
'
"
m
"
-
~-
'
L
'
\
"
1
__:_,.
'
++t
!
:r-·
i
'
-
I
al
'
1~
~-
't-.
J
e\i,,
"'
::-j,
"
'+l
'
'
.J
~
i
- ,
-
,,
. -f1-
,I
-1
+
,_
'
-
f
_i,_
i'.i.•f
.
ti
•l
,,
ri-·
,4
.,
l
-,
...t-,,
..;
'
.
,1
r
-,_
,.
.t
~
.i:;;;-t-4_.,__-f_:!
'
- ,.,,,.,,.
-~
I
'
I
-,
_,
'
~-
i-
,.j.
-
~-_,
.
I
':
L
'
•r
'
·~
_,
,t
7f'<
,,
I
--
j
!'
-
L
i
1
I
,-
.
.
c
t
+
+-
'
ir -
.
..:;.
.
•I
'
1
.
I
.,.....:,
~T-.
'
t'.
·+:-
· - ;r
.
'
-,
.
MOF, Alm.del - 2019-20 - Endeligt svar på spørgsmål 397: Spm. om de gældende regulativer for Odense Å og Odense Fjord, til miljøministeren
2147327_0098.png
,-
i
31
17
E
20
e
h
1'1
35
~
35
!!.
23
Udsnit 3. 1: 2000
13
d
20
30
a
11
Udsnit 2. 1: 2000
5,1
0
Marienlund Hovedgård
- - -
f)qense Jorder.
·
Biskorui,
-
Odense Jorder.
;
Biskorup,
___
o_dense
Jor_d
ec...
_,
....
... ,
Skt. Jørgensmark,
\
Odense Jorder.
Flxp.: GI-bolt 36-03- 9071
matr. 32
Bågø
Strand
kote 2,36
m
Seden Strand.
Signaturer.
---7(--K-
Seden.
Ejby,
Oden~e_ J-;;..;o r.,.;;;de__
__
..... __ r.
Asum by,
---
@
0
====l)(===
Kommunegrænse.
Sognegrænse.
Ejerlavs
grænse .
Stationering.
Vej~eller markbro.
-=::::~==~
Ågård.
""\.
Åsum.
Fixp.:
I
I
C:
1
GI
,>----
-~-
--
\0
®
0
Spang
Vandstandsskala nr 5
Målesf ation
I~
1
I
c,.
l
,t
I
en
I
Ul
I~
tll
Cl)
gb
/
l
GI
I>
/
/
,
/
/
/
/
/
/
/
/
/
/
/
l (/) ,,,
/
I
\
I
.....
;'
\
\
Seden
by,
Amtsvandløb
Odense A
Udsnit
4. 1: 4000
nr.
01.00.
54.,000 km.
St. 0 0
-
7500 km.
Amtsgården
Ørbækvej 100 · 5220 Odense SØ
Telefon 09 15
94
00
/
--....:S~de~n..:.:.,-
__
Asum by,
Åsum.
Åkort
~Fyns
Amt
Udsnit
1.
1-1.nnn
Mål·
Forvaltningen for teknik og miljø
Vand-
og
miljøafdelingen
Tegn. nr.:
Matrikulære ændringer er
medtag_ t
e
Indtil nov.
1988'.
Udsnit 5. 1 4000
:
1
:10.000
Dato·Y;J
-Yt?
Sted!. nr.:
Pro1. al:
Hs.
88.040.
NR/ 89
Tegn. al:
1. 1
JØ/ 89
MOF, Alm.del - 2019-20 - Endeligt svar på spørgsmål 397: Spm. om de gældende regulativer for Odense Å og Odense Fjord, til miljøministeren
2147327_0099.png
Å!lumveJ.
2
~2------1_--1::2
t,
~
i-
C
Skt. Jørgensmark,
--------2.cf..ense
Jor_der.
Ejby,
- - - -
Odense Jorder.
Signaturer.
Flxp.:
GI-bolt
K-38-971+ 7
kote 6,71 m
-----
@
-X-
-X-
0
Kommunegrænse.
Sognegrænse.
Ejerlavs grænse.
Stationering.
Vej-eller markbro.
Spang
---
~F
t
7,9
0
li
@
0
Vandstandsskala nr
14
Målestation
hc
15
-
M&trstok.
I.·
2000
8,0
@J
100
50
700m.
Amtsvandløb
Odense A
Åkort
nr.
01.00.
54,000 km.
Amtsgården
Ørbækvej 100 · 5220 Odense SØ
Telefon 09 15 94 00
St. 7,500
-
8,900 km.
Forvaltningen for teknik og
miljø
Vand- og miljøafdelingen
Tegn. nr.:
~FynsArnt
Mål:
Matrikulære ændringer er medtaget indtil nov. 1988.
Dato:
/'j
.
'J"O
1:2.000
Stedt. nr.:
Praj. af
Hs.
88.040.
NR/89
Tegn af.
1.2
JØ/89
MOF, Alm.del - 2019-20 - Endeligt svar på spørgsmål 397: Spm. om de gældende regulativer for Odense Å og Odense Fjord, til miljøministeren
2147327_0100.png
'
'
'
'
'
I
Signaturer.
---7(-7(-
Flxp.: GI-bolt
K.38-9728
kote 9 3
----
-----
0
Kommunegrænse.
Sognegrænse.
Ejerlavs grænse.
18
-
ad
===H===
r
li
@
Stationering.
Vej-eller markbro.
@
0
Spang
Vandstandsskala nr
18
Målestation
Mål~stok.
1:
1000
100
50
700m.
68
Amtsvandløb
Odense A
nr.
01.00.
54,000 km.
Amtsgården
Ørbækvej 100 · 5220 Odense SØ
Telefon 09 15 94 00
Åkort
St. 8,900
-
10,200 km.
Forvaltningen for teknik og
miljø
Vand- og miljøafdelingen
Tegn. nr.:·
Underskrift:
~FynsArnt
Mål:
1:2.000
3
_
'TO
Stedf nr.:
Proj. af
Hs. 88.040.
NR/ 89
Tegn. a!·
1.3
Matrikulære ændringer er medtaget indtil nov. 1988.
Dato: 1
JØ/89
MOF, Alm.del - 2019-20 - Endeligt svar på spørgsmål 397: Spm. om de gældende regulativer for Odense Å og Odense Fjord, til miljøministeren
2147327_0101.png
I
/\lboni Torv.
..
--~~-=----_Jf
\-=--=-~:r~~~'rzIZ.m~ ;_
"O
.,;
G
Ol
b
2025-
2025a.
2025
a.
1g.s
10,4
0
Signaturer.
P-plads
--
J
--K--)r
2095
-
ed
Kommunegrænse.
Sognegrænse.
Stationering.
Vefeller markbro.
ø@
Måt~stok.
1.·2000
100
Spang
Vandstandsskala nr 20
Målestation
50
0
100m.
Amtsvandløb
Odense A
nr.
01.00.
54,000 km.
Åkort
St. 10,200
-
11,500 km.
Amtsgården
Ørbækvej 100 · 5220 Odense SØ
Telefon 09 15 94 00
~Fyns
Amt
Mål:
Forvaltningen
for teknik
og miljø
Vand- og miljøafdelingen
Tegn. nr.:
Undersl<rift ·
1:2.000
Stcdl. nr.:
Hs. 88.040.
NR/89
Tegn af
Bilag 1.4
Matrikulære ændringer er medtaget indtil nov. 1988.
Dato:
Proj. af
JØ/89
MOF, Alm.del - 2019-20 - Endeligt svar på spørgsmål 397: Spm. om de gældende regulativer for Odense Å og Odense Fjord, til miljøministeren
2147327_0102.png
'
703
I
'
!
I
I
1
I
t
I
I
\
( )
,•
0
\
\
\
\
\
\
\
\
\
\
\
\
'
\
\
\
\
.,.{)
l(~
'\ \\ c:Jl.-
\
\
\
Odense 8 ygrunde,
Sig
nat urer.
--i(
- ~ -
Kommunegrænse .
_
@
\
\
\
\
',
\
\
\
\
\
\
'
\
\
'
\ \
/ /
\
- - _
0
Sognegrænse.
Ejerlavs grænse.
Stationering.
Vej-eller markbro.
Spang
'
\
\
\
Munke Mose.
'
'
\
\
'
\
\
\
''
'
~
\
(;):-
flxp.:
GI-plade K-38-9422
kote 6,5S
m
==H=
l
'
\
Vandstandsskala nr 22
Målesf
afion
M~l~stok.1: 2000
316
100
50
0
1001ft.
303
a
Amtsvandløb
-Odense A
nr.
01.00.
54,000 km.
Amtsgården
Ørbækvej 100 · 5220 Odense SØ
Telefon 09 15 94 00
Åkort
Bygrunde.
Matrikulære ændringer er medtaget indtil nov. 1988.
St. 11,500
-
12,800 km.
Forvaltningen for te~nik og
miljø
Vand- og miljøafdelingen
Tegn. nr.:
Underskritt:
~
Odense
~Fyns
Arni
Mål:
1:2.000
Stedf. nr.:
Proj. af:
Hs. 88.040.
NR/89
Tegn. af:
~-
JØ/ 89
MOF, Alm.del - 2019-20 - Endeligt svar på spørgsmål 397: Spm. om de gældende regulativer for Odense Å og Odense Fjord, til miljøministeren
2147327_0103.png
Sfln d re Boulevard.
l
cg
bv
!I
Flxp.:
j
l
I
JO JO
Zoologisk
30
-
1
-
Have.
or
g
14. 1
0
ml
J-
3-
yz
'
di
-
li
11
SJ
·gnaturer.
2
~
0
la
2
Ib
2
yi
2
Ir
7
I(
2
7
~
28
k
~
@
-
7(--
- -
0
Kommune g rænse
Sognegrænse.
Ejerlavsgrænse.
Stationering.
Vej-eller markbro.
Spang
===H====
I
28
!!1
Vandstandss
k
a
la nr 26
Målestation
'0
!
I
I
I.:!
I;
(!)
"'
c
>-
~
12,8
0
Mat~sto
k
.
1· 2000
.
I
.i
f
-~-.,-..-------1
~r--,~-
-------~-~~-~'---
I
I
Amtsvandløb
Odense A
nr.
01.00.
54,000 km.
Åkort
St.
12,800
-
14 200 km.
Amtsgården . 5220 Odense SØ
ØrbækveJ
100 00
Telefon 09 15 94
~FynsArnt
Må l
.k
.
F rvaltmngen
fortekm o
g
miljø
O
Vand· og
m1
Tøafdelingen
J
1:2.000
/ ~
-
Hs. 88.040.
NR/ 8 9
Tegn. at
Bila
Matrikulære
ændringer er medtage
t
indtil nov.
1988.
Oa10
9
C-
JØ/89
MOF, Alm.del - 2019-20 - Endeligt svar på spørgsmål 397: Spm. om de gældende regulativer for Odense Å og Odense Fjord, til miljøministeren
2147327_0104.png
0
0
__..,.D,_de.nse Jordec
____
HJallese
by,
Krlstlansdal Hgd.,
G
G
Dalum.
0
0
0
I
,,
,,
,,,.
-
--
-
-
--
---
-
-
-
0
0
---
---
---
D
0
1
-
g
0
0
0
0
14,2
0
Krlstlansdal Hgd.,
Odense Jorder.
Hunderup,
- -
Odense Jorder.
-
0
3-
mo
I
f}
\
0
-----::::=--
--~--==-~
,.
I
I
I
I
'
I
I
\
\
:
,,
'
\
1
\
"
,,
,,
,,
,,
,1
,r
ck
5-
6-
ei
14,4,
0
\
\\
,
.,,. _,,,
,
,
\
I
-
.,.~-:.....
,,,.
.,,,.
- ,,,,",,,. - - -
--
-----
0
o:
,
.,,
/
I
,
--
-
-
I I
{)
E)
1
-
I
I
ti
'I
//
/
I
g
I
0
-,/,' - - ,
,,,. .,,.
I
0
0
f)
,,
I
,,
I
II
I
I
It
,,
li
//
mi
s-
nb
s-
0
g
,
,
I
,
,
,
,
/
1
0
--
_
......
_.,...,.."':,..,,.
,.,.,
___
,,,,
,
,,,,
,
0
/I
0
......... .,,
0
~
,-:,-:.--;,9c)
..,
0
"
ti
I
I
,,
I
J
I I
- - - - - - - - - - - - - - - -- ::
__,:-..:--!%1J_-_-o.-=--=-=-=
::,::=:::.::::===::"
::..,,~-
0
Signaturer.
0
,;,o
1,
11
'1
'1
-~------
--K--K--
0
Kommune
grcense.
So gnegræn.se.
Ejerlavs
grænse.
"
@
Stationering.
Ve;-etler
markbro.
Spang
·@
Målutok 1:2000
Vandstands.skala nr 29
Målestation
I
I
0
0
C
2
0
100
50
0
100m.
0
6
-
0
rr
cl
5-
0
Amtsvandløb
Odense A
nr.
01.00.
54,000 km.
0
Åkort
0
St. 14,200
-
15,700 km.
Amtsgården
Ørbækvej 100 · 5220 Odense SØ
Telefon 09 15 94 00
~FynsArnt
Mål
Forvaltningen for
teknik
og
miljø
Vand- og miljøafdelingen
Tegn nr.:
1:2.000
Sted! nr..
Pro1 a!
Matrikulære ændringer er medtaget indtil nov. 1988.
Dato.
/2
_
9'c;,
Hs. 88.040.
NR/89
Tegn ar
Bilag 1.
7
JØ/ 89
MOF, Alm.del - 2019-20 - Endeligt svar på spørgsmål 397: Spm. om de gældende regulativer for Odense Å og Odense Fjord, til miljøministeren
2147327_0105.png
Dalum Kloster.
Dalum.
1
-
Q
b
1
-
Krisfiansdat
H
-f!_d_e.[l~
Jorde~~•
Hjallese
by,
Dalum.
HJallese bi
-- - - -
Dalum
'
Sig
nat
uret
-.:X-
-')(-
Kommunegrænse.
Sognegrænse.
0
®
Bro for r,r og
kabler
"
-
b
~F
©
Ejerlavsgrænse .
Stationering.
Vej-efler markbro.
Spang
~@
Mål~stok
1: 4000
100
I
Vandstan·dsskala nr 32
Målestation
so
0
100
200
300m.
~.
Damgard.
Amtsvandløb
Odense A
nr.
01.00.
54,000 km.
Åkort
St. 15,700
-
17,800 km.
Amtsgården
Ørbækvej 100 · 5220 Odense SØ
Telefon 09 15 94 00
~FynsArnt
Mål:
Forvaltningen for
teknik
og miljø
Vand- og miljøafdelingen
Tegn nr.:
Underskrif 1 : ~
1:4.000
Sted!. nr.:
Pro1 af:
Matrikulære ændringer er medtaget indtil nov. 1988.
Dato:
/2 _
/U
Hs. 88.040.
NR/89
Tegn af·
1.8
JØ/89
MOF, Alm.del - 2019-20 - Endeligt svar på spørgsmål 397: Spm. om de gældende regulativer for Odense Å og Odense Fjord, til miljøministeren
2147327_0106.png
@
1'-
__
B....,e.,.Lling~-·--
Højme
by,
Sanderum.
Bellinge by,
:I<
42
~
.
·*@
l<
·
*-
,
11
-
/
,
a
/
Udsnit 2. 1: 4000
12
-
a
1
Bellinge Kirke.
34
Skt.Klemens~
Signaturer:
-¾--X-
\\
@
0
Kommunegrænse.
Sognegramse.
c;_,..,_.• _
---- --
'-/'=''
IU.
lf
.!>
!:JI IJ::11::!>t::.
Bellinge.
F!xp.: Gl-boU 33-01-9032
kote 22 8-"---6=m_ _
,,
Dyrupgård.
t,r
2
-
bn
I
Måt~s
tck..
1: 10000
100
0
I
I
====JF
I
Stationering.
Vef
eUer markbro.
Spang
Vandstandsskala nr 54
Målestation
Fixp.: GI-bolt
33-11-9017
kote
28
09 m _ _ --~~"'
_
fixp.:
700
200
300
liOO
500
500
700
~00
900
7000m.
Amtsvandløb
Be/lingehus.
Skovhøjgård.
nr.
01.00.
54,000 km.
Amtsgården
Ørbækvej 100 • 5220 Odense SØ
Telefon 09 15 94 00
Odense A
Åkort
St. 17,800
-
24,600 km.
Forvaltningen for teknik
og
miljø
Vand- og miljøafdelingen
Tegn nr..
_____
Fangel. ____
_
Svens trup
by,
Stenløse.
Fangel
by,
Udsnit 1. 1:4000
Stenløse by,
___
_
SJenløse.
Hjallese
by,
Dalum.
~FynsArni
Mål:
1:10.000
Sted! nr.
Proj. af·
Hs. 88.040.
NR/89
Tegn. af
Bilag 1.9
Matrikulære ændringer er medtaget indtil nov. 1988.
Da10
JØ/89
MOF, Alm.del - 2019-20 - Endeligt svar på spørgsmål 397: Spm. om de gældende regulativer for Odense Å og Odense Fjord, til miljøministeren
2147327_0107.png
Hjelmerup.
7
-
a
/
I
I
/('',
\
I''
\
\
I
\
I
\
~
;;,
....
I
\\
--
........
~
a
10
'
',
I
I
I
.
Solevad
Nygård.
,,
,,
,,
,,
,,
I
I
'-..,
,,
I
I
,,
,,
,,
,,
,
/'/
,
,,
#';
)A\
V
'
'
'
' , O;.:
'
,S'
'
'
'
Q~
..,,,_
4
-
5
~
h
'
'°.i,.
r'
,,
,,
,,
5
~
.
fJ
.
0
0
O·o·
D
EJ
.o
r.
0
~
Hulen.
2-
b
·o
{)
D
,
.,,
Signaturer.
~--)f-
Olesminde.
i
J-
Skovlygård
1'!
b
@
42~
@
0
Lykkenssæde.
®·
. *
===H===
I
)t.
Kommunegrams~.
Sognegrænse.
Ejerlavsgrænse.
Stationering.
Vej-e({er markbro.
Spang
- -
Vandstandsskala nr
_65
_
Målestation
Maltstok.
I: 10000
9!
Vittin
ge gård.
Q
:'.A_,
1,.
\
\
I
I
100
0
100
200
300
400
500
600
700
800
900
1000m.
11
-
a
Amtsvandløb
'\
nr.
01.00.
54,000 km.
Amtsgården
Ørbækvej 100 • 5220 Odense SØ
Telefon 09 15 94 00
Odense A
\
_ _....;
-Ngr:_re-Brob!f.: _
-x~-
Fangel
by,
Fangel.
Vittinge
by,
/ Sole vad
\,
- - ~ - - - ; ,
I
/ Nygård
''
'-
'-~
I
'\
/
I
'
\
,,
,,
19
a
,,
,,,,
,,
,,
Matrikulære ændringer er medtaget
indtil
nov.
1988.
Søbjerg gård.
,, ,.
a
~
.... , .......
72
-
,,
,,
,,
,.
,,
,,
,.
,.
/
Åkorf
St. 24,600
-
31,600 km.
Amt
Mål:
Forvaltningen
for teknik
og miljø
Vand• og miljøafdelingen
Tegn. nr.
Underskrift:
1:10.000
Sted!. nr.:
Praj. af
Hs. 88.040.
NR/89
Tegn. af:
Oa10:
;/.3
-
90
Bilag 1.10
JØ/89
MOF, Alm.del - 2019-20 - Endeligt svar på spørgsmål 397: Spm. om de gældende regulativer for Odense Å og Odense Fjord, til miljøministeren
2147327_0108.png
Amtsvandløb
Odense A
Åkort
,,
nr.
01.00.
54,000 km.
St. 31,600
-
38,800 km.
Amtsgkår~e1noo • 5220 Odense SØ
Ørbæ veJ
Telefon 09 15 94 00
,,----,,._..
,, -
Kohavegård.
~
~FynsArnt
Mål:
Forvaltningen
f<:>r teknik
og
miljø
Vand- og miljøafdelingen
Tegn. nr:
Underskri!t:
~
'
g
37
-
Dato:
;J/:J
-
ro
1:10.000
Stedt nr.:
Proj. af:
Hs. 88.040.
NR/B9
Tegn. af:
Bil
a
~
1.11
JØ/89
Udsnit 3. 1: 4000
36
Signaturer.
-K-X-
_ __
0
v
f\O
mmune
grænse.
Sognegræn se.
c:-
-'avs
~1~,,
nrær1s~.
~
s-
Landeve 526
g
@
Gl-plad!!___33-15-9037
kote 19,01
m
,, -..
'-
9-
7
-
b
d
....
'
....
...
'
-
'
'-
' -
===H===
I
,:-'..._
.... .....
s
-
g
............ _ ~ -
stationering.
Vej-eller
markbro.
Spang
.
Vandstandsskala nr 95
.
'
....
.........
.....
~
a
'
ø
38.8
,o-
a
'1
,,
"
,,
ø
32.2
':..-_-~,
,:·
,,,,
,,
.I
.,,
,;,
-
-
Målestation
7
g
32.0
MJ/t!stok.1:
10000
100
0
100
200
®
'
V
I
Fikspunkt,
V.I. Fikspunkt.
e
Midte af indløb gu\t mærk .
Kote 23.13
300
,oo
500
600
700
800
900
1000m.
\
··
Granitsten
S.
Ø
h
gult
mærke.
Kote
20.84
Udsnit.1. 1: 4000
Udsnit
2.
-
~
1:4000
.\
Matrikulære ændrmger er medtaget Indtil nov.
1988.
MOF, Alm.del - 2019-20 - Endeligt svar på spørgsmål 397: Spm. om de gældende regulativer for Odense Å og Odense Fjord, til miljøministeren
2147327_0109.png
0
.
~
,"f:
{} *
o_
fJ
.
.
a
7
-
Lyndelse by,
Sandhol ts-lyndelse.
O.
\
It
I/
tr
ft
"
,,
/1
ir
fl
:?§i.=-
Udsnit 2. 1:1,000
Brobyværk.
Sandholts- Lyndelse Kirke.
G.I.Fikspunkt -44-19-9004
F!xp.:
GI-kalot 44-12-815
kote 26 70 m
flxp.: GI-boa
44-21-9028
ote
24 67
m
Signaturer.
~--X-
@
0
Bolt.
Kote
37.03
4
g
Sønder Broby.
Udsnit
1. 1~1,000
·-----
====H::::::==
Kommunegrænse.
Sognegrænse.
Ejerlavs grænse.
Stationering.
Vej-eUer markbro.
Spang
--11-@-Vandstandsskala
nr 110
Målestation
a
3-
®1,~
<>'
c;,~.,,/
,,
,-.le\.·_,,,
.
,,
,,
,,
/
.,,
45.8
~
Målestok. 1:10000
4-
a
1-
a
100
0
100
200
300
400
500
600
700
800
900
7000m.
.,,
,, ,,
Amtsvandløb
/
nr.
01.00.
54,000 km.
/
I
Lyndels
by,
Sandhol
ts-l
yndelse.
I
I
Odense A
Åkorf
16
-
1
-
a
/
/
I
/
St. 38,800
-
47,200 km.
a
Mål:
Amt
1:10.000
Sted!. nr.:
Proj. af
Amtsgården
Ørbækvej 100 · 5220 Odense SØ
Telefon 09 15 94 00
Forvaltningen
for teknik
og miljø
Vand-
og miljøafdelingen
Tegn.
nr
Matrikulære ændringer er medtaget Indtil nov. 1988.
oa,o
�½
Hs.
88.040.
NR/89
Tegn. a1
Bila
1.12
-o/6
JØ/89
MOF, Alm.del - 2019-20 - Endeligt svar på spørgsmål 397: Spm. om de gældende regulativer for Odense Å og Odense Fjord, til miljøministeren
2147327_0110.png
"!.l#.O'lVej._};
Arreskov Sø.
-
4.0;_,,,~~-'
-
1
,;
ø
,
,-
_
~
:;. -
Arreskov.
_,;,...::.:::::--
~.,,,~.,...
--::-:=:,
--
//
J:
/ :--
/
----
-----_-_-::.----
- -- -
-
== ::::
- -
-
-- -
- - - - - - - -
'
..... ...,. _ _ .,...;
- - - - - -
-
--.--------
Flxp.:
GI-bolt
44-28-9015
kote 3S,90 m
Arrest
::.:::--
"ovvej.
-==:::::c
::::::::=~::::::::::~,:..
.(,,j
,fl.J
~--
I
l'i
U.t
l_l~
~il
•,§-
~
·
I
0
!'~{~ . . - -
~
Q
'!-
~
..:.
:,
~-
Lyndefse b
- -
~IJslhot
f
S-l
'.Y,
Øster-il
-
~
Øst cestnge
bv
·- - ...,,.
er-Hæs·
.,,
Inge,
KVL
s
o-'-
~
-~e:,,(;,/':,,'
.,,
,,
/
,,
.
,
-
,,,,,
,
/
/
,,
.,,
a
5-
*
'
'
'
.
0. Hæsin
e-Hillerslev
::s
l,f
f!J
Qi
'
(,,j
~-
~
'
:-..
~
~
f!J
~
Qi
, ~
'<li
Signaturer.
Kohave Lung.
(J
--K-
-)f-
Kommunegrænse.
O.
o'
Kote
Sognegrænse.
Stationering.
8
g_
ø51.6
V.I. Fikspunkt
midtl' af ind\Øb
guU m0l'rke.
·l<ote
31.15
--.___
;:;;li:~~.....
Vej-eller markbro.
Spang
(,)
Pe!>Prrodshus.
7
- ();
. .cf
0.
26
~
ii
v.:::,)
Q
Vandstandsskala
nr
Malestation
.
127
Amtsvandløb
\
nr.
01.00.
54,000 km.
Højrup.
Frydenshjem.
G.I.Fikspunkt 44-12.9021
Højrup station
Plode. Kote 34.51
\
Odense A
Åkort
\
St. 47,200
-
54,000 km.
Amtsgården
Ørbækvej 100 · 5220 Odense SØ
Telefon 09 15 94 00
\
~FynsAmt
Mål:
Dato:
Forvaltningen for teknik og miljø
Vand- og miljøafdelingen
Tegn. nr.·
Underskrift:
1:10.000
Sted!
nr.
Proj. al
Matrikulære
ændringer
er medtaget indtil nov. 1988.
1/"?
_
7"o
;
Hs.
88.040.
NR/89
Tegn. af:
1.13
JØ/89
MOF, Alm.del - 2019-20 - Endeligt svar på spørgsmål 397: Spm. om de gældende regulativer for Odense Å og Odense Fjord, til miljøministeren
2147327_0111.png
Karlsbjerg
....
-~-~
\.
, , .•.
!
._"'
..._
H~ste~ave.
.
.
·.
' ~ . '
.
\ ..
-·~.
1g
'
1n
- '-'.. ,__
,
}
15i"
--- -
.
..-:;..
Signaturforklaring
X
Kommunegrænse
Ejenavsgrænse
Stationering
Stationering
Skalapæl
..
~
17a
••••••
e
t •••
••
Q
l
(!)
3f
li
@
r,;:J
22a
~-
Amtsvandløb
Odense
A
Åkort
~FyMAmt
nr.
01.00
1
54 000 km
Natur- og Vandmiljøafdelingen
·Tegn.
nr.:
Tegn. af:
Underskrift:
St. 42,300 - 46,000 km
Amtsgården
Ørbækvej 100 - 5220 Odense SØ
Telefon 65 56 10 00
stedf. nr.:
1:10.000
21.06.2004
Bilag 1.14
Proj. af:
EMA/04
AMB/04
MOF, Alm.del - 2019-20 - Endeligt svar på spørgsmål 397: Spm. om de gældende regulativer for Odense Å og Odense Fjord, til miljøministeren
2147327_0112.png
Regulativ
Ordforklaring
Oversigtskort
Bilag 1
1:2.000
1 :4.000
1:10.000
1:100,
1
:25.000
1
2
Længdeprofil
Bilag 2.01 - 2.02
4
-
MOF, Alm.del - 2019-20 - Endeligt svar på spørgsmål 397: Spm. om de gældende regulativer for Odense Å og Odense Fjord, til miljøministeren
2147327_0113.png
ODENSEÅ
VASP8
-- --
Dybeste punkt 1987/198B
HEDESELSKABET €}
Bilag 2.01
Terræn I venstre side
Terræn
i
hi,jre side
Opmålt yandspojl
Kote
i
m 1:100
Dyb&i:t& punkt 1999/.20::,0
-
--
--
- Regulai•1 bundko:e, gl. regula tv
17.5-+- -
17.5
15.0
- ·· I-
15.0
12.5
10.0
I
'·-
\- --·
1,
••• •
' I
•• . •--,., •
....4-..._.___~-o---_.
.
I
I
k~
'
.
.....
V
Sri:I"
· ··
)_1J>,'t'?":!l'o'".Xl\\1/;,:,, .
.,...·,,,°''·.Y·Y•!l,ll'\,.',v,"11-\·1(.
'-'~f"'-/
I
.,
j
'1
V
.
I
I
·1
(
.
' IJ I
o
"',,1_\"y-,h"r.·· \~-fl;•,1L ..
'
\
v-
-
Q
I
N
).
'
' '
I
'
'
" '
(
''
I? I
'
I
''
'
'
'
I
" ' ,
'
-
II
'
I
'
'q
'
i'
, ,~ ,,
,,
',, •
''v
,, •
• '
''''
1
••
' ~ li
'
\/[IV
I
\
I
·,,_\/\f\f•j(
"J1, .
·/\ /\/ ·,·-,1v\•1
/11)\./'/\J\
,,/'l / ~, ,,,,_,
~
/\
' ' .
!
/·\
1~
,,,
Ir
' ' ' ,, ;
' ' ' ,, ; ' ,·
'l
- -
r-_;,r•
V
,,
' ' '' '
' 1,
,,
t
'/Ni
' '
'
.
_.,,._., _
' --
\
F'-
.
,_
·,,,
' , ,
11·
'•
-
..
'
. .
.
'
... ·..
-
·
~I
- -
'
'
' ''
'
/i
"'·
·,
r·-.:;,.,,/\. J-,.;. ,
'
~
'
·;
12.5
" '
1
' ,,
··· f-10.0
I
'--...-\ /",
/\-,_
V
\
C
7.5
,1
1
1
l'v-"'---, /',._.,..,___
\
\
'
./\, J
./
.,.\
-V -
/
1 ...,
1
, ..
;'\...,../\
.
.
,.,-
k
.
·i\
.
,
~
//
\.,
'A,.\.,
'
·,
.
'-1\
'
I'~ ',, / ' '
P,
,,,,
j
\
!1
I
' I,
.
,1
.
I
I
;\
5.0
r1
~
\/ V
-\ )
1
I
't:'t),
:~
~-'i'
- - I .
\
.
·v '/. ,._ .
c::Y
\.1
I
.
V
I
I
] ;1
i _ .
,
O
\
\
11
-, ,,,-•
.1 •.
\'..__./
~..
/,
\;
I
·1
v-
I
/,
-
IL. .
...:.....~
V
/'()i'\,)~,
.\,,/-'-c-c1·J1
I
.
?-,
- \ /
l..:t
,r
\.
.,.,... ... . -- ,--\ -
,j
'v""'.r_,.,'
II
11
I
11
'-" å
.
0
1
~1:\
vv
r
/~
0
,,
1\/\
I\
t,
_.- --.
~
i-,
'
l
~I
·,_,i• ., /~;,_--,, __
J. /
"'\·
.
I·\(-.·
••
' ''.
i
c. . \ .~
(
: ·.·.
'
I
/!'
I
1
( :,11 '.,
· ,·•
7
\
1
1 ;
I
l
1_
i
7.5
,.·11\./''i
·~ ,..
'
j
50
--:N·
.
'r.\..._ __
1
"'-...
·
' .
,I ,\.. .
I
2.5
\I
/' "•i -,.
<11 . /'7.:\/"
-\./~
/-..
-:./\-· '·
J
0.0
I/
"
I;
I;
.)
-
~
H
Jo
\ '\
'-
I
I\
.
,
1
!
I
,1
1.1..
1
1
'
/'
'
;,
.J'·
1
4
.»<
1
I
I
(\
-~, A V
. \
..
.>-c<
1
1ts
;<._
...,.."',,,._
)I
\
;-',. . . .
.
\
1· \
-f' ...,C
C
(
\,
!
,,_
,
I'
V
i'\ .._
\1
Y .
'
'
o
0
1,
"- \JV
n,
\':'.,
'
\
1-- · .
- '-
r--
1
V
/"'
v'
,
1
,,
_.c\
r
r
I ~-,, ; I ' I/
.
<.
I
I
\
v
j
I
~
~
/
..
.
\
'-,
,
1
!
.._
\
I
r.
\\
:
I,
, ,
/
0
<
11
.
, ••
t,
1 ,
f
'i--;
-'
I
1
lj'I I~ I"('« I
i--,/ .....
:'.
'v./-" ·t,.J/\-:,...,,_J
/(~t'I .
0
Æ
111
,.{!)_
t:J
· ·
'
1
I
/
~
,.
C'
V
\
\
\/
I '-
'· :
,1-\
~/
/\
'
\--,
v \
/'--.._,.\
\
'
,
I ~-
/ , / \/\
./. \v ;\ ,"-,
'--·I
\
.i
' I
I
'
\
,
~
\
'/
I
,.,1
I
/'•
,.___,,
, / \,
lv -''./
I
/'v'",_
,,\!
\i
~
I
~
f-Y,
,i\l_-
-,.
1\
I
'i
_
-
, ""/ "' ,\
_1
I I 'I -I
II
I
I
r-i
\;
_
I
~
·'
I
/
r
2.5
. _ _____.,,_
I
0.0
,-.
I\
\
.
~---,
I"-;
\
'.J
./ \ \
I
I ... ··-·
I I '/•/1/
I
.
-2.5 -
-2.5
I
I
-5.0--,'- - - , - --,-------,-----,----,------,------.---------,-------,----,---,-- -,----------,-- - , -- --,------,----------,,----------,-----,---,-----,----- - - - , ---,----,---- -- , - - - , - - ----,-- - , -- -- , - - , - - - -,----- - -, - - - - -,-----,--- - , - --,-- -- , -- , - -- - , - - - -- - , - - - - , --,-------,------,-- , - - - -- , - - - -- , - - - - - - , - -,-----,---- - , -50
1000
500
0
2000
1500
2500
4000
3500
3000
5500
5000
4500
6500
6000
7500
7000
8500
8000
11000
10500
10000
9500
9000
12000
11500
13000
12500
13500
14500
14000
16000
15500
15000
18000
17500
17000
16500
26000
25500
25000
24500
24000
23500
23000
22500
22000
21500
21000
20500
20000
19500
19000
18500
04-02-2004
i
kis
Station
i
m 1:25000
v:>fy nlllarnl\Odor.so\2000
MOF, Alm.del - 2019-20 - Endeligt svar på spørgsmål 397: Spm. om de gældende regulativer for Odense Å og Odense Fjord, til miljøministeren
2147327_0114.png
ODENSE
Å
VASPO
-- -
-
Dybestepunkt198711988
Terræn
i
venstre side
HEDESELSKABET
Bilag 2.02
Terræn
i
hi,jn:, side
0
20.0
Opmål! vand~pejl
Koteim 1:100
37.5
- - - O)'beste punkt 1999/2000
- · - · - · Regulatv bs
mdkote,
gl.
regulruiv
\
17.5
15.0
32.5
12.5
30.0
10 0
27.5
7.5
25.0
50
22.5
Genslynget strækning
20.0
.··
1
2.5
0.0
17.5
15 .o--l---
54000
- - - . - - - ; - - - - - i - --
53500
53000
52500
-r-----.-
52000
51500
- - , - - - --
51000
-,--------,----
50500
50000
----,---,------,---- ----,----
49500
49000
48500
48000
----,-
47500
- -, - - ---,--------,--------,--
47000
46500
46000
45500
- r - - -,--------,--------,---r------.------,----,-------,--------,----------,- - -,--- ----,-----
45000
44500
44000
43500
43000
42500
42000
41500
41000
40500
40000
39500
39000
------,- --
38500
r--
38000
- - r - - - - - . -- -r - - - - r-
37500
37000
36500
36000
- 2 4 - - - r --
35500
35000
----.------,-- - - , - - - - - - , --
34500
34000
33500
33000
----,----,-----
32500
32000
--,--------,----------,,------,----
31500
31000
30500
30000
-
---,----------.- -- , - - - - - - - , - - - - - , - --
29500
29000
28500
28000
27500
r-----.-----l--25
27000
Station
i
m 1:25000
26500
26000
04-02-'...004 I
kis
MOF, Alm.del - 2019-20 - Endeligt svar på spørgsmål 397: Spm. om de gældende regulativer for Odense Å og Odense Fjord, til miljøministeren
2147327_0115.png
IO . juni 1997
u
Notat vedr. vanddybder
i
Odense
Å
Fyns Amt har bedt Hedeselskabet om at vurdere minimums-vanddybderne i Odense
Å
fra
Erik Bøghs Sti st. 14.455 til Hillerslev Bro st. 47.883
Datagrundlag
Til beregning af vandstande i vandløb bruges Mannings formel. For at bruge denne formel
må vandløbets fysiske forhold være kendt. Desuden må man kende vandføringen og det så-
kaldte Manningtal. Manningtallet beskriver ruheden i vandløbet.
Fysiske forh old.
Odense
Å
er blevet opmålt i 1987-1989 i forbindelse med den sidste revision
af regulativet. Denne opmåling er benyttet som grundlag for de efterfølgende beregninger.
Vandf ring.
I Odense A' s st. 22.355 findes en hydrometrisk målestation: 45 .2 1 Odense A.
ø
Kratholm. Stationen har været i drift siden 1982. På grundlag af data fra denne station, er der
beregnet måneds-median-minimum. Måneds-median-minimum er den vandføring (I/s), der i
gennemsnit over en længere årrække i den pågældende måned overskrides og underskrides
2
hvert andet år. Måneds-median-minimum kan angives i specifik afstrømning (I/s km
),
der er
vandføringen divideret med oplandsarealet. Data fra målestationen, omregnet til afstrømning,
er vist i nedenstående tabel.
Det forudsættes i beregningerne, at afstrømningen er den samme på hele strækningen.
Tabel
1.:
Minimumsafstrømninger for st. 45 .21 Odense A, Kratholm.
11s km
2
Jan .
Feb .
Mar.
Apr.
Maj
Jun .
Jul.
Aug .
Sep.
Okt.
Nov.
Dec.
1982
1983
1984
1985
1986
1987
1988
1989
1990
1991
1992
1993
1994
1995
1996
Minimum
Middel
Median
10.63
14.73
13.37
5.93
6.59
5.49
14.71
6.27
7.20
12.76
7.94
6.06
21.54
13.88
2.00
2.00
9.89
7.57
8.20
9.20
5.54
4.52
4.50
16.11
6.39
13.45
7.41
8.50
10.41
9.08
23.30
2.10
2.10
9.29
8.50
8.67
9.43
8.00
5.15
4.47
3.78
16.47
9.07
8.26
9.61
7.98
6.38
10.73
12.34
3.25
3.25
8.24
8.26
4.84
9.78
4.92
8.09
5.77
5.75
6.42
6.86
4.48
5.87
7.53
3.52
8.15
7.49
3.14
3.14
6.17
5.87
2.99
13.04
3.21
5.71
3.22
4.39
4.23
2.75
2.05
3.48
3.24
2.54
4.82
5.21
2.44
2.05
4.22
3.24
2.25
3.51
2.90
3.56
2.14
4.33
2.57
1.51
2.09
3.36
1.43
1.86
3.17
3.48
1.34
1.34
2.63
2.57
1.96
1.90
1.66
2.88
1.99
3.49
2.14
1.35
2.12
2.16
0.83
1.71
2.11
2.10
1.24
0.83
1.98
1.99
1.88
1.62
1.78
3.49
1.53
3.71
2.83
1.55
1.87
1.94
1.05
2.12
1.74
1.96
1.05
1.05
2.01
1.87
2.56
1.64
1.88
3.67
2.08
3.71
2.84
1.85
2.64
1.98
1.66
1.83
3.64
2.06
1.28
1.28
2.35
2.06
2.61
2.54
2.92
3.85
2.26
3.86
6.04
1.85
5.63
3.44
1.86
6.03
5.31
2.34
1.56
1.56
3.47
2.92
5.12
2.97
5.19
4.38
3.84
4.71
5.08
3.06
8.53
4.72
4.61
5.46
6.88
2.47
3.29
2.47
4.69
4.71
9.42
7.06
6.64
5.49
4.95
6.45
8.ti6
3.25
9.80
5.04
7.96
8.06
9.78
2.30
4.26
2.30
6.60
6.64
N:\1997\9703 9\NOTA T.DOC
HEDESELSKABET
MOF, Alm.del - 2019-20 - Endeligt svar på spørgsmål 397: Spm. om de gældende regulativer for Odense Å og Odense Fjord, til miljøministeren
2147327_0116.png
.,
Manningtal.
For at beregne vandstanden i et vandløb, skal der som nævnt bruges et ruhedstal
for vandløbet, det såkaldte Manningtal.
Manningtallet er stort når modstanden fra sider og bund er lille medens Manningtallet er lille
hvor f.eks . store sten eller grøde giver ekstra modstand mod strømningen.
Manningtallet varierer altså over året, i takt med grødens væ.kst og henfald. Når man vil
foretage beregninger af vandstanden i minimumssituationer, måned for måned, må man altså
have et Manningtal for hver måned.
Fremgangsmåden, ved beregning af måneds-Manningtal er:
• Først er beregnet det såkaldte styreniveau for hele målestationens driftperiode. Styreni-
veauet er den vandstand man ville have på stationen, hvis vandføringen var konstant I denne
undersøgelse er anvendt en vandføring på 4250 I/s, der svarer til den gennemsnitlige vandfø-
ring i perioden 1982-1996.
• Herefter er beregnet middel-styreniveauer for hver dag i året.
• På baggrund af disse data, er middel-styreniveauet for hver måned beregnet.
• Der kan nu beregnes et Manningtal for hver måned på grundlag af månedsmiddel-
styreniveauer og styrevandføringen.
De beregnede døgnmiddel- og månedsmiddel-styreniveauer er vist i fig. 1.
Månedsmiddel-styreniveauer og måned-Manningtal er vist i tabel 2.
Døgnmiddel- og månedsmiddel-styreniveau
1240
T
+
I
I
1220
e.
z
z
E
u
~
1200
+
l
I
l
!
I
'
·"'
\
'
'
'\
Måned
Styreniveau
Manningtal
-
;
11so
11so
'
1
V,
·c
>
1140
I
-ri
'
11 20
1100
+---- - - - - - - - - - - - - - - - - - - - - - - - - - - -
Fig. I. : Døgnmiddel- og månedsmiddel-styreniveau for st 45 .21 Odense
beregnet for en styrevandføring på 4250 I/s.
, Kratholm
Tabel 2.: Månedsmiddel-styreniveau i cm (DNN) og måneds-Manningtal
Jan . Feb. Mar. Apr.
Maj
Jun .
Jul.
Aug . Sep. Okt.
Nov .
Dec.
1138 1135 1134 1135 1142 1166 1206 1214 1167 1147 1138 1136
20
21
23
21
18
12
7
7 12
16
20
21
De beregnede måneds-Manningtal er sammenlignet med de Manningtal, der beregnet i for-
bindelse med regulativrevisionen. Der i 1989 foretaget fire målerunder til bestemmelse af
Manningtal i Odense
Å.
To målerunder om sommeren og to om vinteren. På strækningen op
til st. 22.355 er Manningtallet d. 24. august beregnet til 7 og d. 28. september til 14. Det ses
at disse to værdier passer fint med de her beregnede månedsværdier.
N:\ 1997\97039\NOT AT.DOC
HEDESELSKABET
MOF, Alm.del - 2019-20 - Endeligt svar på spørgsmål 397: Spm. om de gældende regulativer for Odense Å og Odense Fjord, til miljøministeren
2147327_0117.png
-
De to vintermålerunder er foretaget d. 3. marts og d. 31. marts 1989. Resultatet af Mannings-
bestemmelsen var henholdsvis 24 og 26, altså lidt højere end de her beregnede Manningtal.
Det, at der her er regnet på et forholdsvis lavt Manningtal, betyder at de beregnede vanddyb-
der overestimeres i forhold til de registreringer, der er foretaget i forbindelse med regula-
tivudarbejdeisen.
Det ses i regulativets bilag 7, at de beregnede Manningtal for de fire målerunder varierer me-
get fra strækning til strækning.
Det ses desuden at de beregnede Manningtal på strækningen nedstrøms Kratholm ligger for-
holdsvis lavt.
Et forholdsvis lavt Manningtal giver forholdsvis store beregnede dybder. Det er derfor rime-
ligt, i denne undersøgelse, at bruge de beregnede måneds-Manningtal for hele strækningen,
velvidende at vanddybden overestimeres.
Resultater
På det beskrevne datagrundlag, er der beregnet vandspejl for hver måned.
På de vedlagte figurer er optegnet længdeprofiler med de beregnede vandspejl. Desuden er
vist diagrammer med middel-dybde. Der er lavet diagrammer for hver af perioderne:
Vinter:
Forår:
Sommer:
Efterår:
December
(grøn),
januar
(rød)
og februar(b/å)
Marts
(grøn) ,
april
(rød)
og maj
(blå)
Juni
(grøn),
juli
(rød)
og august
(blå)
September
(grøn),
oktober
(rød)
og november
(blå).
Konklusion
Resultatet af beregningerne viser at den eneste længere strækning (større end ca. 2
km),
hvor
vanddybden ikke er under 0.50 m mindst en gang i hver af de fire årstider, er strækningen fra
st. ca. 26.000 til ca. 33.000. På denne strækning er dybden større end 0.50 m fra og med de-
cember til og med april.
-
N:\1997\97039\NOTAT.DOC
HEDESELSKABET